감성돔(실시간) 5방팅~불감당 대물급 진입~거제대어낚시2호 조황(10일 예약)

신상품 소개


회원 랭킹


공지사항


NaverBand
점주/선장 > 가장 빠른!!  실시간 조황

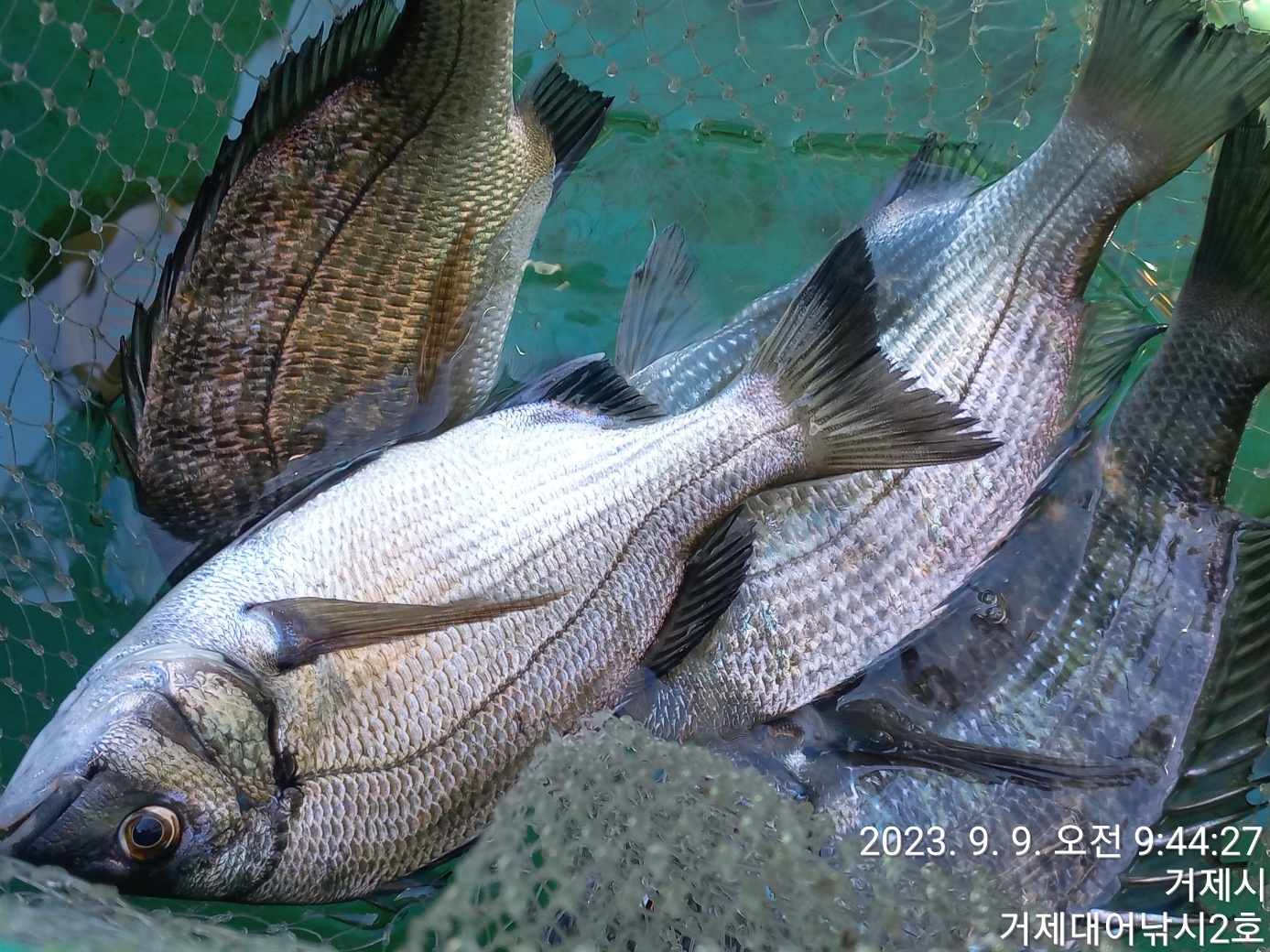
감성돔(실시간) 5방팅~불감당 대물급 진입~거제대어낚시2호 조황(10일 예약)

거제대어낚시2호 1 229 2023.09.09 10:37
거제대어낚시2호, 감성돔 어장포인트 흘림낚시 진입했습니다.
주말이라 그런지, 많은 배들이 진입한 상황, 다행히 최고 좋은 조류가
지나가는 곳이라 그런지 아침부터 엄청난 활성도에 정신이 없을 정도,
무려 현재시간까지 5방을  터트리면서 중치급들로 손맛 진행중 입니다.

내일 감성돔흘림 예약 가능합니다.

▣ 거제대어낚시 참돔/감성돔낚시 일정 안내 ▣
감성돔(내만)/참돔 (먼바다)/선외기(어장 낚시) 전용선체제 운영.
★ 9월 10일(일요일) 감성돔/참돔/선외기대여 "예약가능"
★ 9월 11일(월요일) 감성돔/참돔/선외기대여 "예약가능
★ 9월 12일(화요일) 감성돔/참돔/선외기대여 "예약가능
★ 9월 13일(수요일) 감성돔/참돔/선외기대여 "예약가능
※ 좋은 포인트 선정을 위해 예약을 미리미리 서둘러 주십시요.

☎ 거제대어낚시 선상낚시 예약(민박) 문의☎
☎ 010-6400-2082 / ☎ 010-4547-3937
ㅁ선외기: ☎ 010-6400-2082
■ 밴드:  https://band.us/@geojedaeeofishing
0

좋은 글이라고 생각되시면 "추천(좋아요)"을 눌러주세요!


, , , , , , , , , , , , , , , , , , , , , , , , , , , , , , , , , , , , , , ,

  • 페이스북으로 보내기
  • 트위터로 보내기
  • 구글플러스로 보내기
  • 카카오스토리로 보내기
  • 네이버밴드로 보내기
  • 네이버로 보내기
  • 텀블러로 보내기
  • 핀터레스트로 보내기
1 댓글
 
포토 제목
 

인낚 최신글


인낚 최신댓글


온라인 문의 안내


월~금 : 9:00 ~ 18:00
토/일/공휴일 휴무
점심시간 : 12:00 ~ 13:00