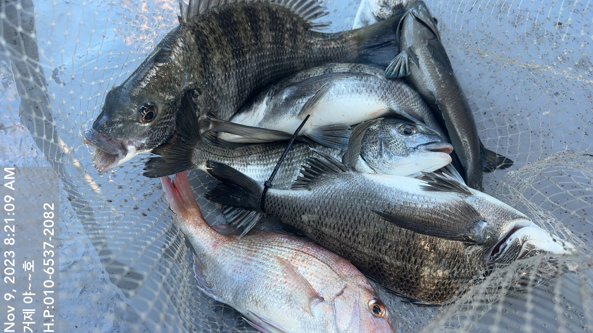
(어초 실시간) 4짜 감성돔외 벵에돔 꾺~꾹~찹니다~야호(흘림)조황(10일 예약)

신상품 소개


회원 랭킹


공지사항


NaverBand
점주/선장 > 가장 빠른!!  실시간 조황

(어초 실시간) 4짜 감성돔외 벵에돔 꾺~꾹~찹니다~야호(흘림)조황(10일 예약)

거제야호 1 140 2023.11.09 09:20
야호 어초, 여밭 흘림 실시간 조황입니다.
좋은 물때가 시작되면서 4짜외 싸이즈 좋은 감성돔 마릿수 손맛 중입니다.
정말 아쉽지만, 사이즈 좋은 놈들 몇마리는 터지고~ 벗겨지고~빠지고 하는
장면들이 자주 보이고 있고, 올라온 놈들로 손맛을 보고 있습니다. 몇일째
보이는 벵에돔은 덤으로 꾹~꾹 차는 손맛을 보여주고 있고, 남은 시간도
열심히 해보겠습니다.

승율높은 시기니, 대물감성돔 손맛을 위해 출동 해 보시는 것 추천드립니다.
풍족한 가을 감성돔 마리수 도전,  거제도 야호(YAHO) 젊은 선장이 모시
겠습니다.

▣야호(YAHO) 출조 일정 안내 ▣
※ 직영선단에서는 매일 참돔 먼바다 출조와 내만 감성동낚시를 운영.
☆ 11월 10일(금요일) 감성돔 선상 흘림낚시 "예약가능"
☆ 11월 11일(토요일) 완료 (선단 예약 가능)
☆ 11월 12일(일요일) 완료 (선단 예약 가능)

▦ 거제 야호 ☎ 예약문의☎ 010-6537-2082
ㅁ선상낚시 (민박) 문의 : ☎ 010-6400-2082 / ☎010-4547-3937
ㅁ선외기 문의 : ☎ 010-6400-2082
(출항지) 거제시 거제면 법동리 1074번지 아지랑경로당 방파제
ㅁ 거제 야호 밴드 :  https://band.us/@yahoboat
0

좋은 글이라고 생각되시면 "추천(좋아요)"을 눌러주세요!


, , , , , , , , , , , , , , , , , , , , , , , , , , , ,

  • 페이스북으로 보내기
  • 트위터로 보내기
  • 구글플러스로 보내기
  • 카카오스토리로 보내기
  • 네이버밴드로 보내기
  • 네이버로 보내기
  • 텀블러로 보내기
  • 핀터레스트로 보내기
1 댓글
거제야호 23-11-09 09:21 0  
10일 감성돔낚시 예약 가능합니다. 감사합니다.
 
b_hot_innakmall_200x80_240307.jpg b_hot_nios_200x80.gif b_hot_ggsusan_hongeu_160x100.gif b_hot_innakmall_200x80_211203.gif
포토 제목
 

인낚 최신글


인낚 최신댓글


온라인 문의 안내


월~금 : 9:00 ~ 18:00
토/일/공휴일 휴무
점심시간 : 12:00 ~ 13:00