《감성돔》어초ㆍ여밭에서 마릿수 진행중~
인낚ㅣ인터넷바다낚시
어종별선상
어종별갯바위
낚시인조황
점주선장조황
출조정보
낚시광장
낚시지식인
낚시교실
중고장터
휴게실
인낚도서관
인낚몰
0
홈
어종별선상
어종별갯바위
낚시인조황
점주선장조황
출조정보
낚시광장
낚시지식인
낚시교실
중고장터
휴게실
인낚도서관
인낚몰
어종별선상
어종별갯바위
낚시인조황
점주선장조황
출조정보
낚시광장
낚시지식인
낚시교실
중고장터
휴게실
인낚도서관
인낚몰
어종별선상
어종별 선상조황
4대돔 조황
먹물 조황
갈치 조황
볼락&전갱이
빅게임 지깅&파핑
외줄&외수질
기타 어종
어종별 갯바위조황
4대돔 조황
먹물 조황
갈치 조황
볼락&전갱이
농어&삼치&방어&부시리
기타 어종
어종별갯바위
어종별 선상조황
4대돔 조황
먹물 조황
갈치 조황
볼락&전갱이
빅게임 지깅&파핑
외줄&외수질
기타 어종
어종별 갯바위조황
4대돔 조황
먹물 조황
갈치 조황
볼락&전갱이
농어&삼치&방어&부시리
기타 어종
낚시인조황
낚시인 번개조황
낚시인조행기
스탭조행기
우리낚시동호회이야기
전국낚시동호회소개
동호회갤러리
지난 조황자료보기(년도별 조황 자료)
점주선장조황
전국 실시간 조황
선상(배)+좌대 조황
갯바위+방파제 조황
점주선장전용 공지사항
지난 조황자료보기(년도별 조황 자료)
출조정보
낚시인동행출조
점주선장 갯바위 출조
점주선장 선상출조
기상파고정보(기상청)
해상예보
물때표
파고예보(일본)
실시간해양관측예보
스마트조석예보
낚시광장
낚시계뉴스
대회 및 낚시관련 홍보
제품평가단
신상품소개
낚시지식인
Q&A 묻고 답하기
지식인 베스트
조황/포인트 문의
낚시용품 사용기
낚시투표
토론방
新어류도감
낚시교실
낚시기법소개
어종별 낚시교실
입문자교실
중급자교실
낚시용어사전
중고장터
중고장터 이용후기
더치트 사기피해 검색
팝니다
삽니다
교환합시다
무료로 드립니다
부품팝니다
부품삽니다
일반 생활용품 사고 팔기
휴게실
출석부
낚시갤러리
세상사는 이야기(자유게시판)
낚시이야기 마당
먹고사는 이야기
구인구직
칭찬합니다
어째이런일이
습득물 찾기
인낚도서관
인낚 유튜브
인낚 칼럼
블루, 그것이 알고싶다
더블테일의 두 눈으로 보는 세상
입질의추억의 피싱다이어리
나無의 바다 이야기
전문강좌
海巖의 바다낚시 이야기
이성규의 전유동낚시 강좌
조성민의 금요루어클럽
인낚몰
홈소개
공지사항
자주 묻는 질문
운영진에게
광고/제휴문의
로그인
자동로그인
회원가입
|
정보찾기
점주선장조황
전국 실시간 조황
선상(배)+좌대 조황
갯바위+방파제 조황
점주선장전용 공지사항
지난 조황자료보기(년도별 조황 자료)
신상품 소개
긱스 나노에이스
낚시고 미장구레 VIP 대본류 벵에돔 파우더
낚시고 위력 벵에돔 파우더
천류 카모 피싱백
천류 레자 피싱백
zzis 찌스 전자기울찌 호리존탈 전유동전용 출시!
