히트다히트 《흘림참돔 》호로로록 ~마릿수 좋습니다.
인낚ㅣ인터넷바다낚시
어종별선상
어종별갯바위
낚시인조황
점주선장조황
출조정보
낚시광장
낚시지식인
낚시교실
중고장터
휴게실
인낚도서관
인낚몰
0
홈
어종별선상
어종별갯바위
낚시인조황
점주선장조황
출조정보
낚시광장
낚시지식인
낚시교실
중고장터
휴게실
인낚도서관
인낚몰
어종별선상
어종별갯바위
낚시인조황
점주선장조황
출조정보
낚시광장
낚시지식인
낚시교실
중고장터
휴게실
인낚도서관
인낚몰
어종별선상
어종별 선상조황
4대돔 조황
먹물 조황
갈치 조황
볼락&전갱이
빅게임 지깅&파핑
외줄&외수질
기타 어종
어종별 갯바위조황
4대돔 조황
먹물 조황
갈치 조황
볼락&전갱이
농어&삼치&방어&부시리
기타 어종
어종별갯바위
어종별 선상조황
4대돔 조황
먹물 조황
갈치 조황
볼락&전갱이
빅게임 지깅&파핑
외줄&외수질
기타 어종
어종별 갯바위조황
4대돔 조황
먹물 조황
갈치 조황
볼락&전갱이
농어&삼치&방어&부시리
기타 어종
낚시인조황
낚시인 번개조황
낚시인조행기
스탭조행기
우리낚시동호회이야기
전국낚시동호회소개
동호회갤러리
지난 조황자료보기(년도별 조황 자료)
점주선장조황
전국 실시간 조황
선상(배)+좌대 조황
갯바위+방파제 조황
점주선장전용 공지사항
지난 조황자료보기(년도별 조황 자료)
출조정보
낚시인동행출조
점주선장 갯바위 출조
점주선장 선상출조
기상파고정보(기상청)
해상예보
물때표
파고예보(일본)
실시간해양관측예보
스마트조석예보
낚시광장
낚시계뉴스
대회 및 낚시관련 홍보
제품평가단
신상품소개
낚시지식인
Q&A 묻고 답하기
지식인 베스트
조황/포인트 문의
낚시용품 사용기
낚시투표
토론방
新어류도감
낚시교실
낚시기법소개
어종별 낚시교실
입문자교실
중급자교실
낚시용어사전
중고장터
중고장터 이용후기
더치트 사기피해 검색
팝니다
삽니다
교환합시다
무료로 드립니다
부품팝니다
부품삽니다
일반 생활용품 사고 팔기
휴게실
출석부
낚시갤러리
세상사는 이야기(자유게시판)
낚시이야기 마당
먹고사는 이야기
구인구직
칭찬합니다
어째이런일이
습득물 찾기
인낚도서관
인낚 유튜브
인낚 칼럼
블루, 그것이 알고싶다
더블테일의 두 눈으로 보는 세상
입질의추억의 피싱다이어리
나無의 바다 이야기
전문강좌
海巖의 바다낚시 이야기
이성규의 전유동낚시 강좌
조성민의 금요루어클럽
인낚몰
홈소개
공지사항
자주 묻는 질문
운영진에게
광고/제휴문의
로그인
자동로그인
회원가입
|
정보찾기
점주선장조황
전국 실시간 조황
선상(배)+좌대 조황
갯바위+방파제 조황
점주선장전용 공지사항
지난 조황자료보기(년도별 조황 자료)
신상품 소개
긱스 나노에이스
낚시고 미장구레 VIP 대본류 벵에돔 파우더
낚시고 위력 벵에돔 파우더
천류 카모 피싱백
천류 레자 피싱백
zzis 찌스 전자기울찌 호리존탈 전유동전용 출시!
