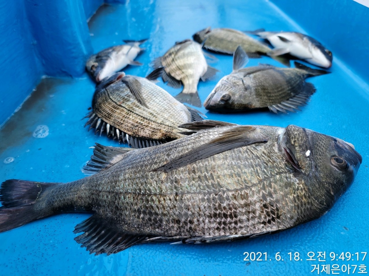
《감성돔》4짜외 마릿수 진행중~대물은 안녕~

신상품 소개


회원 랭킹


공지사항


NaverBand
점주/선장 > 가장 빠른!!  실시간 조황

《감성돔》4짜외 마릿수 진행중~대물은 안녕~

거제은아7호 1 251 2021.06.18 11:12
《감성돔》4짜외 마릿수로 입질이 들어왔습니다.
4짜까지는 올라왔지만 대물들은 터져버렸습니다.
약은 입질에 방심하다 챔질하면 깜짝 놀랍니다.
남은 시간 집중해 보겠습니다.

반갑습니다.
거제 은아호 입니다.
선장님들의 풍부한 경험으로 초보자분도 부담없이 연락주시면 친절하게 가르처 드립니다.

★찾아오시는길★
주소 : 거제시 거제면 법동리 536-24(법동휴게소)
          거제시 거제면 법동리 626-6

★★★신분증 꼭 지참해주세요★★★

☎예약문의☎
예약전화 : 010-6292-7634
문의전화 : 010-9084-7634

☆은아펜션 운영합니다.☆
거제시 거제면 거제남서로 4234
거제시 거제면 법동리 664-1
0

좋은 글이라고 생각되시면 "추천(좋아요)"을 눌러주세요!


  • 페이스북으로 보내기
  • 트위터로 보내기
  • 구글플러스로 보내기
  • 카카오스토리로 보내기
  • 네이버밴드로 보내기
  • 네이버로 보내기
  • 텀블러로 보내기
  • 핀터레스트로 보내기
1 댓글
거제은아7호 21-06-18 11:13 0  
토요일 일요일 감성돔 참돔 예약 가능합니다
 
포토 제목
 

인낚 최신글


인낚 최신댓글


온라인 문의 안내


월~금 : 9:00 ~ 18:00
토/일/공휴일 휴무
점심시간 : 12:00 ~ 13:00