회원 랭킹
48
1
목줄은내꺼
26
2
마루미르
21
3
잡어바글바글
19
4
긴꼬리벵에돔55
16
5
앵그리정
14
6
감시밥줄
11
7
리치망고제주
11
8
카데바
10
9
최리무진
10
10
오또다
10
11
배팡
10
12
포항대박이
10
13
신용대
10
14
김갈치
9
15
푸푸헐
9
16
모카사랑해
9
17
페드로
9
18
4계절벵에
9
19
상석바위
9
20
수려한
8
21
숲공
8
22
닉초이
8
23
감성사자
8
24
시작하는채비와장비
8
25
아나구릉
8
26
진해숭어
8
27
큰아범
8
28
사냥꾼끝판대장
8
29
타짜감시
7
30
망상어전문
7
31
화니이123
7
32
짱규
7
33
백곰
7
34
쌍칼라
7
35
한국밑밥연맹
7
36
헤리티지
7
37
김열정
7
38
구을비도
7
39
도선사
7
40
부시리우스2022
7
41
거제그놈
7
42
6짜긴꼬리
7
43
검은바다
6
44
촌놈남해
6
45
바다낚시꾼의꿈
6
46
무릅고배이
6
47
번영
6
48
새벽물때
6
49
플레져
6
50
군산감생킬러
6
51
메론좋아
6
52
아티스트rla
6
53
헛탕만
6
54
쌩기똥기
6
55
PROKILLER
6
56
울트
6
57
오사마리
6
58
리시안
6
59
민쓰
6
60
경남미디어
5
61
시그니처latte
5
62
emfjaj
5
63
갯바위감성
5
64
가마인
5
65
불꽃버디
5
66
삼정그린토아
5
67
벵창
5
68
지누50
5
69
흑푸
5
70
love
5
71
벵병
5
72
히히히히히홀
5
73
Vora
5
74
dudtnr
5
75
볼카짱짱짱
5
76
낚시김
5
77
노화도에산다
5
78
김오키
5
79
흙운
5
80
정품긴꼬리감시
5
81
원투꾼89
5
82
윈드스토퍼
5
83
압맥69봉지
5
84
마산긴꼬리
5
85
4짜망둥어
5
86
센바주루
5
87
싼도야
5
88
나무사랑쫑
5
89
심통구리
5
90
큰달메
4
91
구레전과
4
92
대박초짜
4
93
부남대여tv
4
94
손만넣고잘게
4
95
운전미숙
4
96
사하주민
4
97
한마리왔따이
4
98
0아이리스0
4
99
풍낚TV
4
100
상인동대물
공지사항
09.01
★ 2025년 9월 5일 사이트 리뉴얼 오픈 안내
06.09
★ "Connect Error: No such file or directory" 에러가 발생시
05.29
★ 카이퍼넷 방화벽 차단시 설정방법
07.03
★ 사이트 정상운영 ★ 24.07.03
06.19
★ 사이트 정상운영 ★ 24.06.19
06.17
★ 사이트 정상운영 ★
06.14
★ 서비스 일시정지 - 서버이전작업 ★
07.14
★ 112차 제품평가단 위촉 명단 발표
07.07
★ 112차 제품평가단모집 - 1차
11.01
★ 111차 제품평가단 위촉 명단 발표
점주/선장 > 가장 빠른!!
실시간 조황
《감성돔》어초ㆍ여밭에서 마릿수 진행중~
거제은아2호
거제
1
105
2022.10.02 10:36
네임
카드
거제금성호
실시간 예약
홈페이지
밴드 바로가기
유튜브/SNS
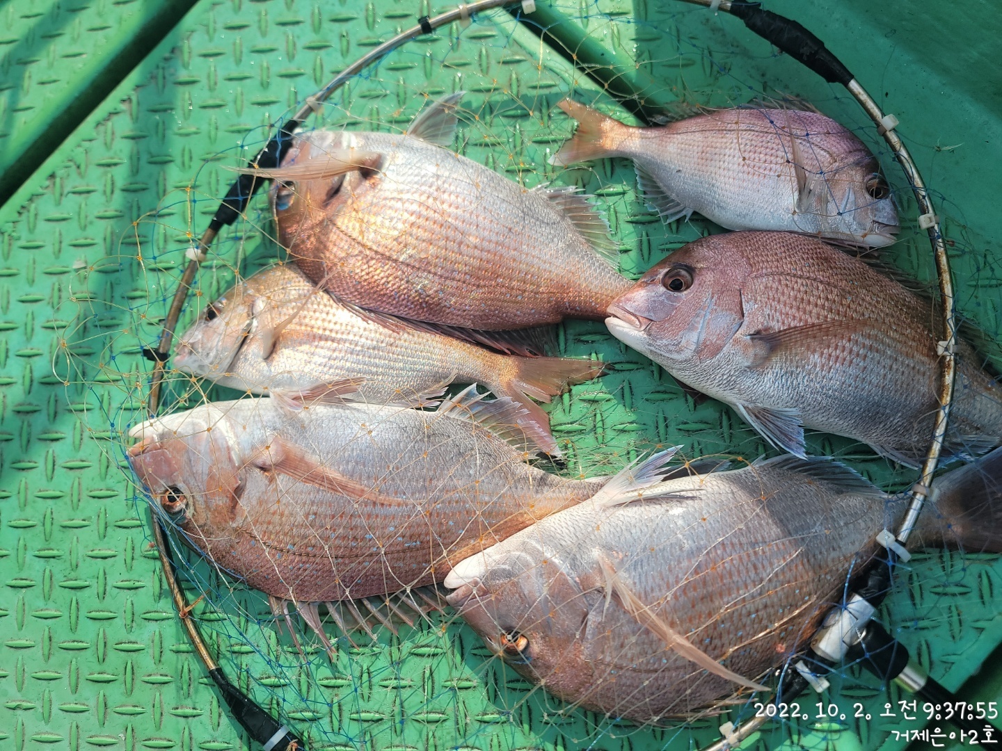
《감성돔》먼바다 어초ㆍ여밭에서 사냥중입니다.
