《감성돔》4짜까지 마릿수 진행중~
인낚ㅣ인터넷바다낚시
어종별선상
어종별갯바위
낚시인조황
점주선장조황
출조정보
낚시광장
낚시지식인
낚시교실
중고장터
휴게실
인낚도서관
인낚몰
0
홈
어종별선상
어종별갯바위
낚시인조황
점주선장조황
출조정보
낚시광장
낚시지식인
낚시교실
중고장터
휴게실
인낚도서관
인낚몰
어종별선상
어종별갯바위
낚시인조황
점주선장조황
출조정보
낚시광장
낚시지식인
낚시교실
중고장터
휴게실
인낚도서관
인낚몰
어종별선상
어종별 선상조황
4대돔 조황
먹물 조황
갈치 조황
볼락&전갱이
빅게임 지깅&파핑
외줄&외수질
기타 어종
어종별 갯바위조황
4대돔 조황
먹물 조황
갈치 조황
볼락&전갱이
농어&삼치&방어&부시리
기타 어종
어종별갯바위
어종별 선상조황
4대돔 조황
먹물 조황
갈치 조황
볼락&전갱이
빅게임 지깅&파핑
외줄&외수질
기타 어종
어종별 갯바위조황
4대돔 조황
먹물 조황
갈치 조황
볼락&전갱이
농어&삼치&방어&부시리
기타 어종
낚시인조황
낚시인 번개조황
낚시인조행기
스탭조행기
우리낚시동호회이야기
전국낚시동호회소개
동호회갤러리
지난 조황자료보기(년도별 조황 자료)
점주선장조황
전국 실시간 조황
선상(배)+좌대 조황
갯바위+방파제 조황
점주선장전용 공지사항
지난 조황자료보기(년도별 조황 자료)
출조정보
낚시인동행출조
점주선장 갯바위 출조
점주선장 선상출조
기상파고정보(기상청)
해상예보
물때표
파고예보(일본)
실시간해양관측예보
스마트조석예보
낚시광장
낚시계뉴스
대회 및 낚시관련 홍보
제품평가단
신상품소개
낚시지식인
Q&A 묻고 답하기
지식인 베스트
조황/포인트 문의
낚시용품 사용기
낚시투표
토론방
新어류도감
낚시교실
낚시기법소개
어종별 낚시교실
입문자교실
중급자교실
낚시용어사전
중고장터
중고장터 이용후기
더치트 사기피해 검색
팝니다
삽니다
교환합시다
무료로 드립니다
부품팝니다
부품삽니다
일반 생활용품 사고 팔기
휴게실
출석부
낚시갤러리
세상사는 이야기(자유게시판)
낚시이야기 마당
먹고사는 이야기
구인구직
칭찬합니다
어째이런일이
습득물 찾기
인낚도서관
인낚 유튜브
인낚 칼럼
블루, 그것이 알고싶다
더블테일의 두 눈으로 보는 세상
입질의추억의 피싱다이어리
나無의 바다 이야기
전문강좌
海巖의 바다낚시 이야기
이성규의 전유동낚시 강좌
조성민의 금요루어클럽
인낚몰
홈소개
공지사항
자주 묻는 질문
운영진에게
광고/제휴문의
로그인
자동로그인
회원가입
|
정보찾기
점주선장조황
전국 실시간 조황
선상(배)+좌대 조황
갯바위+방파제 조황
점주선장전용 공지사항
지난 조황자료보기(년도별 조황 자료)
신상품 소개
긱스 나노에이스
낚시고 미장구레 VIP 대본류 벵에돔 파우더
낚시고 위력 벵에돔 파우더
천류 카모 피싱백
천류 레자 피싱백
zzis 찌스 전자기울찌 호리존탈 전유동전용 출시!