회원 랭킹
48
1
목줄은내꺼
27
2
마루미르
21
3
잡어바글바글
19
4
긴꼬리벵에돔55
16
5
앵그리정
14
6
감시밥줄
11
7
리치망고제주
11
8
카데바
11
9
최리무진
10
10
오또다
10
11
포항대박이
10
12
김갈치
9
13
모카사랑해
9
14
페드로
9
15
4계절벵에
9
16
수려한
9
17
배팡
9
18
푸푸헐
9
19
신용대
9
20
상석바위
8
21
레이아빠
8
22
아나구릉
8
23
시작하는채비와장비
8
24
닉초이
8
25
숲공
8
26
PROKILLER
8
27
진해숭어
8
28
타짜감시
8
29
사냥꾼끝판대장
8
30
큰아범
8
31
감성사자
7
32
헤리티지
7
33
화니이123
7
34
짱규
7
35
백곰
7
36
거제그놈
7
37
김열정
7
38
부시리우스2022
7
39
한국밑밥연맹
7
40
6짜긴꼬리
7
41
오사마리
7
42
구을비도
6
43
검은바다
6
44
번영
6
45
망상어전문
6
46
무릅고배이
6
47
군산감생킬러
6
48
바다낚시꾼의꿈
6
49
아티스트rla
6
50
새벽물때
6
51
도선사
6
52
울트
6
53
쌩기똥기
6
54
리시안
6
55
쌍칼라
6
56
경남미디어
6
57
플레져
6
58
촌놈남해
5
59
부남대여tv
5
60
윈드스토퍼
5
61
emfjaj
5
62
시그니처latte
5
63
불꽃버디
5
64
정품긴꼬리감시
5
65
히히히히히홀
5
66
부산낚시터
5
67
메론좋아
5
68
흑푸
5
69
love
5
70
가마인
5
71
4짜망둥어
5
72
심통구리
5
73
큰달메
5
74
낚시김
5
75
민쓰
5
76
흙운
5
77
볼카짱짱짱
5
78
지누50
5
79
복사초등대
5
80
센바주루
5
81
Vora
5
82
dudtnr
5
83
싼도야
5
84
원투꾼89
5
85
노화도에산다
5
86
나무사랑쫑
5
87
삼정그린토아
5
88
헛탕만
5
89
남해동부물공
5
90
벵창
5
91
마산긴꼬리
5
92
압맥69봉지
5
93
벵병
4
94
갯바위감성
4
95
안녕감시야
4
96
한마리왔따이
4
97
아로니파파
4
98
토너캐스트
4
99
김pd
4
100
구레전과
공지사항
09.01
★ 2025년 9월 5일 사이트 리뉴얼 오픈 안내
06.09
★ "Connect Error: No such file or directory" 에러가 발생시
05.29
★ 카이퍼넷 방화벽 차단시 설정방법
07.03
★ 사이트 정상운영 ★ 24.07.03
06.19
★ 사이트 정상운영 ★ 24.06.19
06.17
★ 사이트 정상운영 ★
06.14
★ 서비스 일시정지 - 서버이전작업 ★
07.14
★ 112차 제품평가단 위촉 명단 발표
07.07
★ 112차 제품평가단모집 - 1차
11.01
★ 111차 제품평가단 위촉 명단 발표
점주/선장 > 가장 빠른!!
실시간 조황
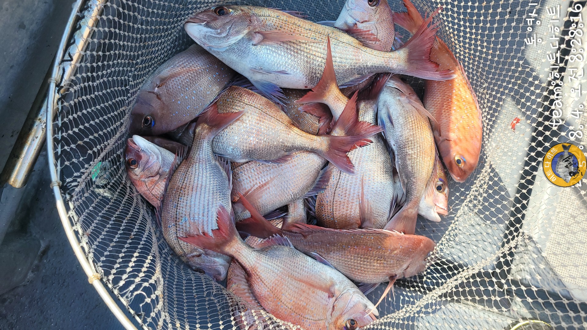
히트다히트 《흘림참돔 》호로로록 ~마릿수 좋습니다.
