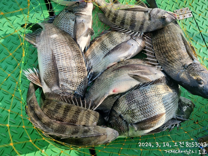
영등감성돔(실시간) 46 42 41 40 대형급들 손맛~거제대어1호 조황(15일 예약)

신상품 소개


회원 랭킹


공지사항


NaverBand
점주/선장 > 가장 빠른!!  실시간 조황

영등감성돔(실시간) 46 42 41 40 대형급들 손맛~거제대어1호 조황(15일 예약)

거제대어1호 1 125 2024.03.14 09:22
거제대어 1호입니다.
영등철 5일째날, 감성돔 어초,여밭 흘림낚시 진입했고, 굵은 감성돔 46, 42,
41, 40센티로 손맛을 진행하고 있습니다. 현재시간, 4짜,4짜,4짜,4짜외 퍽~퍽
마리수 중이고, 터지고 빠져도 마리수로 손맛 즐기고 있습니다. 영등시작과
함께 녀석들의 활성도가 엄청나네요. 남은시간 즐겨 보겠습니다.

내일도 영등 감성돔 흘림낚시 출조하고, 예약 가능합니다.
주말까지 기상, 물때가 좋은 상황, 내일도 감성돔흘림 출조하고 예약
가능합니다.대물 기록을 달성하는 가장 빠른  방법, 거제도 최고의 포인트
"어초여밭 수중여" 만을 진입하는 거제대어낚시 선단으로 오시면 승율은
더욱 더 높아 집니다.

★숙박+낚시배를 동시에 이용하고자 하는 분들은 할인혜택도 짱~짱~★
☆15일(금요일) 13물/ 거제도 어초여밭 수중여 감성돔낚시 "예약가능"
☆16일(토요일) 14물/ 거제도 어초여밭 수중여 감성돔낚시 "예약가능
☆17일(일요일) 조금/ 거제도 어초여밭 수중여 감성돔낚시 "예약가능

거제대어낚시 선상낚시 예약(독채 민박)
문의 ☎ 010-6400-2082 / ☎ 010-454-393
ㅁ선외기: ☎ 010-6400-2082
■ 밴드:  https://band.us/@geojedaeeofishing
0

좋은 글이라고 생각되시면 "추천(좋아요)"을 눌러주세요!


, , , , , , , , , , , , , , , , , , , , ,

  • 페이스북으로 보내기
  • 트위터로 보내기
  • 구글플러스로 보내기
  • 카카오스토리로 보내기
  • 네이버밴드로 보내기
  • 네이버로 보내기
  • 텀블러로 보내기
  • 핀터레스트로 보내기
1 댓글
거제대어1호 24-03-14 09:22 0  
15일 거제도 어초여밭 감성돔낚시 예약 가능합니다.감사합니다
 
b_hot_innakmall_200x80_240307.jpg b_hot_nios_200x80.gif b_hot_ggsusan_hongeu_160x100.gif b_hot_innakmall_200x80_211203.gif
포토 제목
 

인낚 최신글


인낚 최신댓글


온라인 문의 안내


월~금 : 9:00 ~ 18:00
토/일/공휴일 휴무
점심시간 : 12:00 ~ 13:00