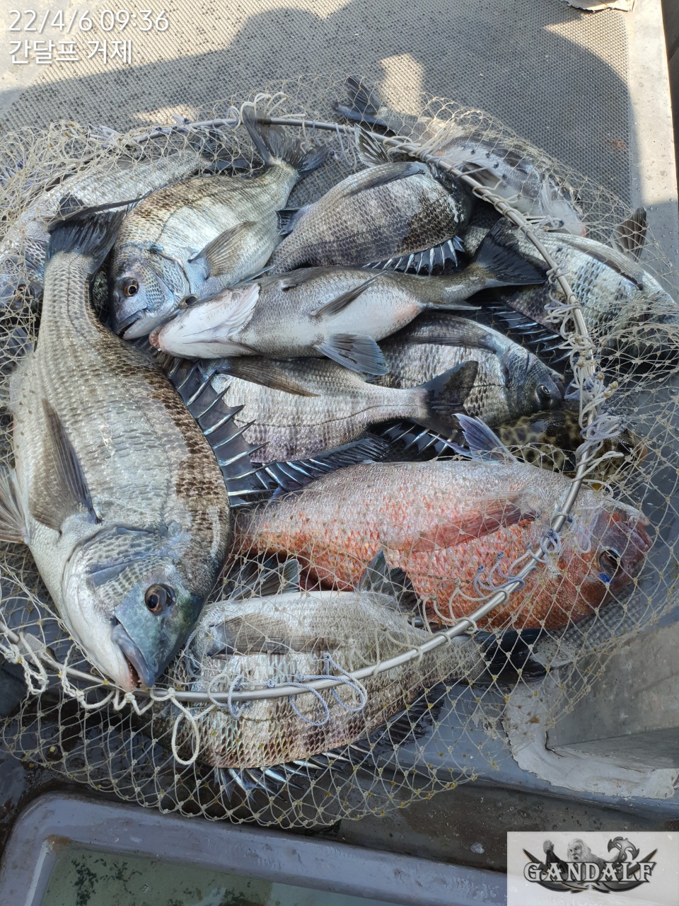
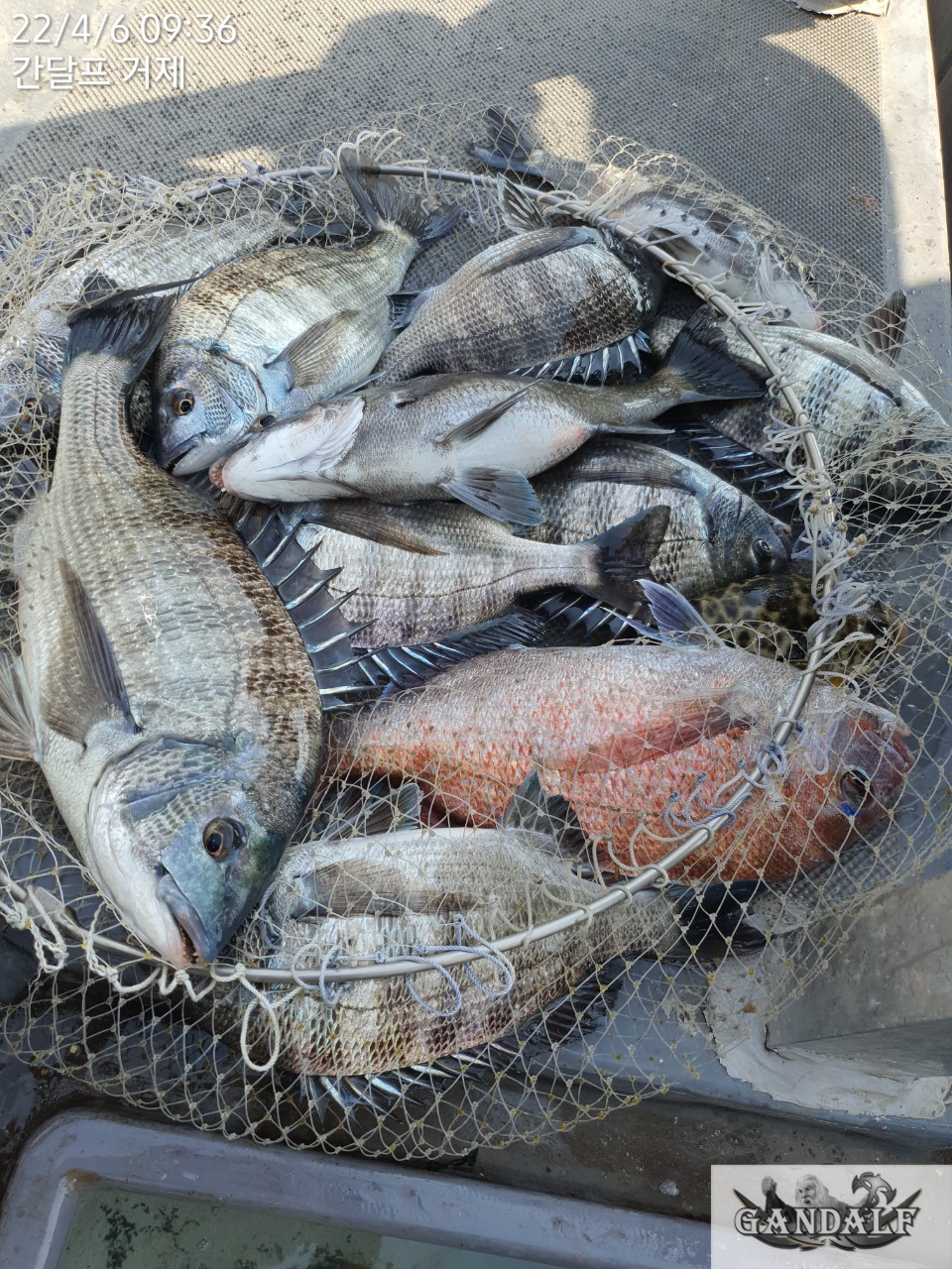
거제 간달프호)실시간 43이하 마릿수 감성돔 진행중입니다
인낚ㅣ인터넷바다낚시
어종별선상
어종별갯바위
낚시인조황
점주선장조황
출조정보
낚시광장
낚시지식인
낚시교실
중고장터
휴게실
인낚도서관
인낚몰
0
홈
어종별선상
어종별갯바위
낚시인조황
점주선장조황
출조정보
낚시광장
낚시지식인
낚시교실
중고장터
휴게실
인낚도서관
인낚몰
어종별선상
어종별갯바위
낚시인조황
점주선장조황
출조정보
낚시광장
낚시지식인
낚시교실
중고장터
휴게실
인낚도서관
인낚몰
어종별선상
어종별 선상조황
4대돔 조황
먹물 조황
갈치 조황
볼락&전갱이
빅게임 지깅&파핑
외줄&외수질
기타 어종
어종별 갯바위조황
4대돔 조황
먹물 조황
갈치 조황
볼락&전갱이
농어&삼치&방어&부시리
기타 어종
어종별갯바위
어종별 선상조황
4대돔 조황
먹물 조황
갈치 조황
볼락&전갱이
빅게임 지깅&파핑
외줄&외수질
기타 어종
어종별 갯바위조황
4대돔 조황
먹물 조황
갈치 조황
볼락&전갱이
농어&삼치&방어&부시리
기타 어종
낚시인조황
낚시인 번개조황
낚시인조행기
스탭조행기
우리낚시동호회이야기
전국낚시동호회소개
동호회갤러리
지난 조황자료보기(년도별 조황 자료)
점주선장조황
전국 실시간 조황
선상(배)+좌대 조황
갯바위+방파제 조황
점주선장전용 공지사항
지난 조황자료보기(년도별 조황 자료)
출조정보
