간달프호 감성돔 흘림) 실시간 4짜4짜4짜4짜
인낚ㅣ인터넷바다낚시
어종별선상
어종별갯바위
낚시인조황
점주선장조황
출조정보
낚시광장
낚시지식인
낚시교실
중고장터
휴게실
인낚도서관
인낚몰
0
홈
어종별선상
어종별갯바위
낚시인조황
점주선장조황
출조정보
낚시광장
낚시지식인
낚시교실
중고장터
휴게실
인낚도서관
인낚몰
어종별선상
어종별갯바위
낚시인조황
점주선장조황
출조정보
낚시광장
낚시지식인
낚시교실
중고장터
휴게실
인낚도서관
인낚몰
어종별선상
4대돔 조황
먹물 조황
갈치 조황
볼락&전갱이
빅게임 지깅&파핑
외줄&외수질
기타 어종
어종별갯바위
4대돔 조황
먹물 조황
갈치 조황
볼락&전갱이
농어&삼치&방어&부시리
기타 어종
낚시인조황
낚시인 번개조황
낚시인조행기
스탭조행기
우리낚시동호회이야기
전국낚시동호회소개
동호회갤러리
지난 조황자료보기(년도별 조황 자료)
점주선장조황
전국 실시간 조황
선상(배)+좌대 조황
갯바위+방파제 조황
점주선장전용 공지사항
지난 조황자료보기(년도별 조황 자료)
출조정보
낚시인동행출조
점주선장 갯바위 출조
점주선장 선상출조
기상파고정보(기상청)
해상예보
물때표
파고예보(일본)
실시간해양관측예보
스마트조석예보
낚시광장
낚시계뉴스
대회 및 낚시관련 홍보
제품평가단
신상품소개
낚시지식인
Q&A 묻고 답하기
지식인 베스트
조황/포인트 문의
낚시용품 사용기
낚시투표
토론방
新어류도감
낚시교실
낚시기법소개
어종별 낚시교실
입문자교실
중급자교실
낚시용어사전
중고장터
중고장터 이용후기
더치트 사기피해 검색
팝니다
삽니다
교환합시다
무료로 드립니다
부품팝니다
부품삽니다
일반 생활용품 사고 팔기
휴게실
출석부
낚시갤러리
세상사는 이야기(자유게시판)
낚시이야기 마당
먹고사는 이야기
구인구직
칭찬합니다
어째이런일이
습득물 찾기
인낚도서관
인낚 유튜브
인낚 칼럼
블루, 그것이 알고싶다
더블테일의 두 눈으로 보는 세상
입질의추억의 피싱다이어리
나無의 바다 이야기
전문강좌
海巖의 바다낚시 이야기
이성규의 전유동낚시 강좌
조성민의 금요루어클럽
인낚몰
홈소개
공지사항
자주 묻는 질문
운영진에게
광고/제휴문의
로그인
자동로그인
회원가입
|
정보찾기
점주선장조황
전국 실시간 조황
선상(배)+좌대 조황
갯바위+방파제 조황
점주선장전용 공지사항
지난 조황자료보기(년도별 조황 자료)
신상품 소개
긱스 나노에이스
낚시고 미장구레 VIP 대본류 벵에돔 파우더
낚시고 위력 벵에돔 파우더
천류 카모 피싱백
천류 레자 피싱백
zzis 찌스 전자기울찌 호리존탈 전유동전용 출시!