히트다HIT
거제
0
92
2022.08.04 08:33
네임
카드
팀히트다히트1호더히트호
실시간 예약
홈페이지
밴드 바로가기
유튜브/SNS
#히트다히트 #흘림참돔 #마릿수
4짜까지 중치급들 실시간 입니다~
호로로록~원줄을 잘 가져갑니다~
히트다히트 010-4165-5368
*내일 예약가능합니다.
0
좋은 글이라고 생각되시면 "추천(좋아요)"을 눌러주세요!
게시물 신고
목록
0
댓글
로그인한 회원만 댓글 등록이 가능합니다.
×
Image Upload
로그인한 회원만 등록가능합니다.
목록
번호
포토
제목
이름
날짜
7260
8/5 대삼치 실시간 조황..(8/6 대삼치 출조합니다)
감포용오름호
158
2022.08.05
감포용오름호
2022.08.05
7259
물때가좋으니 문어가 잘 나오네요
도리스피싱
87
2022.08.05
도리스피싱
2022.08.05
7258
가자낚시 가자호 돌문어 쭈욱 올라옵니다. 주말 예약 가능
통영가자낚시가자호
68
2022.08.05
통영가자낚시가자호
2022.08.05
7257
욕지권 돌문어진행중~(04시30분-16시입항)토,일예약중
고성파워피싱
132
2022.08.05
고성파워피싱
2022.08.05
7256
군산 가자호 야간문어 실시간 조황 입니다
GAJAHO
119
2022.08.04
GAJAHO
2022.08.04
7255
삼천포 백호 돌문어 실시간~ 주중 주말 자리여유 예약 가능 합니…
삼천포진프로피싱
76
2022.08.04
삼천포진프로피싱
2022.08.04
7254
삼천포 백호 돌문어 실시간~주중 주말 자리여유 예약 가능 합니다…
삼천포진프로피싱
72
2022.08.04
삼천포진프로피싱
2022.08.04
7253
통영 스피드)오늘은 문어...실시간!!
통영스피드낚시
131
2022.08.04
통영스피드낚시
2022.08.04
7252
통영 송현호)) 실시간 킬로오버외 뽑아내고 있습니다
통영송현피싱
119
2022.08.04
통영송현피싱
2022.08.04
7251
《감성돔》마릿수 진행중~
거제은아4호
176
2022.08.04
거제은아4호
2022.08.04
7250
1
《돌문어》kg까지 마릿수 쩍 쩍~
1
거제은아2호
111
2022.08.04
거제은아2호
2022.08.04
7249
통영 도시어부호 감성돔 흘림낚시 주간.야간 갑니다
통영도시어부
89
2022.08.04
통영도시어부
2022.08.04
7248
《참돔흘림》실시간/연일 대박 예상됩니다
람보피싱3호
145
2022.08.04
람보피싱3호
2022.08.04
7247
《참돔흘림》실시간/씨알급 참돔들이 시원하게 원줄을 가져갑니다
람보피싱2호
122
2022.08.04
람보피싱2호
2022.08.04
7246
문어 씨알급 마릿수 내일예약가능
통영궁항레져2
66
2022.08.04
통영궁항레져2
2022.08.04
7245
1
문어(REAL) 800g이상~K K K난리中~고고피싱호 조황(5…
1
고고피싱호
97
2022.08.04
고고피싱호
2022.08.04
7244
삼천포 백호 돌문어 실시간~ 주중 주말 자리여유 예약 가능 합니…
삼천포진프로피싱
69
2022.08.04
삼천포진프로피싱
2022.08.04
7243
삼천포 백호 돌문어 실시간~ 주중 주말 자리여유 예약 가능 합니…
삼천포진프로피싱
58
2022.08.04
삼천포진프로피싱
2022.08.04
7242
1
돌문어(실시간) 킬로이상 쏟아집니다~락피싱호(대박) 조황
1
통영락피싱
97
2022.08.04
통영락피싱
2022.08.04
열람중
히트다히트 《흘림참돔 》호로로록 ~마릿수 좋습니다.