낚시인동행출조
점주선장 갯바위 출조
점주선장 선상출조
기상파고정보(기상청)
해상예보
물때표
파고예보(일본)
실시간해양관측예보
스마트조석예보
낚시광장
낚시계뉴스
대회 및 낚시관련 홍보
제품평가단
신상품소개
낚시지식인
Q&A 묻고 답하기
지식인 베스트
조황/포인트 문의
낚시용품 사용기
낚시투표
토론방
新어류도감
낚시교실
낚시기법소개
어종별 낚시교실
입문자교실
중급자교실
낚시용어사전
중고장터
중고장터 이용후기
더치트 사기피해 검색
팝니다
삽니다
교환합시다
무료로 드립니다
부품팝니다
부품삽니다
일반 생활용품 사고 팔기
휴게실
출석부
낚시갤러리
세상사는 이야기(자유게시판)
낚시이야기 마당
먹고사는 이야기
구인구직
칭찬합니다
어째이런일이
습득물 찾기
인낚도서관
인낚 유튜브
인낚 칼럼
블루, 그것이 알고싶다
더블테일의 두 눈으로 보는 세상
입질의추억의 피싱다이어리
나無의 바다 이야기
전문강좌
海巖의 바다낚시 이야기
이성규의 전유동낚시 강좌
조성민의 금요루어클럽
인낚몰
홈소개
공지사항
자주 묻는 질문
운영진에게
광고/제휴문의
로그인
자동로그인
회원가입
|
정보찾기
점주선장조황
전국 실시간 조황
선상(배)+좌대 조황
갯바위+방파제 조황
점주선장전용 공지사항
지난 조황자료보기(년도별 조황 자료)
신상품 소개
긱스 나노에이스
낚시고 미장구레 VIP 대본류 벵에돔 파우더
낚시고 위력 벵에돔 파우더
천류 카모 피싱백
천류 레자 피싱백
zzis 찌스 전자기울찌 호리존탈 전유동전용 출시!