회원 랭킹
29
1
대부도1
28
2
오사마리
26
3
울트
18
4
왕초보태공
16
5
마루미르
14
6
시작하는채비와장비
13
7
Nike1972
13
8
목줄은내꺼
12
9
꿈의사냥5짜
12
10
잡어바글바글
12
11
거제그놈
12
12
bk2
11
13
로그온
10
14
감성돔대장
10
15
상석바위
10
16
방어지코
10
17
벵병
10
18
sss1185
9
19
대물헌트
9
20
군산감생킬러
9
21
부산그녀석
8
22
신용대
8
23
내만벵에
8
24
삼정그린토아
8
25
쌩기똥기
8
26
타짜감시
8
27
쌍칼라
8
28
굼낚시왕
8
29
퓨나인
8
30
리치망고제주
7
31
사하주민
7
32
민쓰
7
33
벵에저격수ㅋㅋ
7
34
젠틀낚시
7
35
검은바다
7
36
배팡
7
37
새조개
7
38
모카사랑해
7
39
쌈싸미
7
40
영종도청이
7
41
육짜방생
6
42
감생똥자
6
43
4계절벵에
6
44
아빠어부야
6
45
촌놈남해
6
46
블루홀리
6
47
숲공
6
48
울산동구27
6
49
미풍
6
50
취한다
6
51
갓바우조사
6
52
앵그리정
6
53
여수태평양전동릴
6
54
보이는게다야
6
55
연산동아톰
6
56
벵에만한다
6
57
여조사
6
58
블루피싱호
6
59
감성전설
6
60
시간없어이것들아
6
61
동해살감시
6
62
구태2
6
63
밖미역섬
6
64
방생또방생
6
65
G3매니아
5
66
한번만쮸
5
67
치악산돼지
5
68
김갈치
5
69
제롬느벤너
5
70
Donf까
5
71
전유동매니아
5
72
긴꼬리망상돔
5
73
HoYaHoYa
5
74
심통구리
5
75
엘리트낚시꾼
5
76
양산서가이드피싱샵
5
77
말랑파파
5
78
최리무진
5
79
삐까리절친
5
80
무릅고배이
5
81
어릴적꿈
5
82
존갈리아노
5
83
나라스카이2.5
5
84
바다의귀공자™
5
85
감시마을
5
86
개꽝도사
4
87
지금부터시작해보자
4
88
빵고릴라
4
89
붉은파도
4
90
바다사나이월천
4
91
황금비율습식
4
92
부시리우스2022
4
93
리퀴몰황
4
94
심낚창
4
95
3짜이하방생
4
96
소방관낚시꾼
4
97
따봉맨
4
98
연담
4
99
인벤터
4
100
번디기
공지사항
09.01
★ 2025년 9월 5일 사이트 리뉴얼 오픈 안내
06.09
★ "Connect Error: No such file or directory" 에러가 발생시
05.29
★ 카이퍼넷 방화벽 차단시 설정방법
07.03
★ 사이트 정상운영 ★ 24.07.03
06.19
★ 사이트 정상운영 ★ 24.06.19
06.17
★ 사이트 정상운영 ★
06.14
★ 서비스 일시정지 - 서버이전작업 ★
07.14
★ 112차 제품평가단 위촉 명단 발표
07.07
★ 112차 제품평가단모집 - 1차
11.01
★ 111차 제품평가단 위촉 명단 발표
점주/선장 > 가장 빠른!!
실시간 조황
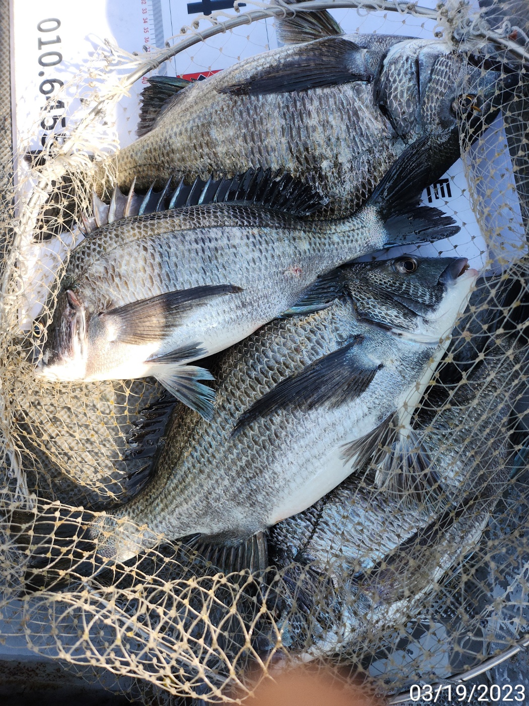
간달프호 감성돔 흘림) 실시간 4짜4짜4짜4짜
간달프거제
거제
0
249
2023.03.19 11:00
네임
카드
간달프거제
경남 거제시 거제면 산달길 703번지 출항지
010-6455-3914
실시간 예약
홈페이지
밴드 바로가기
유튜브/SNS
4짜4짜4짜4짜
예약 가능합니다.
▶출조시 구명조끼/신분증은 반드시 지참해주세요.
▶ 예약문의: 간달프호 선장 010-6455-3914
- 부재시 문자주시면 빠른연락 드리겠습니다.
