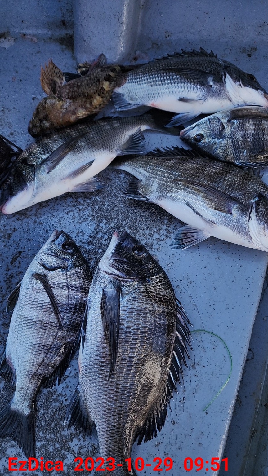
실시간(감성돔) 쭉~쭉 가져 갑니다~대동낚시 핫조황(30일 예약)

신상품 소개


회원 랭킹


공지사항


NaverBand
점주/선장 > 가장 빠른!!  실시간 조황

실시간(감성돔) 쭉~쭉 가져 갑니다~대동낚시 핫조황(30일 예약)

거제대동낚시 1 122 2023.10.29 10:03
25Cm이하 캐치앤 릴리즈에 동참하는 "대동낚시"
좋은 날씨속에 즐기고 있습니다. 예민하게 반응하는 놈들과 씨름중입니다. 몇방은
얼굴을 확인하지 못했지만 끌고 가는 힘들이 제법 당찹니다. 즐겨 보겠습니다

대동낚시는 1호선 2호선을 운영하고 있습니다. 오전낚시, 종일낚시 선택하여
출조가 가능합니다. 최고의 감성돔포인트로 진입합니다. 주말까지 좋은 물때로
진입합니다. 씨알부터 마리수가 가능한 감성돔 시즌입니다.

▣ 대동낚시 출조 일정 ▣
★ 30일(월요일) 거제 성포 출발 "감성돔낚시" 예약 가능.
★ 31일(화요일) 거제 성포 출발 "감성돔낚시" 예약 가능.
★ 11월 1일(수요일) 거제 성포 출발 "감성돔낚시" 예약 가능.
※ 기상만 좋으면 365일 출조합니다. 주말 예약은 미리미리 서둘러 주세요.

▦대동낚시 ☎010-4550-9017
▣ 거제시 사등면 성포로 133(사등농협앞) ▣ 예약 (수협) 2020-4222-9164 이춘석
0

좋은 글이라고 생각되시면 "추천(좋아요)"을 눌러주세요!


, , , , , , , , , , , , , , , ,

  • 페이스북으로 보내기
  • 트위터로 보내기
  • 구글플러스로 보내기
  • 카카오스토리로 보내기
  • 네이버밴드로 보내기
  • 네이버로 보내기
  • 텀블러로 보내기
  • 핀터레스트로 보내기
1 댓글
거제대동낚시 23-10-29 10:03 0  
30일 감성돔낚시 오전반 종일반 예약 가능합니다. 감사합니다
 
b_hot_innakmall_200x80_240307.jpg b_hot_nios_200x80.gif b_hot_ggsusan_hongeu_160x100.gif b_hot_innakmall_200x80_211203.gif
포토 제목
 

인낚 최신글


인낚 최신댓글


온라인 문의 안내


월~금 : 9:00 ~ 18:00
토/일/공휴일 휴무
점심시간 : 12:00 ~ 13:00