회원 랭킹
50
1
목줄은내꺼
25
2
마루미르
22
3
잡어바글바글
19
4
긴꼬리벵에돔55
16
5
앵그리정
12
6
감시밥줄
12
7
오또다
11
8
4계절벵에
11
9
리치망고제주
11
10
카데바
10
11
벵병
10
12
김갈치
10
13
최리무진
10
14
신용대
10
15
포항대박이
10
16
모카사랑해
10
17
배팡
9
18
상석바위
9
19
페드로
9
20
화니이123
9
21
수려한
9
22
오사마리
9
23
아나구릉
9
24
사냥꾼끝판대장
8
25
시작하는채비와장비
8
26
진해숭어
8
27
큰아범
8
28
쌍칼라
8
29
타짜감시
8
30
닉초이
8
31
거제그놈
7
32
구을비도
7
33
짱규
7
34
한국밑밥연맹
7
35
푸푸헐
7
36
검은바다
7
37
도선사
7
38
감성사자
7
39
망상어전문
7
40
6짜긴꼬리
7
41
숲공
7
42
헤리티지
6
43
원투꾼89
6
44
바다낚시꾼의꿈
6
45
군산감생킬러
6
46
헛탕만
6
47
민쓰
6
48
리시안
6
49
벵창
6
50
압맥69봉지
6
51
시그니처latte
6
52
cdas
6
53
번영
6
54
여수태평양전동릴
6
55
무릅고배이
6
56
백곰
6
57
새벽물때
6
58
나무사랑쫑
6
59
아티스트rla
6
60
쌩기똥기
6
61
플레져
6
62
부시리우스2022
6
63
경남미디어
5
64
love
5
65
아로니파파
5
66
삼정그린토아
5
67
촌놈남해
5
68
큰달메
5
69
흑푸
5
70
사하주민
5
71
대부도1
5
72
싼도야
5
73
김오키
5
74
마산긴꼬리
5
75
Vora
5
76
불꽃버디
5
77
랭부
5
78
보이는게다야
5
79
가마인
5
80
마구자비조
5
81
윈드스토퍼
5
82
emfjaj
5
83
히히히히히홀
5
84
갯바위감성
5
85
볼카짱짱짱
4
86
어디로가지
4
87
적보신화
4
88
정품긴꼬리감시
4
89
김해장유아디다스
4
90
소주한잔함세
4
91
일자손금
4
92
3짜이하방생
4
93
PROKILLER
4
94
부산낚시터
4
95
고독한김조사
4
96
행주
4
97
겨울감시기
4
98
우리주인
4
99
분리수거
4
100
sss1185
공지사항
09.01
★ 2025년 9월 5일 사이트 리뉴얼 오픈 안내
06.09
★ "Connect Error: No such file or directory" 에러가 발생시
05.29
★ 카이퍼넷 방화벽 차단시 설정방법
07.03
★ 사이트 정상운영 ★ 24.07.03
06.19
★ 사이트 정상운영 ★ 24.06.19
06.17
★ 사이트 정상운영 ★
06.14
★ 서비스 일시정지 - 서버이전작업 ★
07.14
★ 112차 제품평가단 위촉 명단 발표
07.07
★ 112차 제품평가단모집 - 1차
11.01
★ 111차 제품평가단 위촉 명단 발표
점주/선장 > 가장 빠른!!
