(감성돔흘림) 실시간 중치급들 마리수 손맛중
12월 27일(토)
인낚 현재접속자
4,128명 (
300
)
공지사항
인낚도서관
점주선장전용 공지사항
로그인
광고/제휴 문의
운영진에게
인낚ㅣ인터넷바다낚시
0
어종별선상
어종별갯바위
낚시인조황
점주선장조황
출조정보
낚시광장
낚시지식인
낚시교실
중고장터
휴게실
인낚도서관
인낚몰
0
어종별선상
어종별 선상조황
4대돔 조황
먹물 조황
갈치 조황
볼락&전갱이
빅게임 지깅&파핑
외줄&외수질
기타 어종
어종별 갯바위조황
4대돔 조황
먹물 조황
갈치 조황
볼락&전갱이
농어&삼치&방어&부시리
기타 어종
어종별갯바위
어종별 선상조황
4대돔 조황
먹물 조황
갈치 조황
볼락&전갱이
빅게임 지깅&파핑
외줄&외수질
기타 어종
어종별 갯바위조황
4대돔 조황
먹물 조황
갈치 조황
볼락&전갱이
농어&삼치&방어&부시리
기타 어종
낚시인조황
낚시인 번개조황
낚시인조행기
스탭조행기
우리낚시동호회이야기
전국낚시동호회소개
동호회갤러리
지난 조황자료보기(년도별 조황 자료)
점주선장조황
전국 실시간 조황
선상(배)+좌대 조황
갯바위+방파제 조황
점주선장전용 공지사항
지난 조황자료보기(년도별 조황 자료)
출조정보
낚시인동행출조
점주선장 갯바위 출조
점주선장 선상출조
기상파고정보(기상청)
해상예보
물때표
파고예보(일본)
실시간해양관측예보
스마트조석예보
낚시광장
낚시계뉴스
대회 및 낚시관련 홍보
제품평가단
신상품소개
낚시지식인
Q&A 묻고 답하기
지식인 베스트
조황/포인트 문의
낚시용품 사용기
낚시투표
토론방
新어류도감
낚시교실
낚시기법소개
어종별 낚시교실
입문자교실
중급자교실
낚시용어사전
중고장터
중고장터 이용후기
더치트 사기피해 검색
팝니다
삽니다
교환합시다
무료로 드립니다
부품팝니다
부품삽니다
일반 생활용품 사고 팔기
휴게실
출석부
낚시갤러리
세상사는 이야기(자유게시판)
낚시이야기 마당
먹고사는 이야기
구인구직
칭찬합니다
어째이런일이
습득물 찾기
인낚도서관
인낚 유튜브
인낚 칼럼
블루, 그것이 알고싶다
더블테일의 두 눈으로 보는 세상
입질의추억의 피싱다이어리
나無의 바다 이야기
전문강좌
海巖의 바다낚시 이야기
이성규의 전유동낚시 강좌
조성민의 금요루어클럽
메인
어종별선상
어종별갯바위
낚시인조황
점주선장조황
출조정보
낚시광장
낚시지식인
낚시교실
중고장터
휴게실
인낚도서관
인낚몰
0
전국 실시간 조황
선상(배)+좌대 조황
갯바위+방파제 조황
점주선장전용 공지사항
지난 조황자료보기(년도별 조황 자료)
점주/선장 > 가장 빠른!!
실시간 조황
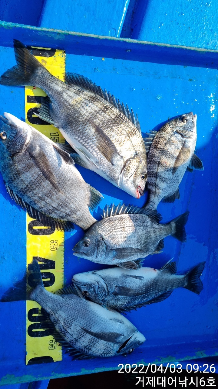
(감성돔흘림) 실시간 중치급들 마리수 손맛중
거제대어낚시6호
거제
1
108
2022.04.03 09:36
실시간 소식 전합니다
중치급들 마리수로 손맛 즐기시고 계십니다
남은시간도 즐겨보겠습니다
내일 예약가능합니다
★찾아오시는길★
※출항지: 거제시 거제면 법동리 1074번지 아지랑경로당 방파제
사무실 :거제시 거제면 서정리 746-3(GS25시편의점)검색하시면 바로 옆 위치
☎예약문의☎
ㅁ선상낚시 (민박) 문의 : ☎ 010-6400-2082 / ☎010-4547-3937
ㅁ선외기 문의 : ☎ 010-6400-2082
0
좋은 글이라고 생각되시면 "추천(좋아요)"을 눌러주세요!
