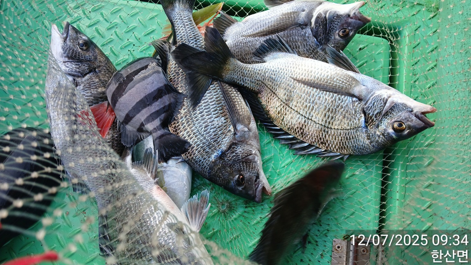
(실시간)감성돔 어초여밭 4짜 4짜급들 마릿수 HIT~대어2호(8일 예약)

신상품 소개


회원 랭킹


공지사항


NaverBand
점주/선장 > 가장 빠른!!  실시간 조황

(실시간)감성돔 어초여밭 4짜 4짜급들 마릿수 HIT~대어2호(8일 예약)

거제대어낚시2호 0 27 4일전
거제대어낚시2호 어초, 여밭 감성돔 흘림 조황입니다.
상당한 개체수가 확인되네요 어초여밭으로 이미 상당히 많은
개체수가 진입한 듯 보이고 좋은 조류 조건 속 따박 따박 입질이
이어집니다~ 4짜 4짜 외 4짜급들로 막강한 손맛 즐기고 있고
좋은 조건 속 남은 시간 집중해보겠습니다. 내일 예약 가능합니다.

주말까지 쭉~좋은 물때 구간으로 진입 승율은 더욱더 상승하는 곡선입니다.
8일(월요일) 내일, 감성돔낚시와 선외기 대여 예약 가능합니다.

※ 손맛 보시고 철수 하실때 요청 주시면 잡으신 고기 소정의 비용으로 손질
해드립니다~ 선장님께 요청해 주세요~

▣ 거제대어낚시 감성돔/돌문어/선외기대여 일정 안내 ▣
☆8일(월) 어초여밭 감성돔낚시 선외기대여 "예약가능"
☆9일(화) 어초여밭 감성돔낚시 선외기대여 "예약가능"
☆10일(수) 어초여밭 감성돔낚시 선외기대여 "예약가능"
☆11일(목) 어초여밭 감성돔낚시 선외기대여 "예약가능"


거제대어낚시 선상낚시 예약(독채 민박 운영)
문의 ☎ 010-6400-2082 / ☎ 010-454-3937
ㅁ선외기 예약: ☎ 010-6400-2082
■ 밴드: https://band.us/@geojdaeeofishing
0

좋은 글이라고 생각되시면 "추천(좋아요)"을 눌러주세요!


, , , , , , , , , , , , , , , , , , , , , , , , , , , , , , , , , , , , , , , , , ,

  • 페이스북으로 보내기
  • 트위터로 보내기
  • 구글플러스로 보내기
  • 카카오스토리로 보내기
  • 네이버밴드로 보내기
  • 네이버로 보내기
  • 텀블러로 보내기
  • 핀터레스트로 보내기
0 댓글
 
포토 제목
 

인낚 최신글


인낚 최신댓글


온라인 문의 안내


월~금 : 9:00 ~ 18:00
토/일/공휴일 휴무
점심시간 : 12:00 ~ 13:00