실시간 조황
거제 간달프호)실시간 43이하 마릿수 감성돔 진행중입니다
간달프거제
거제
0
224
2022.04.06 09:49
네임
카드
간달프거제
경남 거제시 거제면 산달길 703번지 출항지
010-6455-3914
실시간 예약
홈페이지
밴드 바로가기
유튜브/SNS
안녕하세요 간달프호입니다
실시간 43이하 마릿수 감성돔 진행중입니다.
노력해서 철수때 더 좋은 조황으로 찾아뵙겠습니다.
------------------------------------------------------
▶출조시 구명조끼/신분증은 반드시 지참해주세요.
▶ 예약문의
간달프호 선장 010-6455-3914
- 부재시 문자주시면 빠른연락 드리겠습니다.
▶ 배타는곳
경남 거제시 거제면 법동리 1056번지
(방파제 중간)
▶ 선비 입금계좌
001064553914 수협은행 차행우
0
좋은 글이라고 생각되시면 "추천(좋아요)"을 눌러주세요!
게시물 신고
목록
0
댓글
로그인한 회원만 댓글 등록이 가능합니다.
×
Image Upload
로그인한 회원만 등록가능합니다.
목록
번호
포토
제목
이름
날짜
5902
"감성돔"현재
거제인성낚시
176
2022.04.16
거제인성낚시
2022.04.16
5901
감성돔실시간》바쁘다! 바뻐! 열혈 뜰채질중!
레전드피쉬
203
2022.04.16
레전드피쉬
2022.04.16
5900
(감성돔흘림) 실시간 4짜,4짜,3짜후,3짜후외 손맛중
거제대어낚시1호
501
2022.04.16
거제대어낚시1호
2022.04.16
5899
(삼천포스피드피싱) 새벽부터 봄갑이들이 퍽~퍽 잘 올라옵니다 (…
삼천포스피드피싱
188
2022.04.16
삼천포스피드피싱
2022.04.16
5898
진프로피싱 야간 낙지 실시간 조황~ 오늘 출조 예약 가능 합니다…
삼천포진프로피싱
145
2022.04.16
삼천포진프로피싱
2022.04.16
5897
1
통영 송현호))야간낙지 쭉쭉 뽑아냅니다
1
통영송현피싱
115
2022.04.15
통영송현피싱
2022.04.15
5896
(로드피싱변여사)낙지 실시간~,지금 활성도 끝내줍니다!!
로드피싱
131
2022.04.15
로드피싱
2022.04.15
5895
만선피싱호#실시간 왕갑이 조황~!(토,일)왕갑이 출조예약중!!!
사천만선피싱
236
2022.04.15
사천만선피싱
2022.04.15
5894
1
(감성돔흘림) 실시간 4짜후반으로 스타트~
1
거제대어3호
298
2022.04.15
거제대어3호
2022.04.15
5893
14일@군산샤크호@광어다운샷@선비이벤트중
군산킹마린
158
2022.04.14
군산킹마린
2022.04.14
5892
울산 방어진 날씨정보
해룡피싱1
1235
2022.04.14
해룡피싱1
2022.04.14
5891
"참돔"현재
거제인성낚시
628
2022.04.13
거제인성낚시
2022.04.13
5890
1
야간 낙지 사이즈 마릿수 어마무시 합니다
1
통영송현피싱
449
2022.04.12
통영송현피싱
2022.04.12
5889
대물 감성돔 50 50 49 48 45 어초흘림 실시간~~~
거제석피싱
553
2022.04.12
거제석피싱
2022.04.12
5888
1
( 감성돔흘림)대어낚시3호 참돔 실시간 조황입니다
1
거제대어3호
429
2022.04.12
거제대어3호
2022.04.12
5887
1
( 감성돔흘림) 73cm 참돔ㆍ감성돔 실시간 조황입니다
1
거제대어낚시2호
466
2022.04.12
거제대어낚시2호
2022.04.12
5886
실시간 감성돔 입니다
거제비버호
288
2022.04.12
거제비버호
2022.04.12
5885
"감성돔"현재
거제인성낚시
323
2022.04.12
거제인성낚시
2022.04.12
5884
통영 스피드)또다시 퍽퍽시작된 감성돔 마리수...실시간
통영스피드낚시
399
2022.04.12
통영스피드낚시
2022.04.12
5883
거제 뉴태강피싱) 4짜후반으로 시작합니다
뉴거제태강피싱
218
2022.04.12
뉴거제태강피싱
2022.04.12
5882
((대물 감성돔)) 어초흘림 ((50 50 49 48 45))
거제석피싱
278
2022.04.12
거제석피싱
2022.04.12
5881
1
통영 송현호))야간 낙지 원조 맛집,입질 폭풍!