아직은 참돔들만 모습을 보이네요.
남은 시간 즐겨보겠습니다.
★찾아오시는길★
주소 : 거제시 거제면 법동리 536-24(법동휴게소)
거제시 거제면 법동리 626-6
★★★신분증 꼭 지참해주세요★★★
☎예약문의☎
예약전화 : 010-6292-7634
문의전화 : 010-9084-7634
☆은아펜션 운영합니다.☆
거제시 거제면 거제남서로 4234
거제시 거제면 법동리 664-1
0
좋은 글이라고 생각되시면 "추천(좋아요)"을 눌러주세요!
게시물 신고
목록
1
댓글
거제은아4호
22-10-02 10:47
0
내일 감성돔 예약가능합니다.
내일 감성돔 예약가능합니다.
댓글 설정
댓글 신고
로그인한 회원만 댓글 등록이 가능합니다.
×
Image Upload
로그인한 회원만 등록가능합니다.
목록
번호
포토
제목
이름
날짜
8197
쭈꾸미 느나느나 대박 평일11시 주말휴일 종일 모집합니다
펄스호
96
2022.10.02
펄스호
2022.10.02
8196
((통영대양호))무늬오징어 팁런 실시간!
통영대양호국치마을
137
2022.10.02
통영대양호국치마을
2022.10.02
8195
창신호 내만텐야&텐빈 초저녁부터 4지가 퍽퍽
통영대양피싱
88
2022.10.02
통영대양피싱
2022.10.02
8194
백호 돌문어 실시간조황~ 내일 자리 예약 가능 합니다~^^
삼천포진프로피싱
161
2022.10.02
삼천포진프로피싱
2022.10.02
8193
삼천포에는 쭈꾸미가 넘쳐납니다
도리스피싱
206
2022.10.02
도리스피싱
2022.10.02
8192
백호 돌문어 실시간~ 주중 주말 자리 예약 가능 합니다~^^
삼천포진프로피싱
80
2022.10.02
삼천포진프로피싱
2022.10.02
8191
계속되는 대구리 소식~~~
거제석피싱
101
2022.10.02
거제석피싱
2022.10.02
8190
감성돔 실시간ᆢ
미금호
119
2022.10.02
미금호
2022.10.02
8189
동경호~여밭공략으로 kg급올리는중(월.가)
진해안골동경호
93
2022.10.02
진해안골동경호
2022.10.02
8188
통영 스피드) 실시간 감성돔 즐낚중입니다.