회원 랭킹
48
1
목줄은내꺼
26
2
마루미르
21
3
잡어바글바글
19
4
긴꼬리벵에돔55
16
5
앵그리정
14
6
감시밥줄
12
7
리치망고제주
11
8
카데바
11
9
최리무진
10
10
김갈치
10
11
포항대박이
10
12
오또다
9
13
4계절벵에
9
14
신용대
9
15
상석바위
9
16
배팡
9
17
푸푸헐
9
18
모카사랑해
9
19
수려한
9
20
아나구릉
9
21
페드로
8
22
레이아빠
8
23
시작하는채비와장비
8
24
숲공
8
25
부시리우스2022
8
26
진해숭어
8
27
타짜감시
8
28
사냥꾼끝판대장
8
29
큰아범
8
30
감성사자
8
31
닉초이
8
32
PROKILLER
7
33
백곰
7
34
한국밑밥연맹
7
35
구을비도
7
36
거제그놈
7
37
오사마리
7
38
6짜긴꼬리
7
39
화니이123
7
40
김열정
7
41
짱규
7
42
헤리티지
6
43
안녕감시야
6
44
아티스트rla
6
45
쌩기똥기
6
46
검은바다
6
47
망상어전문
6
48
군산감생킬러
6
49
플레져
6
50
바다낚시꾼의꿈
6
51
새벽물때
6
52
무릅고배이
6
53
번영
6
54
경남미디어
6
55
울트
6
56
촌놈남해
6
57
도선사
6
58
쌍칼라
5
59
메론좋아
5
60
복사초등대
5
61
심통구리
5
62
큰달메
5
63
남해동부물공
5
64
센바주루
5
65
민쓰
5
66
낚시김
5
67
흙운
5
68
지누50
5
69
흑푸
5
70
가마인
5
71
벵병
5
72
Vora
5
73
dudtnr
5
74
시그니처latte
5
75
싼도야
5
76
정품긴꼬리감시
5
77
나무사랑쫑
5
78
부남대여tv
5
79
윈드스토퍼
5
80
삼정그린토아
5
81
벵창
5
82
히히히히히홀
5
83
불꽃버디
5
84
love
5
85
마산긴꼬리
5
86
4짜망둥어
5
87
여조사
5
88
부산낚시터
5
89
노화도에산다
5
90
헛탕만
5
91
볼카짱짱짱
5
92
압맥69봉지
5
93
emfjaj
5
94
원투꾼89
4
95
상인동대물
4
96
동전주
4
97
김pd
4
98
삼천포깔따구
4
99
어디로가지
4
100
적보신화
공지사항
09.01
★ 2025년 9월 5일 사이트 리뉴얼 오픈 안내
06.09
★ "Connect Error: No such file or directory" 에러가 발생시
05.29
★ 카이퍼넷 방화벽 차단시 설정방법
07.03
★ 사이트 정상운영 ★ 24.07.03
06.19
★ 사이트 정상운영 ★ 24.06.19
06.17
★ 사이트 정상운영 ★
06.14
★ 서비스 일시정지 - 서버이전작업 ★
07.14
★ 112차 제품평가단 위촉 명단 발표
07.07
★ 112차 제품평가단모집 - 1차
11.01
★ 111차 제품평가단 위촉 명단 발표
점주/선장 > 가장 빠른!!
실시간 조황
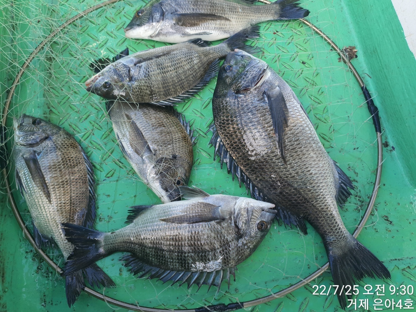
《감성돔》4짜까지 마릿수 진행중~
거제은아4호
거제
1
143
2022.07.25 10:35
네임
카드
거제여명호
거제시 거제면 서정리 773-14
010-3847-2249
실시간 예약
홈페이지
밴드 바로가기
유튜브/SNS
《감성돔》감성돔들이 달려들고 있습니다.
파워가 엄청 나네요.
남은 시간 즐겨보겠습니다.
