거제도(감생이) 빵이 좋습니다~용진호(실시간) 조황 (9일 예약)

신상품 소개


회원 랭킹


공지사항


NaverBand
점주/선장 > 가장 빠른!!  실시간 조황

거제도(감생이) 빵이 좋습니다~용진호(실시간) 조황 (9일 예약)

거제용진호 1 196 2022.10.08 10:09
밴드 바로가기
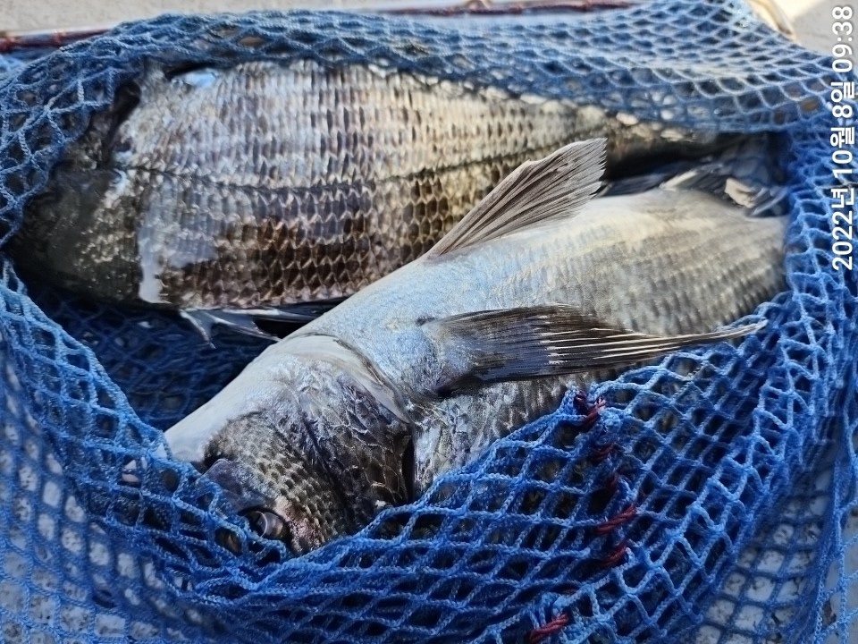
거제도권 감성돔낚시 핫포인트 학산마을 용진호입니다.
살아나는 물때 구간이라 그런지 안정적인 조류에 어장 사이로 지나가는 어신찌에
바로 반응이 오는 토요일 아침입니다. 아침시간대 겨울을 지내기 위해 거제 내만으로
진입한 녀석들의 파워가 상당합니다. 사이즈도 좋은 상황이라 그런지, 들어뽕하기
힘든 사이즈들이 본격 입질을 해 댑니다.

9일 일요일 내일 물때 좋습니다.
승율높은 물때이오니 도전하십시요~

★ 10월 9일(일요일) 거제도 내만권 감성돔 선상낚시 "예약가능"
※ 5짜 감성돔은 AJIKA(아지카)라인에서 원줄 증정.

▨ 용진호 ☎ 010.3587.8651
(선착장) 거제시 둔덕면 학산리 107-6
- 예약계좌 (수협) 2020 4196 1837 예금주 :오화택
0

좋은 글이라고 생각되시면 "추천(좋아요)"을 눌러주세요!


, , , , , , , , , , , , , , , , , , , , , , , , , , , ,

  • 페이스북으로 보내기
  • 트위터로 보내기
  • 구글플러스로 보내기
  • 카카오스토리로 보내기
  • 네이버밴드로 보내기
  • 네이버로 보내기
  • 텀블러로 보내기
  • 핀터레스트로 보내기
1 댓글
거제용진호 22-10-08 10:11 0  
9일 일요일 감성돔낚시 예약가능합니다. 감사합니다.
 
포토 제목
 

인낚 최신글


인낚 최신댓글


온라인 문의 안내


월~금 : 9:00 ~ 18:00
토/일/공휴일 휴무
점심시간 : 12:00 ~ 13:00