▶ 배타는곳: 경남 거제시 거제면 법동리 1056번지
(방파제 중간)
▶ 선비 입금하실때
수협 차행우 0010 6455 3914
▶ 밴드" 간달프 거제" 검색
https://band.us/band/72256733
0
좋은 글이라고 생각되시면 "추천(좋아요)"을 눌러주세요!
게시물 신고
목록
0
댓글
로그인한 회원만 댓글 등록이 가능합니다.
×
Image Upload
로그인한 회원만 등록가능합니다.
목록
번호
포토
제목
이름
날짜
*
3
★필독★ 실시간 조황 이용 규칙 - 2021.07.20 변경
3
인터넷바다낚시
2020.11.05
31362
23일<주간쭈꾸미>월 예약가능&<야간낙지>토,월 예약가능
썬플라워호10톤
20
9시간전
썬플라워호10톤
00:25
31361
1
5짜4짜4짜4짜들외 찐한 손맛 중!!! 토/일 예약중 입니다.
1
거제최강피싱
55
01.23
거제최강피싱
01.23
31360
참돔 출항!! 26일 단하루가능 ^^ 백도권.거문도권
여수킹몬스터피싱
34
01.23
여수킹몬스터피싱
01.23
31359
통영한바다호ㅡ감성돔 카고 5짜 외진행중
통영한바다호
32
01.23
통영한바다호
01.23
31358
다래호 내일 왕알쭈꾸미 달립니다 즐낚하러오세요 자리널널 입니다
다래호
17
01.23
다래호
01.23
31357
(실시간)감성돔 5짜 까비~49Cm 외 4짜4짜~대양호(25일 …
통영대양호국치마을
51
01.23
통영대양호국치마을
01.23
31356
통영 금정호 대물감성돔 카고 조황! 자리있습니다
유촌금정낚시
43
01.22
유촌금정낚시
01.22
31355
<여수청홍낚시>다음주 26일(월) 딱 하루 괜찮은 기상에 나이키…
여수청홍낚시
55
01.22
여수청홍낚시
01.22
31354
일요일 타이라바 출항~ 예약중
거제챔프호
35
01.22
거제챔프호
01.22
31353
다래호 토,일 왕알쭈꾸미 달립니다 즐낚하러오세요 자리널널 입니다
다래호
26
01.22
다래호
01.22
31352
금요일부터 주간,야간 예약중입니다
감포에스코트호
49
01.21
감포에스코트호
01.21
31351
왕오징어 대박 쿨러가득! 금요일부터 예약가능!금토일 쭉 자리여유
진해은빛피싱
138
01.20
진해은빛피싱
01.20
31350
1
5짜4짜4짜3짜외 대물들 팅~ 찐한 손맛 중!!!
1
거제최강피싱
135
01.20
거제최강피싱
01.20
31349
1월 19일(월) 참돔 조황
천사피싱진해삼포
88
01.20
천사피싱진해삼포
01.20
31348
통영 금정호 대물 감성돔 카고 조황! 자리있습니다
유촌금정낚시
78
01.19
유촌금정낚시
01.19
31347
1
문어(실시간) 키로오버 키로급 마리수 베리굿~고고피싱(20일 예…
1
고고피싱호
72
01.19
고고피싱호
01.19
31346
1
《감성돔》4짜외 어초ㆍ여밭에서~
1
거제은아호
96
01.19
거제은아호
01.19
31345
1월 18일(일) 참돔 조황
천사피싱진해삼포
55
01.19
천사피싱진해삼포
01.19
31344
감성돔 46외 4짜급 마릿수 조황. 내일 예약가능합니다.
거제금성호
68
01.19
거제금성호
01.19
31343
1
문어(원도권 실시간) 2.1K포함 굵은놈들 주렁주렁~현서피싱(2…
1
현서피싱
53
01.19
현서피싱
01.19
31342
감성돔 현재
거제인성낚시
84
01.19
거제인성낚시
01.19
31341
일요일 주간,야간 즐거운 낚시하고 입항했습니다
감포에스코트호
46
01.19
감포에스코트호
01.19
31340
돌돔덜덜이 조황입니다 ~
1고흥녹동장보고호1
58
01.19
1고흥녹동장보고호1
01.19
31339
1
감성돔(핫 실시간) 4짜들외 3짜까지 퍼담고~대양호 (20일 예…
1
통영대양호국치마을
64
01.19
통영대양호국치마을
01.19
31338
1
감성돔(실시간 어초) 빵굵은 4짜 4짜 강력손맛~대어1호(20일…
1
거제대어1호
62
01.19
거제대어1호
01.19
31337
1
4짜4짜4짜급외 대물은 팅팅~ 20일(화) 예약중 입니다!!!