★찾아오시는길★
주소 : 거제시 거제면 법동리 536-24(법동휴게소)
거제시 거제면 법동리 626-6
★★★신분증 꼭 지참해주세요★★★
☎예약문의☎
예약전화 : 010-6292-7634
문의전화 : 010-9084-7634
☆은아펜션 운영합니다.☆
거제시 거제면 거제남서로 4234
거제시 거제면 법동리 664-1
0
좋은 글이라고 생각되시면 "추천(좋아요)"을 눌러주세요!
게시물 신고
목록
1
댓글
거제은아4호
22-07-25 10:35
0
내일 감성돔 참돔 예약 가능합니다
내일 감성돔 참돔 예약 가능합니다
댓글 설정
댓글 신고
로그인한 회원만 댓글 등록이 가능합니다.
×
Image Upload
로그인한 회원만 등록가능합니다.
목록
번호
포토
제목
이름
날짜
7140
통영 서하호》드디어 야간반에서 키로 오바 당첨!! 키로 오바, …
서하피싱
128
2022.07.26
서하피싱
2022.07.26
7139
삼천포 백호 돌문어 실시간~주중 주말 자리여유 예약 가능 합니다…
삼천포진프로피싱
156
2022.07.26
삼천포진프로피싱
2022.07.26
7138
씨알급 돌문어 실시간
탈레스호
125
2022.07.26
탈레스호
2022.07.26
7137
돌문어 실시간 조항 (목.금.토.일 개인출조가능)
만물1호
124
2022.07.26
만물1호
2022.07.26
7136
1
통영 송현호)) 실시간 문어 따박 따박 올립니다
1
통영송현피싱
111
2022.07.26
통영송현피싱
2022.07.26
7135
7/26. 굿. 실시간. 대광어. 입질. 활발. 내일. 정상출조…
군산대한낚시
64
2022.07.26
군산대한낚시
2022.07.26
7134
1
《참돔흘림》마릿수로 달려들고 있습니다.
1
거제은아2호
285
2022.07.26
거제은아2호
2022.07.26
7133
통영 스피드)최고의섬 한산도 용초도.비진도 문어 제법 달라든다 …
통영스피드낚시
191
2022.07.26
통영스피드낚시
2022.07.26
7132
(로드변여사)문어,9시~피딩타임!!,100여수통과,1등 11수^…
로드피싱
168
2022.07.26
로드피싱
2022.07.26
7131
1
(감성돔) 실시간 내만권 30전후 마리수중
1
거제대어낚시1호
158
2022.07.26
거제대어낚시1호
2022.07.26
7130
통영넘버원호 사량도 돌문어 많아요~
통영넘버원호
108
2022.07.26
통영넘버원호
2022.07.26
7129
1
문어밭 (쏟아집니다)~제대로 나옵니다~고고피싱호(실시간) 예약가…
1
고고피싱호
141
2022.07.26
고고피싱호
2022.07.26
7128
1
문어(실시간) 엄청납니다~덩치가 후덜덜~락피싱호 조황(27일 예…
1
통영락피싱
133
2022.07.26
통영락피싱
2022.07.26
7127
《통영 공룡호》원도권 돌문어 실시간 키로급,700,800들 올라…
공룡낚시
104
2022.07.26
공룡낚시
2022.07.26
7126
1
실시간 돌문어 (키로급들 마구~~~) 대동낚시 핫조황 (27일 …
1
거제대동낚시
126
2022.07.26
거제대동낚시
2022.07.26
7125
가자낚시 가자호 화요일 돌문어 쩍쩍 올라옵니다.
통영가자낚시가자호
55
2022.07.26
통영가자낚시가자호
2022.07.26
7124
삼천포 태성호 돌문어조황입니다.