게시물 신고
목록
글쓴이
0
0
Lv.1
거제대어낚시6호
점주선장
4 (0%)
반갑습니다. 거제대어 거제바다호입니다.
+1
09.24
(실시간)감성돔 깊은 수심 중치급들 마릿수 손맛~거제대어6호(25일 예약)
+1
09.22
(실시간)감성돔 강풍에도 4짜3짜 마릿수 진행중~거제대어6호(23일 예약)
+1
06.01
감성돔(실시간) 대물 5짜 4짜 쏟아집니다~거제대어6호(2일 예약)
+1
10.25
감성돔(실시간) 3방팅~4짜급 굵은 손맛~거제대어6호(26일 예약)
+1
09.13
감성돔(실시간)터져도~굵은 씨알과 마리수~거제대어6호 조황(14일 예약)
1
댓글
거제대어낚시6호
22-04-03 09:36
0
내일 예약 가능합니다
내일 예약 가능합니다
댓글 설정
댓글 신고
로그인한 회원만 댓글 등록이 가능합니다.
×
Image Upload
로그인한 회원만 등록가능합니다.
목록
번호
포토
제목
이름
날짜
22533
거진항 해신호 장원39kg 어구가자미 대박조황
거진항해신호
51
02.14
거진항해신호
02.14
22532
대물감성돔 원도권 내일 예약완료 일요일 7자리여유 예약…
사천뉴경원피싱
31
02.14
사천뉴경원피싱
02.14
22531
1
묵호항 황열기 조황!!
1
쌈바호
37
02.14
쌈바호
02.14
22530
1
14일 문어 조황~! 오늘은 사이즈가?
1
삼천포박프로
31
02.14
삼천포박프로
02.14
22529
14일 감성돔 대전 사장님 생애 첫 감성돔 한수하고 마…
진우호선장
29
02.14
진우호선장
02.14
22528
거진항 힐링호 13인승 25년 2월 14일 어구가자미 …
거진항힐링호
54
02.14
거진항힐링호
02.14
22527
오짜이하 감성돔 조황
거제영광호
28
02.14
거제영광호
02.14
22526
돌돔잡으러 갑시다~
1고흥녹동장보고호1
41
02.14
1고흥녹동장보고호1
02.14
22525
1
14일 문어실시간~ 저수온이 오래가네요~! 제발 한…
1
삼천포박프로
31
02.14
삼천포박프로
02.14
22524
감성돔 5짜급 빵좋은놈 손맛좋습니다.내일두자리여유
거제오로라호
45
02.14
거제오로라호
02.14
초기화
날짜순
조회순
검색
836
837
838
839
840
Search
검색대상
제목
내용
제목+내용
회원아이디
회원아이디(코)
글쓴이
글쓴이(코)
또는
그리고
검색어
필수
검색
닫기
인낚몰 초특가
★3,000★ 하야부사 6단 볼락 전갱이 카드채비 SD724 볼락채비
★1,000★볼락낚시에 최적인 메바트로볼 - 캐스팅볼, 메바볼
★13,000~★3NO 일본 오리지날 직수입 극강 멀티 무광 마크사 원줄
★500★ W쿠션 멀티 수중찌 M L - 전유동 반유동 끄심바리 필수품 수중쿠션
★5,900★ 여러개 있으면 아주 좋은 EVA 시스템 백
★ 1+1 플로팅, 세미, 카본 낚시줄 행사 호수선택가능 / 택상 1+1 원줄, 목줄 행사
★6,000★ 예민함의 끝판왕 애니원찌 벵에돔찌 학공치찌
★15,000★ 오동목 구멍찌 5개 + 메쉬 찌케이스 세트
★22만원★ 40W 집어등을 이 가격에!
★5,000★ 전층쿠션 15세트입 S / L 사이즈
★2,000★ 전층쿠션 5세트입 S / L 사이즈
★10,000 미니집어등5개 + 425배터리 1개 + 스토퍼고무 10개