1
거제최강피싱
61
01.19
거제최강피싱
01.19
31336
월요일 대물 감성돔 출근완료~!!내일예약가능합니다.
진해해신호
41
01.19
진해해신호
01.19
31335
대박! 오징어 먹물 파티 제대로 하고 왔습니다!
진해은빛피싱
52
01.19
진해은빛피싱
01.19
31334
쭈꾸미 비처럼 쏟아지고! 오늘은 그냥 퍼담았습니다 !!!
진해풍산호
95
01.18
진해풍산호
01.18
31333
18일<주간쭈꾸미>마릿수 폭발!도전!!내일 월요일 예약가능
썬플라워호10톤
47
01.18
썬플라워호10톤
01.18
초기화
날짜순
조회순
검색
1
2
3
4
5
6
7
8
9
10
Search
검색대상
제목
내용
제목+내용
회원아이디
회원아이디(코)
글쓴이
글쓴이(코)
또는
그리고
검색어
필수
검색
닫기
인낚 최신글
08:43
욕지권 대물감성돔 54cm,50cm외~~
08:41
욕지]5짜감성돔 무료승선권획득^^일욜출항(05시)
08:35
(볼락)터지는 마릿수~감성돔 벵에돔 30수 오버 뉴그린호(오늘 예약 가능)
08:32
(볼락)통영권 왕시미 파티~3짜급~20전후 퍽 퍽~고고써니호(오늘 예약)
08:30
시마노 단화 265
08:22
[왕오징어]빵터지고~!! 전원쿨러~!일요일/월요일 예약가능! 정상출항합니다^ㅡ^
08:21
[여수 젠틀호] #감성돔선상 1.23 조황입니다.
08:19
통영백가피싱)좋은물때 씨알대박!/대왕열기&왕뽈락 일요일 오전 9시 출동 합니다.
08:17
스타]욕지/갈도 대물 감성돔외 조황 일요일 종일 출항
08:16
[감성돔 흘림]55,42,그외터지고 빠지고!!일요일 예약가능
08:09
아티누스 보조가방 판매합니다.
08:02
감성돔 (카고)ㅡ49.48.47.46.43 씨알 굿굿 (일,월,예약가능)
07:59
줄타는.왕.열기..대물.큰놈들.소탕하러.내일(일요일)예약주심(자리여유).계속.쭉.예약주심
07:56
시마노 오시아 콘퀘스트 리미티드 200PG
07:45
25일 오전9시 삼치출조합니다
07:45
대물감성돔 5짜 5짜 4짜 4짜 카고 조항 입니다 화요일 부터 쭉 예약 가능합니다
07:37
가마가츠 마모미장M53 팔아요
07:29
통영세린호 먼바다 대물 왕열기
07:29
((곰발왕열기 왕뽈))간밤 8분 3짜곰발 왕뽈ㆍ왕열기 굿굿 오늘오후3시 (예약가능자리완전텅텅
07:23
포항강성2호 감성돔 볼락 붕장어
07:23
왕오징어~씨알크고.마릿수좋고~일요일예약가능합니다
07:16
가마가츠 G4 0.8-530 미사용 초릿대, 스타킹 구매합니다.
07:04
06토너 24 임펄트 삽니다
05:59
자갈치 굿피싱 참돔 라바 조황 입니다
05:37
1월23일 먼바다 쿨러 꾹꾹 조황입니다.
05:19
1월23일 금 오징어 조황입니다
04:15
욕지권 감성돔 100% 조황..일요일 출조 안내...!
04:05
월요일/초도권역 새벽출조 합니다!
03:10
다이와 DW-1004 m싸이즈 내피미포함
03:05
06토너 2500 LBD
+1
03:00
G3 1-50 예비초리대포함
02:58
가마가츠 지누경기 스페셜2 0.8호
02:30
엠지 그레이트 이소 MH50 허기자낚시대 구합니다
00:32
다이코 레갈리아1-530>슈퍼인테샤08,다른08,06
00:25
23일<주간쭈꾸미>월 예약가능&<야간낙지>토,월 예약가능
00:17
시마노 낚시대가방 135
01.23
"Hot"<야간낙지>토,월 예약중&<주간쭈꾸미>월 예약가능
01.23
고성드래곤 어초 감시흘림 4짜4짜4짜등 일욜 자리여유
01.23
실시간 밤볼락 쿵쾅! 1/23. 뉴대양호
01.23
어초 닺바리 감성돔 5짜 4 짜대물들 (흘림)
01.23
카본스플(2500)
01.23
어텐더3 낚시복,조끼 삽니다
01.23
부산권 타이라바 참돔9짜가 똬악!!!