태성호선장
206
2022.07.25
태성호선장
2022.07.25
7123
삼천포 태성호 돌문어 조황입니다.~^^
태성호선장
173
2022.07.25
태성호선장
2022.07.25
7122
통영 도시어부호 사량도돌문어 오후낚시 내일도 갑니다 예약가능
통영도시어부
133
2022.07.25
통영도시어부
2022.07.25
7121
삼천포 백호 돌문어 실시간 조황~주중 주말 예약 가능 합니다^^
삼천포진프로피싱
130
2022.07.25
삼천포진프로피싱
2022.07.25
7120
통영 송현호)) 묵직한 문어들 실시간 힛트 !
통영송현피싱
94
2022.07.25
통영송현피싱
2022.07.25
7119
@25일.광어실시간조황@군산샤크호@내일자리여유
군산프로피싱1
87
2022.07.25
군산프로피싱1
2022.07.25
7118
무늬오징어 시즌이 왔네요
도리스피싱
264
2022.07.25
도리스피싱
2022.07.25
7117
"참돔 부시리" 현재
거제인성낚시
159
2022.07.25
거제인성낚시
2022.07.25
7116
광어. 맛집. 농어.어름돔. 생미끼. 뉴발리호. 내일. 여유자리…
군산대한낚시
62
2022.07.25
군산대한낚시
2022.07.25
7115
박프로호 원도권 돌문어 빅싸이즈 굿 !
통영박프로호
114
2022.07.25
통영박프로호
2022.07.25
열람중
1
《감성돔》4짜까지 마릿수 진행중~
1
거제은아4호
144
2022.07.25
거제은아4호
2022.07.25
7113
《참돔흘림》실시간/씨알급참돔&부시리 사정없이 원줄을 가져갑니다
람보피싱3호
136
2022.07.25
람보피싱3호
2022.07.25
7112
《참돔흘림》실시간/씨알급참돔들이 사정없이 원줄을 가져갑니다
람보피싱2호
121
2022.07.25
람보피싱2호
2022.07.25
7111
통영 대양호)원도권 돌문어 실시간 입니다 !
통영대양호국치마을
88
2022.07.25
통영대양호국치마을
2022.07.25
초기화
날짜순
조회순
검색
791
792
793
794
795
796
797
798
799
800
Search
검색대상
제목
내용
제목+내용
회원아이디
회원아이디(코)
글쓴이
글쓴이(코)
또는
그리고
검색어
필수
검색
닫기
인낚 최신글
15:31
모짜르트 제임스T530
15:30
24일<야간낙지>&<주간쭈꾸미>금,토,일 예약가능
15:28
내일밤 출발 및 주말 출조버스 운행안내
15:28
감성돔 거제인성낚시
15:28
진해뉴스타)주렁주렁~~!!붉은 열기는 줄타고(내일 금요일부터 출항 예약가능
15:27
안골) 감성돔 흘림 빅사이즈 마릿수 최신 굳조황 - 토욜출조 예약가능
15:24
(은별호) 감성돔 출조합니다
15:24
(은별호) 감성돔 출조합니다
15:23
(감성돔)떼고기 진입~대박 행진~4짜 3짜 마릿수 대양호(26일 예약)
15:21
(호래기)올해는 대풍년~거제권 마릿수 행진~대동낚시(26일 예약 中)
15:20
[알주꾸미]많이~잘~잡고왔습니다!!내일자리여유~금/월/화쭉예약가능합니다!!
