히트다히트 《흘림참돔 》마릿수 실시간~
12월 26일(금)
인낚 현재접속자
4,401명 (
193
)
공지사항
인낚도서관
점주선장전용 공지사항
로그인
광고/제휴 문의
운영진에게
인낚ㅣ인터넷바다낚시
0
어종별선상
어종별갯바위
낚시인조황
점주선장조황
출조정보
낚시광장
낚시지식인
낚시교실
중고장터
휴게실
인낚도서관
인낚몰
0
어종별선상
어종별 선상조황
4대돔 조황
먹물 조황
갈치 조황
볼락&전갱이
빅게임 지깅&파핑
외줄&외수질
기타 어종
어종별 갯바위조황
4대돔 조황
먹물 조황
갈치 조황
볼락&전갱이
농어&삼치&방어&부시리
기타 어종
어종별갯바위
어종별 선상조황
4대돔 조황
먹물 조황
갈치 조황
볼락&전갱이
빅게임 지깅&파핑
외줄&외수질
기타 어종
어종별 갯바위조황
4대돔 조황
먹물 조황
갈치 조황
볼락&전갱이
농어&삼치&방어&부시리
기타 어종
낚시인조황
낚시인 번개조황
낚시인조행기
스탭조행기
우리낚시동호회이야기
전국낚시동호회소개
동호회갤러리
지난 조황자료보기(년도별 조황 자료)
점주선장조황
전국 실시간 조황
선상(배)+좌대 조황
갯바위+방파제 조황
점주선장전용 공지사항
지난 조황자료보기(년도별 조황 자료)
출조정보
낚시인동행출조
점주선장 갯바위 출조
점주선장 선상출조
기상파고정보(기상청)
해상예보
물때표
파고예보(일본)
실시간해양관측예보
스마트조석예보
낚시광장
낚시계뉴스
대회 및 낚시관련 홍보
제품평가단
신상품소개
낚시지식인
Q&A 묻고 답하기
지식인 베스트
조황/포인트 문의
낚시용품 사용기
낚시투표
토론방
新어류도감
낚시교실
낚시기법소개
어종별 낚시교실
입문자교실
중급자교실
낚시용어사전
중고장터
중고장터 이용후기
더치트 사기피해 검색
팝니다
삽니다
교환합시다
무료로 드립니다
부품팝니다
부품삽니다
일반 생활용품 사고 팔기
휴게실
출석부
낚시갤러리
세상사는 이야기(자유게시판)
낚시이야기 마당
먹고사는 이야기
구인구직
칭찬합니다
어째이런일이
습득물 찾기
인낚도서관
인낚 유튜브
인낚 칼럼
블루, 그것이 알고싶다
더블테일의 두 눈으로 보는 세상
입질의추억의 피싱다이어리
나無의 바다 이야기
전문강좌
海巖의 바다낚시 이야기
이성규의 전유동낚시 강좌
조성민의 금요루어클럽
메인
어종별선상
어종별갯바위
낚시인조황
점주선장조황
출조정보
낚시광장
낚시지식인
낚시교실
중고장터
휴게실
인낚도서관
인낚몰
0
전국 실시간 조황
선상(배)+좌대 조황
갯바위+방파제 조황
점주선장전용 공지사항
지난 조황자료보기(년도별 조황 자료)
점주/선장 > 가장 빠른!!