히트다HIT
93
2022.08.04
히트다HIT
2022.08.04
7240
통큰호)쩍쩍쩍 달라붙네요
통큰호머구리이선장
80
2022.08.04
통큰호머구리이선장
2022.08.04
7239
가자낚시 가자호 돌문어입니다.
통영가자낚시가자호
74
2022.08.04
통영가자낚시가자호
2022.08.04
7238
돌문어실시간/ 내만권 사냥중! 내일부터 종일반 자리여유!
사천도시어부
70
2022.08.04
사천도시어부
2022.08.04
7237
내만갈치 대박 이내요
여수어촌호
231
2022.08.04
여수어촌호
2022.08.04
7236
군산 가자호 야간문어 실시간 조황입니다
GAJAHO
74
2022.08.03
GAJAHO
2022.08.03
7235
삼천포 백호 돌문어 실시간~내일 5자리여유 주중 주말 자리예약 …
삼천포진프로피싱
177
2022.08.03
삼천포진프로피싱
2022.08.03
7234
1
통영 송현호)) 실시간 문어 !! 내일도 출동 합니다~~
1
통영송현피싱
126
2022.08.03
통영송현피싱
2022.08.03
7233
섬치기문어 씨알굿 내일부터 자리여유
통영궁항레져2
95
2022.08.03
통영궁항레져2
2022.08.03
7232
사량도돌문어 실시간조황 내일 자리있습니다
마리스호풍어피싱
172
2022.08.03
마리스호풍어피싱
2022.08.03
7231
돌문어 쭉쭉 올라타네요 내일자리여유
통영해병호
94
2022.08.03
통영해병호
2022.08.03
초기화
날짜순
조회순
검색
781
782
783
784
785
786
787
788
789
790
Search
검색대상
제목
내용
제목+내용
회원아이디
회원아이디(코)
글쓴이
글쓴이(코)
또는
그리고
검색어
필수
검색
닫기
인낚 최신글
19:31
욕지권~좌사리권]대물감성돔,참돔 잡으러 갑니다.(주말출항)
19:30
열기볼락,굵은씨알만쿨행진, 금,토,일,쭉 예약가능/왕오징어,출항,호래기,출항
19:26
구레경기4 1.2-50 구해요
19:25
"대물감성돔" 특별 이벤트 5짜48.47.47그리고 4짜들 마릿수 팍~팍~(예약가능)
19:22
먹물 폭탄 왕오징어~ 일요일부터 예약가능합니다!
19:14
가덕새바지낚시 4짜감성돔마릿수조황
19:05
시마노 GL-110X 동계장갑 2xl
19:00
"대물감성돔" 특별 이벤트 5짜48.47.47그리고 4짜들 마릿수 팍~팍~(예약가능)
18:59
청송호)감성돔 마리수(카고)
18:57
25/12/25 통영 재영호 선외기 레저 감성돔 (카고,흘림) 조황
18:54
삼천포 마린보이 12. 27. 토요일부터 황금물때 원도권 덩치문어 출항합니다.
18:53
고성드래곤 어초 감시흘림 마릿수(50수정도) 토욜 자리여유
18:52
감성돔 어초여밭흘림 조황 토일월 출조예약받습니다
+1
18:51
가마가츠g5 0.6
18:45
(문어)냉장고 포인트 K전후 뽑고 또 뽑고~강민호(29일 예약)
18:42
아티누스.
18:40
원도권문어 대박~(토요일예약중,,금요일야간문어예약중
18:37
볼락&감성돔루어 43,46까지~ 주꾸미 왕씨알에 마리수로 쭉쭉~ 예약가능
18:36
안골) 감성돔 흘림 빅사이즈 마릿수 최신 굳굳조황 - 토욜출조 예약가능
18:35
욕지권 완전 초대물 탱크 58cm외~(06시-17시)
18:32
알쭈꾸미,야간 낙지 금토일 출조 합니다.