1
통영송현피싱
198
2022.04.11
통영송현피싱
2022.04.11
5880
영덕군 수궁호 돌가자미50cm 사이즈 대박
수궁호영덕군
277
2022.04.11
수궁호영덕군
2022.04.11
5879
"참돔"현재
거제인성낚시
368
2022.04.11
거제인성낚시
2022.04.11
5878
히트다히트 《감성돔 》35 전ㆍ후 마릿수 실시간
히트다HIT
301
2022.04.11
히트다HIT
2022.04.11
5877
1
《감성돔》4짜까지 어초ㆍ여밭에서~대물 팅~
1
거제은아4호
285
2022.04.11
거제은아4호
2022.04.11
5876
사짜로ᆢ
미금호
258
2022.04.11
미금호
2022.04.11
5875
《먼다바 참돔흘림》실시간/씨알급 참돔들 원줄을 시원하게 가져갑니…
람보피싱2호
289
2022.04.11
람보피싱2호
2022.04.11
5874
《대물감성돔 어초흘림》실시간/53.48.44.43.40.마리수 …
람보피싱1호
265
2022.04.11
람보피싱1호
2022.04.11
5873
(스피드피싱) 아침부터 돌문어들이 반겨주네요 (선수 모집)
삼천포스피드피싱
218
2022.04.11
삼천포스피드피싱
2022.04.11
초기화
날짜순
조회순
검색
831
832
833
834
835
836
837
838
839
840
Search
검색대상
제목
내용
제목+내용
회원아이디
회원아이디(코)
글쓴이
글쓴이(코)
또는
그리고
검색어
필수
검색
닫기
인낚 최신글
18:33
DIF신검기2.5-50외레브로스4000
18:33
대물 감성돔 조황입니다
18:32
오832m 에깅대 에깅릴3000번
18:30
44444들 조황입니다
18:29
가마가츠 인텐샤 1-5 50
18:29
19테크늄 3000우핸
18:26
가덕털보낚시 오늘도 감성돔 5짜!! 53,48cm외4짜 마릿수~ 학꽁치 조황!!
18:26
양지암 갯바위 대물감성돔 학공치 소식입니다
18:25
잡어가 급증 감성돔 조황
18:25
진영 경기지누스페셜3 08-53
18:25
가덕새바지낚시 5짜4짜우당탕탕감성돔&학꽁치조황
18:25
가덕자유인낚시 감성돔 조황입니다.
18:25
감성돔흘림 4짜3짜 마릿수 우르르르르~
18:25
27일원도권돌문어 대박~장원20수((월,화,수~내만야간문어예약가능,``금,토,일~원도권예약가능
18:24
거제도 대형 방파제 낚시 문의드립니다
18:23
가덕천성진양 좌대낚시 (25/12/28/일)
18:23
척포동성피싱 감성돔 5짜.4짜 조황입니다
18:21
감성돔 거제인성낚시
18:20
강릉 성훈호 251228일 동해바다 왕대구 배낚시 조황 (성훈호낚시TV)
18:18
다대 조황입니다 (대도 피싱호)
18:17
에이스 감성돔 ~^^
18:17
28일)괴물 대삼치~ 중삼치, 방어 버글버글(월,화,수~모집)
18:16
((한사리))두미도&갈도 탱크들.겁납니다~일당들(옥수수 진리)
18:15
((해림1호)) 내만권 감성돔이 좋타~수시출항/철수
18:15
((한사리))두미도&갈도 탱크들.겁납니다~일당들(옥수수 진리)
18:15
(문어)KKKKKKKKK 대물 맛집 진입 고고피싱호 대박 행진~(30일 예약)
18:13
12월 28일 생도 태종대 갯바위 조황입니다.