통영스피드낚시
125
2022.10.02
통영스피드낚시
2022.10.02
8187
박프로호 원도권 돌문어 실시간
통영박프로호
65
2022.10.02
통영박프로호
2022.10.02
8186
1
(감성돔) 실시간 35이하 마리수로 퍽~퍽 진행중
1
거제대어낚시1호
139
2022.10.02
거제대어낚시1호
2022.10.02
8185
1
(감성돔) 4짜 감성돔 외 마릿수 감성돔 어초, 여밭, 어장에서…
1
거제야호
148
2022.10.02
거제야호
2022.10.02
8184
1
(감성돔) 실시간 4짜외 중치급, 뻰찌들과
1
거제대어낚시2호
143
2022.10.02
거제대어낚시2호
2022.10.02
8183
1
《감성돔》어초ㆍ여밭에서 찌 줄 줄~
1
거제은아4호
96
2022.10.02
거제은아4호
2022.10.02
8182
1
《감성돔》어초ㆍ여밭에서 찌 줄 줄~
1
거제은아3호
93
2022.10.02
거제은아3호
2022.10.02
열람중
1
《감성돔》어초ㆍ여밭에서 마릿수 진행중~
1
거제은아2호
106
2022.10.02
거제은아2호
2022.10.02
8180
1
《감성돔》어초ㆍ여밭에서 감ㆍ뺀ㆍ참 진행중~
1
거제은아호
110
2022.10.02
거제은아호
2022.10.02
8179
"감성돔" 현재
거제인성낚시
122
2022.10.02
거제인성낚시
2022.10.02
8178
1
통영 송현호)) 실시간 주말 문어 주간 야간 씨알 마릿수 호조황
1
통영송현피싱
68
2022.10.02
통영송현피싱
2022.10.02
8177
히트다히트 《흘림참돔 》씨알급 참돔들 퍽퍽합니다~
히트다HIT
103
2022.10.02
히트다HIT
2022.10.02
8176
《참돔흘림》실시간/연일 좋습니다
람보피싱3호
82
2022.10.02
람보피싱3호
2022.10.02
8175
《참돔흘림》실시간/떼깔좋은 참돔들이 사정없이 원줄을 가져갑니다
람보피싱2호
64
2022.10.02
람보피싱2호
2022.10.02
8174
《참돔흘림》실시간/새벽부터 정신없이 달여듭니다
람보피싱1호
79
2022.10.02
람보피싱1호
2022.10.02
8173
현시간 감성돔조황입니다.
거제오로라호
95
2022.10.02
거제오로라호
2022.10.02
8172
일요일 돌문어 실시간, 내일 쭈, 갑 출조
통영가자낚시가자호
75
2022.10.02
통영가자낚시가자호
2022.10.02
8171
삼천포 돌문어낚시 태안호 실시간 조황~~~
태안호
243
2022.10.02
태안호
2022.10.02
8170
대구리 무늬 실시간~~
거제석피싱
86
2022.10.02
거제석피싱
2022.10.02
8169
10/2. 굿. 실시간. 쭈&갑이. 내일. 여유자리. 블랙핑크호…
군산대한낚시
72
2022.10.02
군산대한낚시
2022.10.02
8168
참돔 6짜
통영샤인호
108
2022.10.02
통영샤인호
2022.10.02
초기화
날짜순
조회순
검색
751
752
753
754
755
756
757
758
759
760
Search
검색대상
제목
내용
제목+내용
회원아이디
회원아이디(코)
글쓴이
글쓴이(코)
또는
그리고
검색어
필수
검색
닫기
인낚 최신글
12:30
월요일(29일)부터 쭈꾸미 자리여유/선비 6만원
12:29
월요일(29일)부터 쭈꾸미 자리여유/선비 6만원
12:29
25일새벽 귀한 금 호래기 많이 잡았어요~!! 오늘 예약가능
12:25
통영 금정호 대물감성돔 흘림조황! 내일과 주말 자리있습니다
12:25
통영 금정호 대물감성돔 흘림조황! 내일과 주말 자리있습니다
12:23
흘림감성돔 4짜들 내일예약가능합니다
12:22
왕알쭈꾸미 (선비5만)시즌 빅2 EVENT~27일 토욜(출조확정)4자리 예약가능
12:19
22이그지스트2500스풀
12:17
14스텔라 1000pgs 보조스풀 포함
12:15
안골) 감성돔 흘림 빅사이즈 마릿수 최신 굳굳조황 - 토욜출조 예약가능
12:15
창만호 대물감성돔카고~일욜부터 예약가능
12:15
원도권돌문어 K K K ( 토요일예약가능,,금요일야간문어예약중
12:15
고성드래곤 어초 감시흘림 호조황(50수정도) 토욜 자리여유
12:15
야간낙지.마리수 사이즈 만족
12:14
10년 스텔라4000번 팝니다.
12:11
호래기 와우 마릿수 굿
12:10
내일 알쭈 나갑니다~ 자리여유.출조선수모집
12:09
시마노 고어텍스 갯바위 단화 (FS-175U) 230mm 신품 미사용
12:07
시마노 '21년 트윈파워SW 5000XG (윤성정품_신품 미사용)
12:05
( 선비 5 만원 ) 끝임없이 올라오는 야간 ~낙지 잡으러 출조 갑니다 @ 토,일요일~예약가능
12:05
열기볼락,굵은씨알만쿨행진,오늘출항,쭉 예약가능/왕오징어,출항,호래기,출항
12:04
선비 5만원. 오늘 야간 낙지,내일 주간 쭈꾸미 출조 확정입니다.자리는 변함없이 천지삐까리입니다!!