15:17
왕알주꾸미" 내일출조 확정 /빅이벤트중 5만원
15:16
(감성돔)자연어초 4방 터지고 5짜 외 4짜 초중반 HIT~베이호(27일 예약)
15:16
척포[제일호] 바람통~덩치 4짜 중반으로~~~
15:15
마모2 미장 m50
15:15
((밤뽈락외줄))간밤 어초.자연초 신짝왕뽈 왕열기 내일 금ㆍ토ㆍ일(예약가능자리완전텅텅
15:10
24일 왕알쭈꾸미 (선비5만)시즌 빅2 EVENT~26일 금욜(출조확정)7자리 예약가능
15:10
5짜맛집~53.50.49.46.46.45.44.44.44.42.40.40.40
15:09
흘림감성돔 크리스마스선물 토요일예약가능합니다
15:09
(원도권)망탱이 조황~大문어 집중 공략~고고피싱호(26일 예약)
15:08
가마가츠 마스터모델2 구태m50. 초릿대판매
15:05
(풍산)돌문어~2kg~1.8kg~마릿수 대박~(예약가능합니다)
15:03
돌찌 소품 판매합니다
15:02
기상좋은 토요일부터 먼바다왕오징어 출조합니다
15:01
주경일 에게 사기당했어요
15:00
감성돔(카고)ㅡ5짜.4짜후반.중반급으로 마릿수로 손맛 굿굿(예약가능)
14:54
*퍼스트호/No.1호 30일(화)~12월31일(수) 추자도 출항합니다*
14:50
(문어)주야간 K오버 소식~중량급들 퍽 퍽~현서피싱(26일 예약)
14:50
토요일 일요일 원도권주간문어 예약가능~ 대물잡으러 오세요~
14:49
24테크늄 우핸 슛터 급구합니다
14:49
쯔리무사 구명복 LL 삽니다
14:49
쯔리겐 고부력찌 전부다 29개 팝니다
14:49
(문어)초대박 3K 2.7K 1.8K 外 오버 16수 타작~락피싱(26일 예약)
14:47
(문어)2.9K 기록~원도권 대물 문어 시즌 진행~홍부장피싱(주야간 예약)
14:46
감성돔흘림 54,50,47,43...등등등..등등등..토,일요일예약가능자리여유
14:46
선비 5만원.낮에는 쭈꾸미 밤에는 롱다리 낙지랑 놀러갑니다.
14:45
선비 5만원.낮에는 쭈꾸미 밤에는 롱다리 낙지랑 놀러갑니다.
14:44
쯔리겐 저부력찌 424 듀엘찌 팝니다
14:44
가마가츠 마스터모델 뜰채 530(구형) 판매
14:44
(감성돔)4짜 전후 어초여밭 전원 손맛~3대호(27일 예약)
14:44
감성돔흘림4짜4짜4짜조황(토요일예약가능)
14:42
쯔리겐 저부력찌 팝니다
14:42
야간낙지.사이즈 마리수 대박
14:41
선라인 낚시복SUW-23901 LL사이즈 팝니다.
14:40
기자쿠라 및 쯔리겐 저부력찌 팝니다
14:40
내일 사량도로 감성돔흘림 달립니다 예약중입니다
14:40
내일 사량도로 감성돔흘림 달립니다 예약중입니다
14:40
감시흘림 54,50,47,43....내일까지 휴항..내일예약가능자리여유
14:39
다이와 저부력찌및 쯔리겐 저부력찌 팝니다
14:37
감성돔흘림4짜4짜4짜4짜조황(토요일예약가능)
인낚 최신댓글
14:21
셋중에서 저는 무조건 3번 갑니다.
14:14
28일(일) 널널합니다^_^
13:49
감사합니다 메리크리스마스 되시길^^
12:51
저도 1-53 으로 사고싶긴 하나 1.5호대를 좋은가격으로 분양받을수있는 기회가 생겨서요 내만용 1호대 따로…
12:03
경질성향을 찾으시는데 나열하신 낚시대들은 중경질성향이시네요 경질이라면 그랜드마스터2 1.25 가 더 적합하실…
11:36
경질은 아니지만 저라면 베이시스 1.2 480 가겠습니다 사용중인데.. 바란스 무게감 좋구여 46도 그냥 올…
11:25
1-53사용중이고 1.2-53 1.5-50사용했습니다. 조작성을 살린 경질 선조자 낚시대입니다. 1.5-53…
09:54
27일(토) 주간열기낚시 예약가능합니다. 06시까지 오시면 자리추첨후 출조합니다.