18:29
편광선글라스 팝니다(크리스마스 기간 택배비무료)
18:28
찌낚시 장비 각게로 정리
18:26
문어 원도권종일 2키로오바사이즈마릿수굿굿^^토욜예약됩니다~
18:21
카고세트구매
18:15
가마가츠 마스터 모델 2 구태M-50
18:14
알주꾸미~주말~토,일~`쭉~예약받습니다.
18:13
피싱스웨이돌돔대용 초리대 팝니다
18:10
원투낚시 라인 및 합사 판매
18:07
다대 조황입니다 (대도 피싱호)
18:06
강풍 속에도 끄떡 끄떡~~~
18:05
5짜맛집~53.50.49.46.46.45.44.44.44.42.40.40.40
18:05
(원도권)망탱이 조황~大문어 집중 공략~고고피싱호(26일 예약)
18:02
(풍산)야간낙지~왕낙지~마릿수 대박~!!(예약가능합니다.)
18:00
Penn int 12visx 릴팝니다.
18:00
(풍산)돌문어~2kg~1.8kg~마릿수 대박~(예약가능합니다)
17:55
시마노 아틀 04-530
17:51
우다다닥 줄줄이 올라오는 왕열기!전원쿨러조황!
17:50
24일<야간 낙지>&<주간쭈꾸미>금,토,일 예약가능
17:47
<<12/24 감성돔 카고 마리수 조황-토.일예약가능>>
17:46
감성돔(흘림)~대불감성돔!빅싸이즈!묵찍묵찍(토,일,월,화쭉~에약가능)
17:41
[원도권문어] 토,일 예약가능 킬로오바조황
17:40
24일야간 왕낙지들 사이즈 최고~망태기 묵직하게~!!(토,일 예약중)
17:40
야간낙지.사이즈 마리수 대박
17:39
거제 ( 어구항 일성호 ) 감성돔 손맛 ~~ 전마선 조황 ~~
17:34
감성돔카고 출조예약중
17:30
[지깅]대방어,잡으러 갑니다(일요일,06시 예약가능,이벤트중)
17:28
#거제어구항 수성호#감성돔 등 금일조황
17:28
야간낙지 예약 받습니다~
17:26
시마노 구스내피 110x M사이즈
인낚 최신댓글
19:00
감시찌는 아무거나...
17:37
튼튼 장비 장만하고 나면 그 튼튼 장비 맛 볼 파이팅 기회가 잘 안 오더군요 완전 패스해야 할 급 장비가 아…
17:32
촬영 조건이 달라서...에 대한 것도 고려해 보심이.... 즉 조금만 촬영 각도가 달라도 빛의 다양한 다름 …
15:52
1.2-50 사용중입니다~가볍고 경쾌하고 남해동부권 올라운드용으로 구매하여 지금까지도 잼나게 잘 가지고 놀고…
14:21
셋중에서 저는 무조건 3번 갑니다.
14:14
28일(일) 널널합니다^_^
13:49
감사합니다 메리크리스마스 되시길^^
12:51
저도 1-53 으로 사고싶긴 하나 1.5호대를 좋은가격으로 분양받을수있는 기회가 생겨서요 내만용 1호대 따로…
12:03
경질성향을 찾으시는데 나열하신 낚시대들은 중경질성향이시네요 경질이라면 그랜드마스터2 1.25 가 더 적합하실…
11:36
경질은 아니지만 저라면 베이시스 1.2 480 가겠습니다 사용중인데.. 바란스 무게감 좋구여 46도 그냥 올…
11:25
1-53사용중이고 1.2-53 1.5-50사용했습니다. 조작성을 살린 경질 선조자 낚시대입니다. 1.5-53…
09:54
27일(토) 주간열기낚시 예약가능합니다. 06시까지 오시면 자리추첨후 출조합니다.