18:11
가마가츠 gr3뜰채 6미터
18:10
오리온!원도권문어!내일도 대물문어 잡으러 달립니다~내일예약가능
18:09
고수낚시 고수호 내만 감성돔과 학꽁치
18:08
거진항 해신호 어구가자미 조황! 매일 출조합니다!
18:05
해금강 4짜 감성돔들
18:04
<이슬호>농어 조황입니다
17:59
도리호 28일 감성돔 4짜들 조항입니다 ~
17:57
28일(일) 삼천포 주꾸미 조황입니다//자리여유(예약중)
17:53
27일 출항 <야간 낙지>왕건이 낚으러gogo~월,화,수~예약가능
17:50
12/28 갯바위 47 45 외 4짜 감성돔 및 벵에돔 학꽁치 조황입니다.
17:49
거제 어구일성호 비매너 허위작성
17:49
감시흘림,연일,4짜들과,3짜들,와르르,,(예약가능)
17:49
토너조끼 상태 좋은거 교환하실분잇나요? 2xlㅡ>xl
17:47
통영 서하호 28일 5분흘림 조황입니다.
17:47
알쭈꾸미 선비5만식사제공 내일출항결정
17:46
28일 최저가 패키지 오늘의 금오열도는..계속 출발합니다....
17:46
쭈꾸미 아직 올라옵니다~~~~!!!
17:46
낚시광 오늘도 줄타는 홍감펭~ 만쿨~~
17:45
12월28일 풍성호 갯바위조황
17:44
감성돔(흘림)~빅싸이즈!대물감성돔 출항합니다(월요일예약가능)
17:43
쯔리겐 저부력
17:41
쯔리겐 고부력
17:40
26일야간 왕낙지들 롱다리 쭉쭉~사이즈 최고~!!(월,화,수 예약중)
인낚 최신댓글
17:45
일성호 철수자기맘대로입니다 인낚에왜4시라고올릿는지 낚시하는사람호구로아는건지 물돌이보고 정리할랫더니 바로 한분…
17:42
철수시간4시까지라해놓고 3시철수라고 동절기누가3시에철수를하는지 망시천국이며 사장님 개매너입니다 시간허위이며 …
17:10
30일(화) 주간열기낚시 예약가능합니다. 06시까지 오시면 자리추첨후 출조합니다.
16:06
동래 XX업체에 복원초리 3~4개맡겨보고 복원초리는 다신 안써야겠다 생각이 듭니다. 정품초리보다 튜브라 솔리…
16:01
예약 가능합니다!
15:52
내일예약가능합니다
14:51
편하게 복원으로 가시는것을 추천드립니다. 너무 예민하게 생각하시면 정신건강에 좋지 못합니다. 개인적인 생각 …
14:49
일단 칼라피싱에 전화 먼저 해보세요. 사진 보내드리면 왠안하면 답변 주실겁니다.
14:39
내일 2명 예약중~ 대물 감성돔 흘림 출동합니다!!
14:24
복원도 나쁘지않습니다.
14:05
양말 두켤레를 신는게 도움이 되는데 두켤레 중 하나는 발가락 양말을 신는게 훨씬 도움이 됩니다.
13:48
낼도 당찬 손맛 보실분 연락주세요 감사합니다
13:14
12월 31일 야간 예약 가능합니다. 언제라도 야간 그리고 주간 예약 가능합니다. 최소 2인부터 이용 가능합…
13:04
밴드주소 band.us @wonderful
12:14
저의경우 두꺼운양말도 착용해보고 발바닥에 붙이는 핫팩도 착용해보았지만 그닥 도움이 되지않더라구요 그래서 동계…
12:06
스키 장비에 부츠에 까는 열선 깔창이 있습니다 ~~ 가격이 조금 나가지만요 진짜 따스합니다
10:48
내일도 출동~ 널널합니다^_^
10:30
내일도 출동~ 널널합니다^_^
09:53
상세한 말씀 감사합니다. 연말 잘 보내세요.
09:46
미장의 신형으로 조심스럽게 추정 해봅니다
08:38
카본공법, 액션 등 좀 달라진부분이 있어 휨새가 부자연스러울것 같습니다 초리의 경우 잘 확인해보시면 초리 중…
05:07
저는 겨울뿐아니라 봄 가을 겨울은 무조껀 스포츠양말 신습니다. 겨울 낚시갈땐 거기에 여름용양말을 껴신습니다.