09:45
1.25 50으로 주문했습니다 다음에 1.5호나 1.75호로 기추 할 계획이에요 답변 감사드립니다 해피크리스…
09:18
27일 토요일 ㅡ2분예약가능 합니다
06:49
순 ... 는 도장 게짐 발생 수리비 4000원 달로 하든되 미사용 보관 품인되 한두개도 아니고...
06:46
쿠팡 부터 먼저 도배 하는되.ㅠㅠ
04:32
줄 어디껀가요?
12.24
이번에 확실히 느꼈습니다ㅜ 답변 감사합니다
12.24
구독자로서 함 사봤는데 아쉽네요ㅜㅜ답변 감사합니다
12.24
답변 감사합니다! 3중 코팅이라고 표기 되어 있어요! 기스방지를 위한 코팅일수도 있겠네요 제 기준 카본목줄 …
12.24
어텐더3는 1-50 1.25-50사용중인데요. 모멘트차이로봤을때 호수만큼의 무게차이는 정확히 나타날꺼같네요.…
12.24
원사를 직접생산하는 브랜드사용하는것이 가격도 경제적이고 정신건강도 좋다생각합니다.^^ 투명도가 영... 별루…
12.24
12.24
카본하고는 무관하고요 원액이 필라멘트입니다.. 단일 소재의 약점이 극과 극으로 가는데요.. 예 비닐봉지 원판…
12.24
도미감님 안녕하세요 답변 감사드립니다 위 내용에 필라멘트사 원액이 카본사 이며 그 필라멘트사를 가늘게 엮으면…
12.24
일본 원사공장에 주문해서 가격올려서 파는 것들이 대부분이라 유투버 이름달고 나오는거는 저는 무조건 거릅니다.…
12.24
필리멘트사 원액 투명하게 나옵니다 나일론 사 필라멘트사를 가늘게 가닥가닥 엮어서 나오는게 나일론 사입니다 목…
12.24
12.24
12.24
12.24
12.24
12.24
12.24
12.24
12.24
12.24
12.24
12.24
12.24
12.24
12.24
12.24
12.24
12.24
27일 토요일 원도권 돌문어낚시 예약 가능합니다. 감사합니다.
12.24
26일 내일 통영 원도권 돌문어낚시 주간 예약가능합니다. 감사합니다
12.24
린카이도 고민해보겠습니다~
12.24
인해 1호대인데 160g이라는 무게가 너무 좋아서 인해로 가야겠습니다ㅎ
12.24
목.금.토.일 예약완료 되었습니다 감사합니다
12.24
24일 ㆍ25일 ㆍ26일 ㅡ기상악화로 휴무 27일 토요일 ㅡ예약가능 28일 일요일 ㅡ예약가능 이후 ㅡ예약가능…
12.24
12.24
12.24
12.24
온라인 문의 안내
*운영진에게 문의
*광고/제휴 문의
월~금 : 9:00 ~ 18:00
토/일/공휴일 휴무
점심시간 : 12:00 ~ 13:00
인낚몰 초특가
★3,000★ 하야부사 6단 볼락 전갱이 카드채비 SD724 볼락채비
★1,000★볼락낚시에 최적인 메바트로볼 - 캐스팅볼, 메바볼
★13,000~★3NO 일본 오리지날 직수입 극강 멀티 무광 마크사 원줄
★500★ W쿠션 멀티 수중찌 M L - 전유동 반유동 끄심바리 필수품 수중쿠션
★5,900★ 여러개 있으면 아주 좋은 EVA 시스템 백
★ 1+1 플로팅, 세미, 카본 낚시줄 행사 호수선택가능 / 택상 1+1 원줄, 목줄 행사
★6,000★ 예민함의 끝판왕 애니원찌 벵에돔찌 학공치찌
★15,000★ 오동목 구멍찌 5개 + 메쉬 찌케이스 세트
★22만원★ 40W 집어등을 이 가격에!
★5,000★ 전층쿠션 15세트입 S / L 사이즈
★2,000★ 전층쿠션 5세트입 S / L 사이즈
★10,000 미니집어등5개 + 425배터리 1개 + 스토퍼고무 10개