실시간 조황
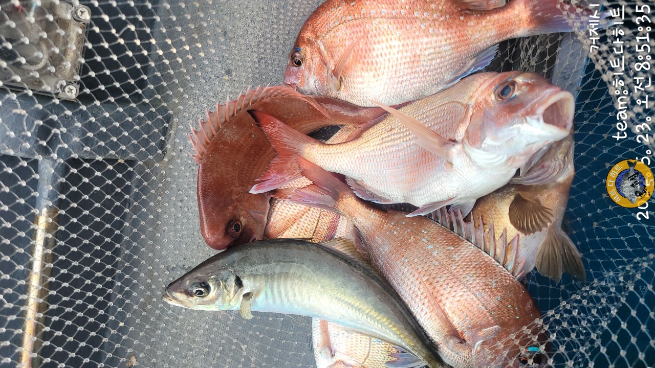
히트다히트 《흘림참돔 》마릿수 실시간~
히트다HIT
거제
0
239
2022.05.23 08:55
네임
카드
팀히트다히트1호더히트호
실시간 예약
홈페이지
밴드 바로가기
유튜브/SNS
#히트다히트 #흘림참돔
굵은녀석 2방 보내고 중치급 마릿수 채우는 중입니다~
보너스로 대전갱이/왕사미~
히트다히트 실시간입니다.
김선장 010-4165-5368
*내일 예약가능합니다.
0
좋은 글이라고 생각되시면 "추천(좋아요)"을 눌러주세요!
게시물 신고
목록
0
댓글
로그인한 회원만 댓글 등록이 가능합니다.
×
Image Upload
로그인한 회원만 등록가능합니다.
목록
번호
포토
제목
이름
날짜
22650
실시간죽입니다 왕씨알들 열기 낼 모래 계속
통영흥부낚시
39
02.21
통영흥부낚시
02.21
22649
열기, 볼락 실시간 줄을 탑니다.
체리피쉬호
39
02.21
체리피쉬호
02.21
22648
감성돔 흘림 실시간 내일 자리 여유 예약 가능 합니다.
삼천천포백호피싱
37
02.21
삼천천포백호피싱
02.21
22647
21일 감성돔 선장 혼자 낼도 출동합니다~^
진우호선장
56
02.21
진우호선장
02.21
22646
토요일 가자미 출항합니다
고고씽호
29
02.21
고고씽호
02.21
22645
참돔 25일부터출항 다음주 기상 좋습니다
여수킹몬스터피싱
51
02.21
여수킹몬스터피싱
02.21
22644
감성돔 현재 4짜4짜외
거제인성낚시
58
02.21
거제인성낚시
02.21
22643
(유담호)21일 참돔타이라바 실시간조황
통영유담피싱
38
02.21
통영유담피싱
02.21
22642
1
감성돔(랜딩영상)강풍속 4짜外6짜 대물 참돔 손맛~야호…
1
거제야호
76
02.21
거제야호
02.21
22641
감성돔 흘림 실시간 주말 자리 여유 예약 가능 합니다.
삼천천포백호피싱
40
02.21
삼천천포백호피싱
02.21
초기화
날짜순
조회순
검색
816
817
818
819
820
Search
검색대상
제목
내용
제목+내용
회원아이디
회원아이디(코)
글쓴이
글쓴이(코)
또는
그리고
검색어
필수
검색
닫기
인낚몰 초특가
★3,000★ 하야부사 6단 볼락 전갱이 카드채비 SD724 볼락채비
★1,000★볼락낚시에 최적인 메바트로볼 - 캐스팅볼, 메바볼
★13,000~★3NO 일본 오리지날 직수입 극강 멀티 무광 마크사 원줄
★500★ W쿠션 멀티 수중찌 M L - 전유동 반유동 끄심바리 필수품 수중쿠션
★5,900★ 여러개 있으면 아주 좋은 EVA 시스템 백
★ 1+1 플로팅, 세미, 카본 낚시줄 행사 호수선택가능 / 택상 1+1 원줄, 목줄 행사
★6,000★ 예민함의 끝판왕 애니원찌 벵에돔찌 학공치찌
★15,000★ 오동목 구멍찌 5개 + 메쉬 찌케이스 세트
★22만원★ 40W 집어등을 이 가격에!
★5,000★ 전층쿠션 15세트입 S / L 사이즈
★2,000★ 전층쿠션 5세트입 S / L 사이즈
★10,000 미니집어등5개 + 425배터리 1개 + 스토퍼고무 10개