12.27
조금이라 이정도 조황임...ㅋㅋ 막나가는 놈들은 텅~소리와 함께....ㅋ
12.27
https://naver.me/ximuZ1Ct 포인트낚시 동서울점. 포인트낚시=다카미야 라고 하기도 합니다.…
12.27
죄송하지만 이해를 못 했습니다.
12.27
다카미야 가시면 입어볼수 있을겁니다
12.27
저도 잠길낚시를 좋아해서 싱킹줄을 사용합니다. 장점은 줄이 튼튼해서 세미플로팅보다 한호수 가늘게 사용할수 있…
12.27
내일 예약가능합니다
12.27
28일(일) 주간열기낚시 예약가능합니다. 06시까지 오시면 자리추첨후 출조합니다.
12.27
겨울철 발에 땀이 많은분들은 뭘 해도 발이 시리다고 하던데 제 생각엔 양말 두겹이나 발바닥 핫팩도 좋겠지만 …
12.27
답변 감사합니다. 연말 잘 보내세요.
12.27
답변 감사합니다. 연말 잘 보내세요.
12.27
답변 감사합니다. 연말 잘 보내세요.
12.27
답변 감사합니다. 연말 잘 보내세요.
12.27
어제 이걸 보다 보니 바트 똥창 부분이 어텐더3 그립처럼 보이는 부분도 있었습니다...;;;
12.27
예약 가능합니다!
12.27
양말을 두켤레을 신으시데 양말 한켤레 신고 배타기전 발핫팩붙이고 그위에 수면양말을 신어보세요
12.27
29일(월) 예약중~ 널널합니다!!!
12.27
ㅋㅋㅋㅋㅋ
12.27
허나 막상 나오면 구입 하지 않을까요? ㅎ ㅎ
12.27
나올만한 로드가 마스터모델3 하고 인덴샤G6 인데 릴시트가 저리 나오면 구입 망설일거 같네요
12.27
필드테스트 신형 로드 아닐까? 싶은데요~ 일부러 영상에 흘려서 궁금증 자아내서 몇년후 아니 1~2년 안에 출…
12.27
내일 1자리 여유~!!! 다음주 널널합니다^_^
12.27
내일 1자리 여유~!!! 다음주 널널합니다^_^
12.27
28일(일) 주간열기낚시 예약가능합니다. 06시까지 오시면 자리추점후 출조합니다.
12.27
예약 가능합니다
12.27
시마노 최대의 결함;;; 예방이 최선입니다.ㅜㅜ 낚시 다녀오면 세척은 필수,그다음으로 구리스 이빠이 도포;;…
12.27
감사합니다
12.26
말좀이뿌게하이소~~ 다초면인데 반말찍찍 성격비슷한사람만나면 저번에어떤사람 글대로 망치로대가리찍힙니다 당신 돈…
12.26
찾아보니 그렇네요 문양은 마스타모델 미장이라 적혀있는데 시트가 다르네요. ;; 22/12/26일 방송 한거라…
온라인 문의 안내
*운영진에게 문의
*광고/제휴 문의
월~금 : 9:00 ~ 18:00
토/일/공휴일 휴무
점심시간 : 12:00 ~ 13:00
인낚몰 초특가
★3,000★ 하야부사 6단 볼락 전갱이 카드채비 SD724 볼락채비
★1,000★볼락낚시에 최적인 메바트로볼 - 캐스팅볼, 메바볼
★13,000~★3NO 일본 오리지날 직수입 극강 멀티 무광 마크사 원줄
★500★ W쿠션 멀티 수중찌 M L - 전유동 반유동 끄심바리 필수품 수중쿠션
★5,900★ 여러개 있으면 아주 좋은 EVA 시스템 백
★ 1+1 플로팅, 세미, 카본 낚시줄 행사 호수선택가능 / 택상 1+1 원줄, 목줄 행사
★6,000★ 예민함의 끝판왕 애니원찌 벵에돔찌 학공치찌
★15,000★ 오동목 구멍찌 5개 + 메쉬 찌케이스 세트
★22만원★ 40W 집어등을 이 가격에!
★5,000★ 전층쿠션 15세트입 S / L 사이즈
★2,000★ 전층쿠션 5세트입 S / L 사이즈
★10,000 미니집어등5개 + 425배터리 1개 + 스토퍼고무 10개