01.23
감성돔 (카고)ㅡ49.48.47.46.43 씨알 굿굿 (예약가능)
01.23
미개봉 칼치대 (가격인하)
01.23
[왕오징어]마릿수터지고~! 씨알초대박~! 일요일출항확정!! 일월화수 쭉 예약가능!
01.23
다이와vip 타입2 보증서
+1
01.23
시마노 힙가드 GU-101K 2XL 구합니다.
01.23
24토너 ML50-SMT 최상급
01.23
야간낙지 사이즈 최고최고~문어 KKK외 마릿수 쭉쭉~!!(일요일 예약중)
인낚 최신댓글
07:30
바늘에 묶은 목줄이 바늘쪽으로 돌려져있는게 좋습니다 반대쪽이면 잘빠진다는 이야기 들어봤습니다
07:26
혹한입니다 쉬세요
07:15
저는 벵에 낚시만 하니까 파블 클레버헌트 그리고 눈맛대로 인해스페셜 1.2호대로 정했습니다. 휘는맛이 예술이…
07:09
맞습니다
01:58
파블은 구레경기급이 아닙니다... 마스터모델이나 어텐더 급이지... 구레경기와 비교하면 당연히 쿼터가 좋습니…
01:55
가마가츠사의 좋은 점 딱 금액만큼만 만든다 입니다 구태MH50이면 우리나라에 있는 감성돔 벵에돔 다 잡을 수…
01:43
타사라는 범위가 넓어 기준을잡기어렵지만 어텐더 태생이 벵에돔 전용대이다보니 감성돔 전용 06대들과 비교하면 …
00:47
호야님 감사합니다 ^^ 어텐더2 06호가 타제조사 연질 08호 정도의 강도 나올까요?
00:01
오래전 레마레4 잠깐 사용했었는데 4만해도 든든했던기억이 있네요. 저는 2호이상 잘흔들지않아서 아쉽지만 떠나…
01.23
G5 시간이 지나도 역시 명불허전이죠. 높은호수1.75호 53은 하부손잡이가 길어서 들고있을만 하던데 1.2…
01.23
한때 어텐더2에 미쳐 2.25 2.5호수 빼고 전호수다사용해봤습니다. 낚시후 닦아준후 건조잘해서 보관하시면 …
01.23
아틀 1호만 해도 충분한 듯 합니다 쿼터가 있는데 굳이 1.2호나 1.5호로 갈 이유가 없을 것 같네요 물론…
01.23
있어요 같은 대를 두대 샀는지 한대 샀는지는 아무도 모릅니다
01.23
선장들 말로는 많이 줄었다고 하는데 주말 출조객은 그대로인거 같습니다
01.23
선상이 왜 여따 글을 올리는교
01.23
남들 가벼운거 찾을떄 혼자 역행해서 무식하고 파워풀한대 찾아서 레마레6으로 다떄려잡고 있습니다 터진적이 없고…
01.23
01.23
많은로드를 접하진 못했지만 G5-1.25-530이 저의 최애로드 입니다. 원정출정을 하지못해 극한상황 대처력…
01.23
20220914/ 태종대
01.23
25일(일) 3자리 여유 있습니다!!! ^_^
01.23
토요일 급2자리 예약가능 합니다 감사합니다
01.23
낼 급 2자리 있습니다
01.23
저도 미장m50만큼은 명기라 생각합니다. 후기감사합니다 ^^
01.23
저도 딱 그러네요 ㅎㅎ
01.23
저는 5.0m길이 이하는 적응불가네요 ㅠ 후기감사합니다^^
01.23
ML50 MH53은 사용하는데 L50은 아직이네요. 요즘은 토너가 대세인가봅니다 ㅎㅎ 후기감사합니다^^
01.23
감사합니다 ㅋㅋ 날씨가 안좋은거 알면서도 안가자니 몸이 근질근질하네요 지역이 진주라 말씀해주신 통영이나 거제…
01.23
11베이시스는 정말 가볍고 경쾌하게 사용했었는데 09아틀은 접해보지못했네요. 명성만큼 성능도 좋겠죠?
