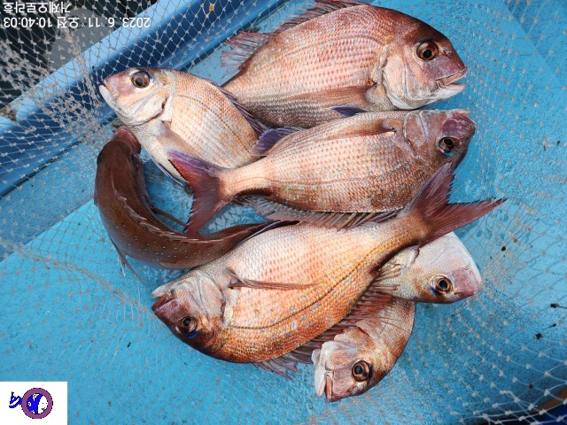
오로라호4짜외 마리수 퍽퍽진행중

신상품 소개


회원 랭킹


공지사항


NaverBand
점주/선장 > 가장 빠른!!  실시간 조황

오로라호4짜외 마리수 퍽퍽진행중

거제오로라호 0 291 2023.06.11 10:45
7 https://band.us/@aurora
두분이서 신나게 땡기고있습니다.
4짜이하중치급으로 마릿수 손맛중입니다.
대물 사냥위해서 이동해서 열낚중입니다.
남은시간 대물한번노려보겠습니다.
내일도  오로라호 출동합니다.
오늘보다 나은조황예상됩니다.
자리여유 있습니다.
거제오로라호 윤선장
010 3003 664
0

좋은 글이라고 생각되시면 "추천(좋아요)"을 눌러주세요!


, , , , , , , , , , , , , , , , , ,

  • 페이스북으로 보내기
  • 트위터로 보내기
  • 구글플러스로 보내기
  • 카카오스토리로 보내기
  • 네이버밴드로 보내기
  • 네이버로 보내기
  • 텀블러로 보내기
  • 핀터레스트로 보내기
0 댓글
 
b_hot_innakmall_200x80_240307.jpg b_hot_nios_200x80.gif b_hot_ggsusan_hongeu_160x100.gif b_hot_innakmall_200x80_211203.gif
포토 제목
 

인낚 최신글


인낚 최신댓글


온라인 문의 안내


월~금 : 9:00 ~ 18:00
토/일/공휴일 휴무
점심시간 : 12:00 ~ 13:00