감성돔(실시간) 활성도굿~4짜급들 속출~거제대어낚시2호 조황(18일 예약)

신상품 소개


회원 랭킹


공지사항


NaverBand
점주/선장 > 가장 빠른!!  실시간 조황

감성돔(실시간) 활성도굿~4짜급들 속출~거제대어낚시2호 조황(18일 예약)

거제대어낚시2호 1 192 2023.10.17 10:02
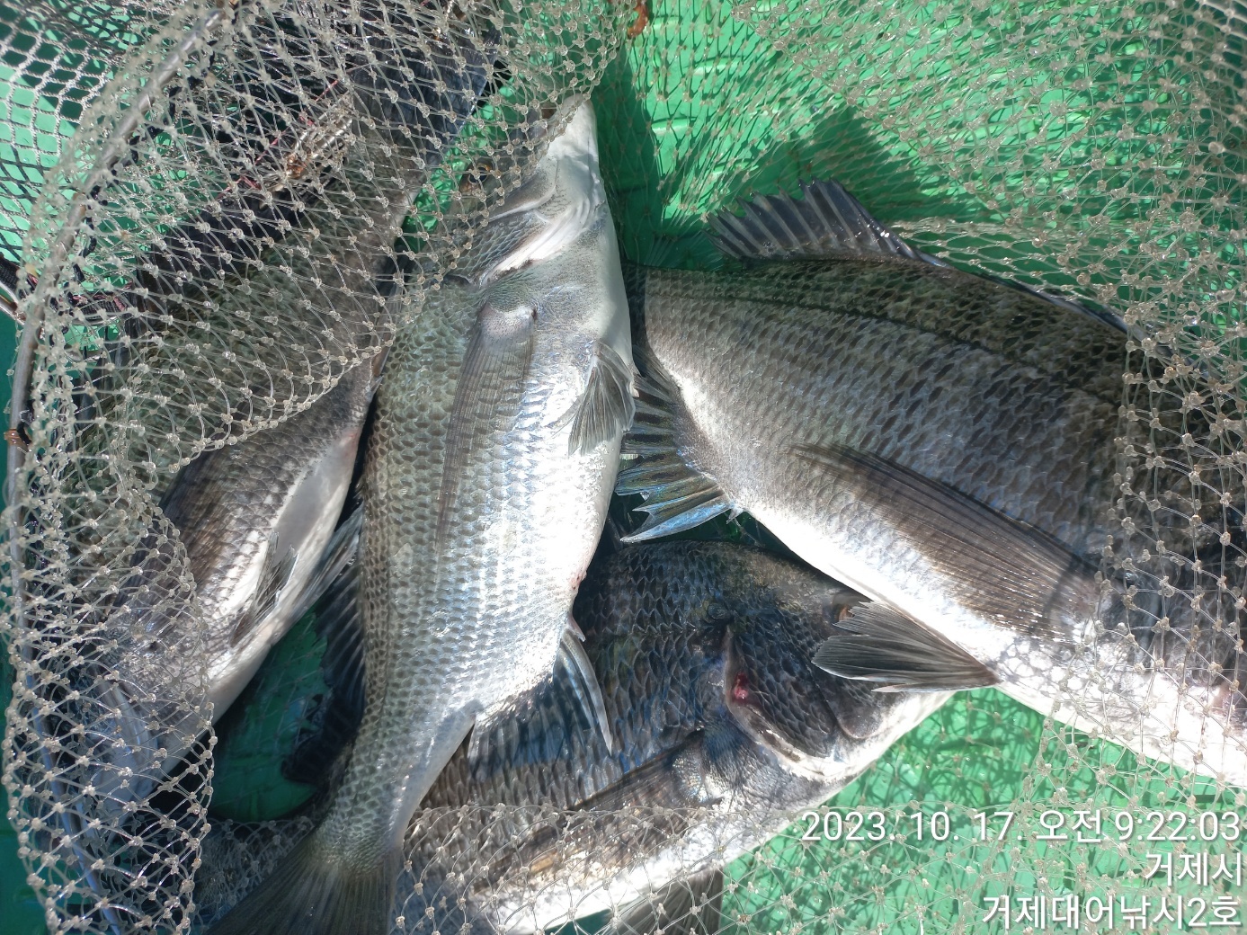
거제대어낚시2호, 감성돔 선상 흘림낚시 조황입니다.
거제권 감성돔 최고의 포인트인 어초여밭을 진입하고, 다시, 어장포인트
로 이동하며 감성돔 승율을 최대치로 올리고 있습니다. 현재시간, 뻗어
가는 조류에 시원스레 줄~줄 흘리고 있고, 몇방은 터지기도 했지만,
굵은 감성돔 4짜급들로 손맛중입니다. 물때 맞추어 남은 시간도 집중해
 보겠습니다.  내일도 감성돔흘림 출조하고 예약 가능합니다.

감성돔낚시는 오전낚시와 종일낚시를 선택해서 출조가 가능합니다.
거제 대어낚시에서는 전용 숙박(독채 펜션 운영)을 비롯한 원도권 참돔낚시
와 내만권 감성돔낚시, 선외기 대여 모두 출조 가능하고, 예약 가능합니다.

★숙박+낚시배를 동시에 이용하고자 하는 분들은 할인혜택도 짱~짱~★
★ 18일(수요일) 내만(감성돔) 참돔낚시 선외기대여 "예약가능
★ 19일(목요일) 내만(감성돔) 참돔낚시 선외기대여 "예약가능
★ 20일(금요일) 내만(감성돔) 참돔낚시 선외기대여 "예약가능

☎ 거제대어낚시 선상낚시 예약(독채 민박) 문의☎
☎ 010-6400-2082 / ☎ 010-4547-3937
ㅁ선외기: ☎ 010-6400-2082
밴드:  https://band.us/@geojedaeeofishing
0

좋은 글이라고 생각되시면 "추천(좋아요)"을 눌러주세요!


, , , , , , , , , , , , , , , , , , , , , , , , , , , , , , , , , , , , , ,

  • 페이스북으로 보내기
  • 트위터로 보내기
  • 구글플러스로 보내기
  • 카카오스토리로 보내기
  • 네이버밴드로 보내기
  • 네이버로 보내기
  • 텀블러로 보내기
  • 핀터레스트로 보내기
1 댓글
 
포토 제목
 

인낚 최신글


인낚 최신댓글


온라인 문의 안내


월~금 : 9:00 ~ 18:00
토/일/공휴일 휴무
점심시간 : 12:00 ~ 13:00