《감성돔》5짜4짜들외 마릿수 진행중~
12월 31일(수)
인낚 현재접속자
3,232명 (
275
)
공지사항
인낚도서관
점주선장전용 공지사항
로그인
광고/제휴 문의
운영진에게
인낚ㅣ인터넷바다낚시
0
어종별선상
어종별갯바위
낚시인조황
점주선장조황
출조정보
낚시광장
낚시지식인
낚시교실
중고장터
휴게실
인낚도서관
인낚몰
0
어종별선상
어종별 선상조황
4대돔 조황
먹물 조황
갈치 조황
볼락&전갱이
빅게임 지깅&파핑
외줄&외수질
기타 어종
어종별 갯바위조황
4대돔 조황
먹물 조황
갈치 조황
볼락&전갱이
농어&삼치&방어&부시리
기타 어종
어종별갯바위
어종별 선상조황
4대돔 조황
먹물 조황
갈치 조황
볼락&전갱이
빅게임 지깅&파핑
외줄&외수질
기타 어종
어종별 갯바위조황
4대돔 조황
먹물 조황
갈치 조황
볼락&전갱이
농어&삼치&방어&부시리
기타 어종
낚시인조황
낚시인 번개조황
낚시인조행기
스탭조행기
우리낚시동호회이야기
전국낚시동호회소개
동호회갤러리
지난 조황자료보기(년도별 조황 자료)
점주선장조황
전국 실시간 조황
선상(배)+좌대 조황
갯바위+방파제 조황
점주선장전용 공지사항
지난 조황자료보기(년도별 조황 자료)
출조정보
낚시인동행출조
점주선장 갯바위 출조
점주선장 선상출조
기상파고정보(기상청)
해상예보
물때표
파고예보(일본)
실시간해양관측예보
스마트조석예보
낚시광장
낚시계뉴스
대회 및 낚시관련 홍보
제품평가단
신상품소개
낚시지식인
Q&A 묻고 답하기
지식인 베스트
조황/포인트 문의
낚시용품 사용기
낚시투표
토론방
新어류도감
낚시교실
낚시기법소개
어종별 낚시교실
입문자교실
중급자교실
낚시용어사전
중고장터
중고장터 이용후기
더치트 사기피해 검색
팝니다
삽니다
교환합시다
무료로 드립니다
부품팝니다
부품삽니다
일반 생활용품 사고 팔기
휴게실
출석부
낚시갤러리
세상사는 이야기(자유게시판)
낚시이야기 마당
먹고사는 이야기
구인구직
칭찬합니다
어째이런일이
습득물 찾기
인낚도서관
인낚 유튜브
인낚 칼럼
블루, 그것이 알고싶다
더블테일의 두 눈으로 보는 세상
입질의추억의 피싱다이어리
나無의 바다 이야기
전문강좌
海巖의 바다낚시 이야기
이성규의 전유동낚시 강좌
조성민의 금요루어클럽
메인
어종별선상
어종별갯바위
낚시인조황
점주선장조황
출조정보
낚시광장
낚시지식인
낚시교실
중고장터
휴게실
인낚도서관
인낚몰
0
전국 실시간 조황
선상(배)+좌대 조황
갯바위+방파제 조황
점주선장전용 공지사항
지난 조황자료보기(년도별 조황 자료)
점주/선장 > 가장 빠른!!
실시간 조황
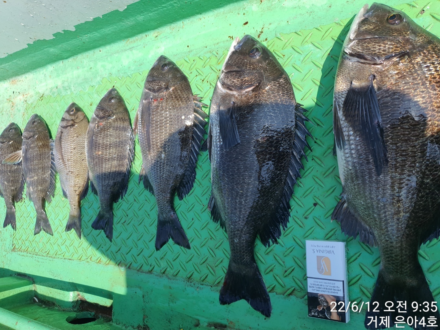
《감성돔》5짜4짜들외 마릿수 진행중~
거제은아4호
거제
1
227
2022.06.12 10:27
네임
카드
거제여명호
거제시 거제면 서정리 773-14
010-3847-2249
실시간 예약
홈페이지
밴드 바로가기
유튜브/SNS
《감성돔》사이즈 좋은 놈들이 퍽 퍽~달려들고 있습니다.
