감성돔(실시간) 씨알급 짜릿한 손맛中~야호 핫조황 (12일 예약)

신상품 소개


회원 랭킹


공지사항


NaverBand
점주/선장 > 가장 빠른!!  실시간 조황

감성돔(실시간) 씨알급 짜릿한 손맛中~야호 핫조황 (12일 예약)

거제야호 1 173 2023.10.11 10:01
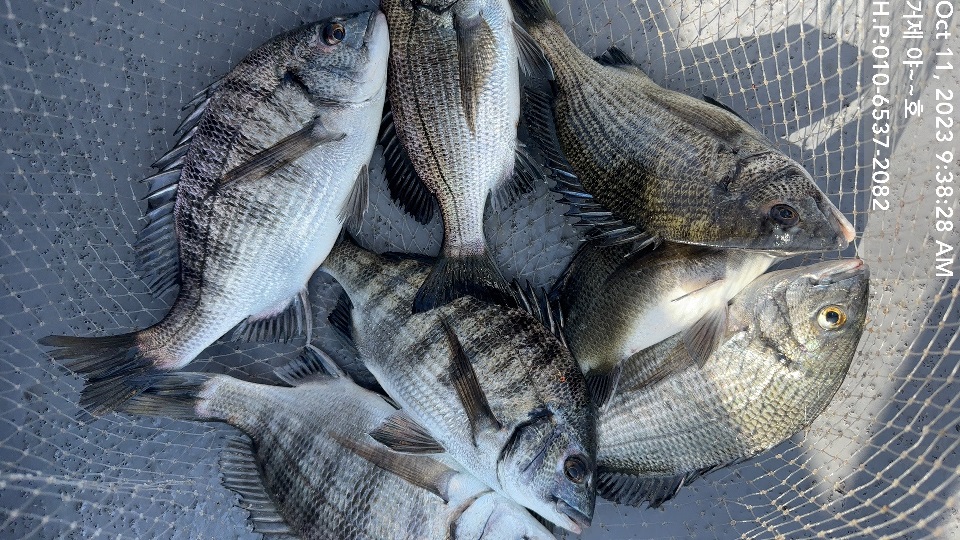
야호 내만 감성돔 흘림 조황입니다.
오늘은 바람이 너무 많이 불면서, 바람의 영향인지 전반적으로 입질이 예민해져 벗겨지는 놈들이 제법 보입니다. 이럴 때에는 한박자 늦게 챔질하는 타이밍이 필수입니다. 다행히 안정적인 물색과 물때가 살아나는 구간이라 물돌이 타이밍을 노려 보겠습니다.

풍족한 가을 감성돔 마리수 도전, 거제도 야호(YAHO) 젊은 선장이 모시겠습니다.

▣야호(YAHO) 출조 일정 안내 ▣
※ 직영선단에서는 매일 참돔 먼바다 출조와 내만 감
☆ 12일(목요일) 감성돔 선상 흘림낚시 "예약가능"
☆ 13일(금요일) 감성돔 선상 흘림낚시 "예약가능"
☆ 14일(토요일) 감성돔 선상 흘림낚시 "예약가능"
※ 주말 공휴일은 미리 미리 예약을 해 주시길 바랍니다.
※ 낚시장비가 필요하신 분들은 임대 해 드립니다. 예약시 꼭 알려 주세요.

▦ 거제 야호 ☎ 예약문의☎ 010-6537-2082
ㅁ선상낚시 (민박) 문의 : ☎ 010-6400-2082 / ☎010-4547-3937
ㅁ선외기 문의 : ☎ 010-6400-2082
(출항지) 거제시 거제면 법동리 1074번지 아지랑경로당 방파제
ㅁ 거제 야호 밴드 :  https://band.us/@yahoboat
0

좋은 글이라고 생각되시면 "추천(좋아요)"을 눌러주세요!


, , , , , , , , , , , , , , , , , , , , , , , , , , , ,

  • 페이스북으로 보내기
  • 트위터로 보내기
  • 구글플러스로 보내기
  • 카카오스토리로 보내기
  • 네이버밴드로 보내기
  • 네이버로 보내기
  • 텀블러로 보내기
  • 핀터레스트로 보내기
1 댓글
거제야호 23-10-11 10:02 0  
12일 감성돔 선상 흘림낚시 예약 가능합니다. 감사합니다
 
b_hot_innakmall_200x80_240307.jpg b_hot_nios_200x80.gif b_hot_ggsusan_hongeu_160x100.gif b_hot_innakmall_200x80_211203.gif
포토 제목
 

인낚 최신글


인낚 최신댓글


온라인 문의 안내


월~금 : 9:00 ~ 18:00
토/일/공휴일 휴무
점심시간 : 12:00 ~ 13:00