09:45
1.25 50으로 주문했습니다 다음에 1.5호나 1.75호로 기추 할 계획이에요 답변 감사드립니다 해피크리스…
09:18
27일 토요일 ㅡ2분예약가능 합니다
06:49
순 ... 는 도장 게짐 발생 수리비 4000원 달로 하든되 미사용 보관 품인되 한두개도 아니고...
06:46
쿠팡 부터 먼저 도배 하는되.ㅠㅠ
04:32
줄 어디껀가요?
12.24
이번에 확실히 느꼈습니다ㅜ 답변 감사합니다
12.24
구독자로서 함 사봤는데 아쉽네요ㅜㅜ답변 감사합니다
12.24
답변 감사합니다! 3중 코팅이라고 표기 되어 있어요! 기스방지를 위한 코팅일수도 있겠네요 제 기준 카본목줄 …
12.24
어텐더3는 1-50 1.25-50사용중인데요. 모멘트차이로봤을때 호수만큼의 무게차이는 정확히 나타날꺼같네요.…
12.24
원사를 직접생산하는 브랜드사용하는것이 가격도 경제적이고 정신건강도 좋다생각합니다.^^ 투명도가 영... 별루…
12.24
12.24
카본하고는 무관하고요 원액이 필라멘트입니다.. 단일 소재의 약점이 극과 극으로 가는데요.. 예 비닐봉지 원판…
12.24
도미감님 안녕하세요 답변 감사드립니다 위 내용에 필라멘트사 원액이 카본사 이며 그 필라멘트사를 가늘게 엮으면…
12.24
일본 원사공장에 주문해서 가격올려서 파는 것들이 대부분이라 유투버 이름달고 나오는거는 저는 무조건 거릅니다.…
12.24
필리멘트사 원액 투명하게 나옵니다 나일론 사 필라멘트사를 가늘게 가닥가닥 엮어서 나오는게 나일론 사입니다 목…
12.24
12.24
12.24
12.24
12.24
12.24
12.24
12.24
12.24
12.24
12.24
12.24
12.24
12.24
12.24
12.24
12.24
12.24
27일 토요일 원도권 돌문어낚시 예약 가능합니다. 감사합니다.
12.24
26일 내일 통영 원도권 돌문어낚시 주간 예약가능합니다. 감사합니다
12.24
린카이도 고민해보겠습니다~
12.24
인해 1호대인데 160g이라는 무게가 너무 좋아서 인해로 가야겠습니다ㅎ
12.24
목.금.토.일 예약완료 되었습니다 감사합니다
12.24
24일 ㆍ25일 ㆍ26일 ㅡ기상악화로 휴무 27일 토요일 ㅡ예약가능 28일 일요일 ㅡ예약가능 이후 ㅡ예약가능…
온라인 문의 안내
*운영진에게 문의
*광고/제휴 문의
월~금 : 9:00 ~ 18:00
토/일/공휴일 휴무
점심시간 : 12:00 ~ 13:00
인낚몰 초특가
★3,000★ 하야부사 6단 볼락 전갱이 카드채비 SD724 볼락채비
★1,000★볼락낚시에 최적인 메바트로볼 - 캐스팅볼, 메바볼
★13,000~★3NO 일본 오리지날 직수입 극강 멀티 무광 마크사 원줄
★500★ W쿠션 멀티 수중찌 M L - 전유동 반유동 끄심바리 필수품 수중쿠션
★5,900★ 여러개 있으면 아주 좋은 EVA 시스템 백
★ 1+1 플로팅, 세미, 카본 낚시줄 행사 호수선택가능 / 택상 1+1 원줄, 목줄 행사
★6,000★ 예민함의 끝판왕 애니원찌 벵에돔찌 학공치찌
★15,000★ 오동목 구멍찌 5개 + 메쉬 찌케이스 세트
★22만원★ 40W 집어등을 이 가격에!
★5,000★ 전층쿠션 15세트입 S / L 사이즈
★2,000★ 전층쿠션 5세트입 S / L 사이즈
★10,000 미니집어등5개 + 425배터리 1개 + 스토퍼고무 10개