01.23
하필 데니오스를 안써봤네요. 가볍고 경쾌할꺼같은데 역시 평이 좋은 낚시대인가봅니다. 감사합니다. ^^ 새해 …
01.23
저도 딱히 주력대가 없네요. ㅎㅎ 알비 미장 참좋은 낚시대이죠.
01.23
저는 L50으로 4짜급 참돔 감성돔 오래전 재밌게 사용했었는데 안정감이 죽여주더라구요. L53도 궁금하긴 하…
01.23
마감용
01.23
토/일 주말 예약중 입니다~!!!^___^
01.23
토/일 주말 예약중 입니다~!!!^___^
01.23
낚시대?? 생각 해보니 참 많이도 내 손을 즐겁게 해 줬네요 그들에게 먼저 고맙고 감사드림 그래도 그중 최 …
01.23
말씀 감사합니다. 살펴보겠습니다^^
01.23
갯바위에서 그날 빼들은 로드가 주력대 입니다..
01.23
젤 맘에 드는대는 알데나 1.2 470 입니다.. 바란스 가벼움 모두 좋아요 구태쓰다 너무 무겁게 느껴져서 …
01.23
흠...그런 문제가 있었군요 꼭 필요한 정보 감사합니다
01.23
좋은 답변 감사합니다
01.23
실사용 후기 감사합니다 혹시 어떤 면에서 밀리는지 알 수 있을까요?
01.23
일요일은 날이 좋지 않더군요. 날도 영하로 떨어지고 바람도 심하고 너울도 크다고 되어 있어서 출조를 하지 않…
01.23
전 요즘 24토너 L-50 대만 손이갑니다. 슬림한 바디와 속이꽉찬 느낌에 조작성도 좋고 가방에 토너를 제일…
01.23
26아틀이 나온다는 시점이지만 초대 09아틀레타 모델이 정말 맘에 드네요 그리고 가성비로 하나 더 꼽자면 1…
01.23
구명조끼가 하는일이 ㅎ 가장 중요한건 생명이지 결코 가벼움이나 소위 뽀데가 머 대수일까요? 저도 걸그적 무거…
01.23
데니오스 밸런스 잘나옵니다 휨새이쁘면서 약간의 본조자~동조자 느낌입니다 1.25 50 구태2MH 느낌(서민의…
01.23
주력대라기보단 신상 써보고 싶은 마음에 팔고사고 반복하다보니 주력대가 없는데 가장 만족스러웠던대는 시마노 1…
01.23
저는 벵에돔은 치누L53대 입니다 이걸로 일뱅 30넘는거 무진장 잡았고 40넘는 벵에돔 걸리면 도파민 무한중…
01.23
개인적 느낌으로 챔질시에 느낌이 묵직하면서 요동치는게 느껴지면 입안에 후킹된거 같아서 그냥 쭉뽑았다가 릴링합…
01.23
예전에 아부가르시아 근처 백화점에 입점해서 직접돌려볼수있었는데...유격이 심하더군요. 그이후로 관심을 아예 …
온라인 문의 안내
*운영진에게 문의
*광고/제휴 문의
월~금 : 9:00 ~ 18:00
토/일/공휴일 휴무
점심시간 : 12:00 ~ 13:00
인낚몰 초특가
MAEK 맥 호래기 대바늘 호래기콕 J타입 (카본바디 2입)
어부공방 NEW 호래전
야마시타 SB 호래기 대바늘
★3,000★ 하야부사 6단 볼락 전갱이 카드채비 SD724 볼락채비
★1,000★볼락낚시에 최적인 메바트로볼 - 캐스팅볼, 메바볼
★13,000~★3NO 일본 오리지날 직수입 극강 멀티 무광 마크사 원줄
★500★ W쿠션 멀티 수중찌 M L - 전유동 반유동 끄심바리 필수품 수중쿠션
★5,900★ 여러개 있으면 아주 좋은 EVA 시스템 백
★ 1+1 플로팅, 세미, 카본 낚시줄 행사 호수선택가능 / 택상 1+1 원줄, 목줄 행사
★6,000★ 예민함의 끝판왕 애니원찌 벵에돔찌 학공치찌
★15,000★ 오동목 구멍찌 5개 + 메쉬 찌케이스 세트
★22만원★ 40W 집어등을 이 가격에!