대물들은 어마무시한 파워로 팅 팅~
남은 시간 집중해 보겠습니다.
★찾아오시는길★
주소 : 거제시 거제면 법동리 536-24(법동휴게소)
거제시 거제면 법동리 626-6
★★★신분증 꼭 지참해주세요★★★
☎예약문의☎
예약전화 : 010-6292-7634
문의전화 : 010-9084-7634
☆은아펜션 운영합니다.☆
거제시 거제면 거제남서로 4234
거제시 거제면 법동리 664-1
0
좋은 글이라고 생각되시면 "추천(좋아요)"을 눌러주세요!
게시물 신고
목록
1
댓글
거제은아4호
22-06-12 10:27
0
내일 감성돔 예약 가능합니다
내일 감성돔 예약 가능합니다
댓글 설정
댓글 신고
로그인한 회원만 댓글 등록이 가능합니다.
×
Image Upload
로그인한 회원만 등록가능합니다.
목록
번호
포토
제목
이름
날짜
22849
1
《감성돔》4짜4짜외 마릿수 진행중~
1
거제은아2호
49
03.05
거제은아2호
03.05
22848
실시간감성돔 4짜 굵직합니다 내일 출조 예약가능합니다
거제용진호
45
03.05
거제용진호
03.05
22847
감성돔 현재 4짜4짜4짜외
거제인성낚시
78
03.05
거제인성낚시
03.05
22846
1
감성돔(실시간)4짜 4짜 4짜 4짜 4짜 외 대물들 팅…
1
거제대어낚시선외기
73
03.05
거제대어낚시선외기
03.05
22845
1
감성돔(실시간 동영상)5짜급 외 48 46 43 40 …
1
거제젠틀호
77
03.05
거제젠틀호
03.05
22844
여수 퍼펙트호 전국최고 참돔 명소 백도권 참돔 타이라바…
퍼펙트호
66
03.05
퍼펙트호
03.05
22843
이번주 낮볼락출조안내!!! 황금물때 진한손맛보장ㅡ주말…
여수추적자호
106
03.04
여수추적자호
03.04
22842
참돔 씨알과 마릿수 조황 6짜.5짜.4짜 등 총 120…
여수백호피싱
87
03.04
여수백호피싱
03.04
22841
참돔 출항 금.토 자리여유
여수킹몬스터피싱
61
03.04
여수킹몬스터피싱
03.04
22840
여수블랙펄호///심해갑오징어 평일선비인하(10만원)출항…
블랙펄호
88
03.04
블랙펄호
03.04
초기화
날짜순
조회순
검색
811
812
813
814
815
Search
검색대상
제목
내용
제목+내용
회원아이디
회원아이디(코)
글쓴이
글쓴이(코)
또는
그리고
검색어
필수
검색
닫기
인낚몰 초특가
★3,000★ 하야부사 6단 볼락 전갱이 카드채비 SD724 볼락채비
★1,000★볼락낚시에 최적인 메바트로볼 - 캐스팅볼, 메바볼
★13,000~★3NO 일본 오리지날 직수입 극강 멀티 무광 마크사 원줄
★500★ W쿠션 멀티 수중찌 M L - 전유동 반유동 끄심바리 필수품 수중쿠션
★5,900★ 여러개 있으면 아주 좋은 EVA 시스템 백
★ 1+1 플로팅, 세미, 카본 낚시줄 행사 호수선택가능 / 택상 1+1 원줄, 목줄 행사
★6,000★ 예민함의 끝판왕 애니원찌 벵에돔찌 학공치찌
★15,000★ 오동목 구멍찌 5개 + 메쉬 찌케이스 세트
★22만원★ 40W 집어등을 이 가격에!
★5,000★ 전층쿠션 15세트입 S / L 사이즈
★2,000★ 전층쿠션 5세트입 S / L 사이즈
★10,000 미니집어등5개 + 425배터리 1개 + 스토퍼고무 10개