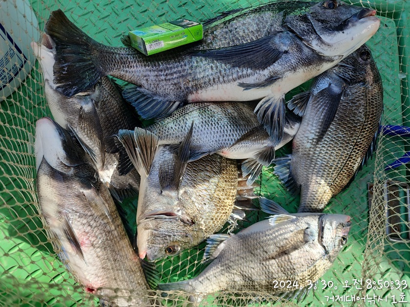
영등감성돔(실시간) 5짜 4짜 대물들이 쏟아져요~거제대어1호 핫조황(31일 예약)

신상품 소개


회원 랭킹


공지사항


NaverBand
점주/선장 > 가장 빠른!!  실시간 조황

영등감성돔(실시간) 5짜 4짜 대물들이 쏟아져요~거제대어1호 핫조황(31일 예약)

거제대어1호 1 104 2024.03.30 10:14
거제대어1호입니다.
대물 감성돔들의 시즌, 영등철 대물들은 오늘도 어초여밭에 가득 모였습니다.
현재시간, 대물감성돔 5짜, 4짜 ,4짜외 마리수로 쏟아지는 폭풍입질을 받고
있고, 터지고~ 빠지고~하면서도 엄청난 공격을 보이고 있습니다. 어제,
주의보 뒷끝 황금물때라 그런지, 녀석들의 활성도가 왕성합니다.
남은시간 즐겨 보겠습니다. 31일(일요일) 내일 예약 가능합니다.

영등철 22일째날 31일(일요일), 무르익은 영등철 대물감성돔들이 지나는
길목을 차단, 손맛을 제대로 볼 수 있도록 핫포인트 위주로 진입하고자
합니다. 거제대어낚시 선단으로 오시면 승율은 더욱 더 높아 집니다.

☆31일(일요일) 14물/ 거제도 어초여밭 수중여 감성돔낚시 "예약가능
☆4월 1일(월) 조금/ 거제도 어초여밭 수중여 감성돔낚시 "예약가능
☆4월 2일(화) 1물/ 거제도 어초여밭 수중여 감성돔낚시 "예약가능
☆4월 3일(수) 2물/ 거제도 어초여밭 수중여 감성돔낚시 "예약가능

거제대어낚시 선상낚시 예약(독채 민박)
문의 ☎ 010-6400-2082 / ☎ 010-454-393
ㅁ선외기: ☎ 010-6400-2082
■ 밴드:  https://band.us/@geojedaeeofishing
0

좋은 글이라고 생각되시면 "추천(좋아요)"을 눌러주세요!


, , , , , , , , , , , , , , , , , , , , ,

  • 페이스북으로 보내기
  • 트위터로 보내기
  • 구글플러스로 보내기
  • 카카오스토리로 보내기
  • 네이버밴드로 보내기
  • 네이버로 보내기
  • 텀블러로 보내기
  • 핀터레스트로 보내기
1 댓글
거제대어1호 24-03-30 10:14 0  
31일 거제도 영등철 대물 감성돔낚시 예약 가능합니다. 감사합니다.
 
b_hot_innakmall_200x80_240307.jpg b_hot_nios_200x80.gif b_hot_ggsusan_hongeu_160x100.gif b_hot_innakmall_200x80_211203.gif
포토 제목
 

인낚 최신글


인낚 최신댓글


온라인 문의 안내


월~금 : 9:00 ~ 18:00
토/일/공휴일 휴무
점심시간 : 12:00 ~ 13:00