감성돔(실시간) 씨알급 퍽~퍽~퍽~야호 핫조황 (15일 예약)

신상품 소개


회원 랭킹


공지사항


NaverBand
점주/선장 > 가장 빠른!!  실시간 조황

감성돔(실시간) 씨알급 퍽~퍽~퍽~야호 핫조황 (15일 예약)

거제야호 1 167 2023.10.13 11:12
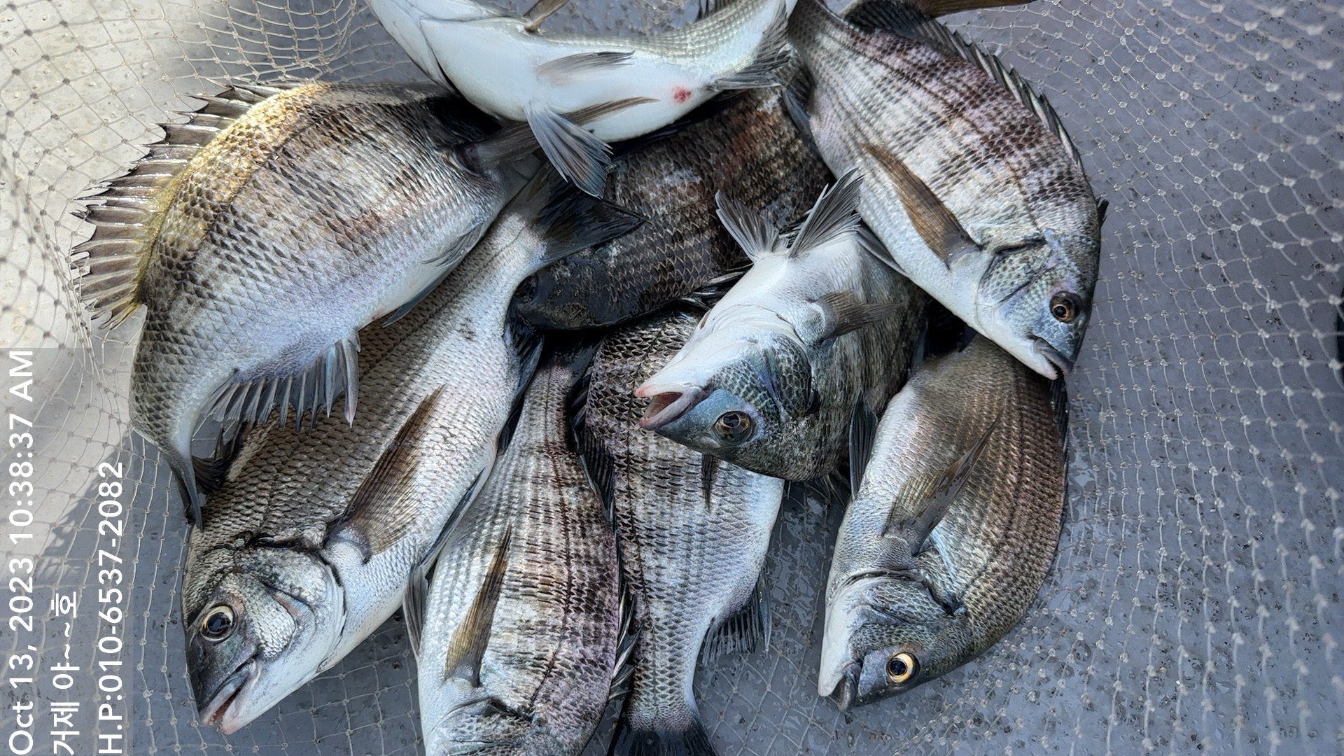
야호 내만 감성돔 흘림 조황입니다.
오늘은 바람이 많이 불어서인지 입질이 평소보다 예민한 상황,
하지만 물때가 사리 전후로 전환되는 시점이라 그런지 입질포인트에
 채비가 안착되면 어김없이 물속으로 시원하게 가져 갑니다. 안정적인
 수온이 유지되면서 주말까지 좋은 조과를 기대 해 봅니다. 남은
시간도 열심히 해보겠습니다.

풍족한 가을 감성돔 마리수 도전, 거제도 야호(YAHO) 젊은 선장이 모시겠습니다.

▣야호(YAHO) 출조 일정 안내 ▣
※ 직영선단에서는 매일 참돔 먼바다 출조와 내만 감성동낚시를 운영.
☆ 14일(토요일) 예약완료.(선단 예약가능)
☆ 15일(일요일) 감성돔 선상 흘림낚시 "예약가능"
☆ 16일(월요일) 감성돔 선상 흘림낚시 "예약가능"
☆ 17일(화요일) 감성돔 선상 흘림낚시 "예약가능"

▦ 거제 야호 ☎ 예약문의☎ 010-6537-2082
ㅁ선상낚시 (민박) 문의 : ☎ 010-6400-2082 / ☎010-4547-3937
ㅁ선외기 문의 : ☎ 010-6400-2082
(출항지) 거제시 거제면 법동리 1074번지 아지랑경로당 방파제
ㅁ 거제 야호 밴드 :  https://band.us/@yahoboat
0

좋은 글이라고 생각되시면 "추천(좋아요)"을 눌러주세요!


, , , , , , , , , , , , , , , , , , , , , , , , , , , ,

  • 페이스북으로 보내기
  • 트위터로 보내기
  • 구글플러스로 보내기
  • 카카오스토리로 보내기
  • 네이버밴드로 보내기
  • 네이버로 보내기
  • 텀블러로 보내기
  • 핀터레스트로 보내기
1 댓글
거제야호 23-10-13 11:12 0  
15일 감성돔 선상 흘림낚시 예약 가능합니다. 감사합니다
 
b_hot_innakmall_200x80_240307.jpg b_hot_nios_200x80.gif b_hot_ggsusan_hongeu_160x100.gif b_hot_innakmall_200x80_211203.gif
포토 제목
 

인낚 최신글


인낚 최신댓글


온라인 문의 안내


월~금 : 9:00 ~ 18:00
토/일/공휴일 휴무
점심시간 : 12:00 ~ 13:00