12:04
선비 5만원. 오늘 야간 낙지,내일 주간 쭈꾸미 출조 확정입니다.자리는 변함없이 천지삐까리입니다!!
12:03
겨울호래기철 토요일예약가능합니다
12:03
겨울호래기철 토요일예약가능합니다
12:02
감성돔 어초 흘림낚시 히트히트 굿굿 주말 자리여유
12:02
지갈길 가는놈 좀 잡아주세요
12:00
왕오징어~대포급먹폭탄조황~일요일부터 예약가능합니다
12:00
"대물감성돔" 5짜5짜외 4짜들 마릿수 조황~
11:59
참돔타이라바 일요일//오징어 일,월~예약가능합니다
11:59
5짜맛집~종일중~기상만좋구만~주말출항시간~
11:58
27일, 28일. 원도권 문어출조 잔여자리 있습니다.
11:55
내일 토요일 일요일 원도권문어 예약가능~대물손맛보러 고고!!~
+1
11:52
감성돔(어초흘림)4짜,4짜,4짜굵은놈들 제법 덤벼듭니다.내일자리여유
11:50
<여수뉴피닉스호> 내일(토)ㅡ 황금물때 쭈꾸미낚시 자리있어요~~(황제낚시가능)
11:44
야간왕낙지 선비6만원 무너.물메기는덤!! 토일/예약가능
11:43
추자도 매일 출조합니다 (현지 종선 없음)
11:42
세분감성돔흘림46,42,40외3짜들
11:40
열기볼락,굵은씨알만쿨행진, 오늘출항,금,토,일,쭉 예약가능/ 왕오징어,출항,호래기,출항
11:40
오리온!원도권문어!내일도 대물문어 잡으러 달립니다~내일 예약가능
11:35
주말 감성돔카고 달립니다
11:33
(로드피싱)문어26일,대회1일차!1685g~무섭게 솎아내는중!!(토일 정상출조~)
11:33
대물은 터지고 46감성돔부터~(주말)
11:32
신짝.왕.뽈락.대물.열기.줄타는.어초밭.포인트로.완전.소탕하러28일(일요일)예약쥬심(계속
11:32
해동낚시/뉴해동호 태종대갯바위 4짜초중반감시외마릿수이벤트중
11:31
감성돔 << 흘림 >> 조황입니다 토요일 2자리@@
11:30
(로드피싱)문어26일,대회1일차!1685g~무섭게 솎아내는중!!(토일 정상출조~)
11:25
김도원(한샘리하우*) 임마이거
11:25
신발짝 왕뽈/열기 물때 시작부터 만쿨(오늘예약가능
11:24
감성돔(흘림) 최신 씨알급 4짜4짜 찐한손맛 조황 ! ~ (토ㆍ일/자리여유ㅡ 예약가능)
인낚 최신댓글
11:52
내일자리여유 있습니다
11:17
제가 위글에 on상태를 off상태로 잘못 기재했네요^^;;
10:54
닉;;;;ㅠㅠ
10:28
구레스페셜은 안써봐서 패스. 몬스터포스는 가마 구태랑 흡사한 동조자 스타일입니다. 참고하세요.
09:32
광고비 받고 광고하는 제품들 별로라고 해도 대놓고 안좋다고 하기에는 다소 무리가 있겠지요. 돈 주면서 광고 …
09:06
27일(토) 주간열기낚시 예약가능합니다. 06시까지 오시면 자리추첨후 출조합니다.
03:30
재미는 있더군요.
12.25
@방생또방생 방생님 ~ 너무 감사합니다.^&^ 따듯한밤 되세요
12.25
쟤는 제왕절개? ㅋㅋ
12.25
메리 크리;스토막리스
12.25
하나하나 다 맞는 말씀이십니다 그러나 언제 올지 모르는 대물의 기대감과 새로운 장비에 대한 호기심도 낚시의 …
12.25
감시찌는 아무거나...
12.25
튼튼 장비 장만하고 나면 그 튼튼 장비 맛 볼 파이팅 기회가 잘 안 오더군요 완전 패스해야 할 급 장비가 아…
12.25
촬영 조건이 달라서...에 대한 것도 고려해 보심이.... 즉 조금만 촬영 각도가 달라도 빛의 다양한 다름 …
12.25
1.2-50 사용중입니다~가볍고 경쾌하고 남해동부권 올라운드용으로 구매하여 지금까지도 잼나게 잘 가지고 놀고…
12.25
셋중에서 저는 무조건 3번 갑니다.
12.25
28일(일) 널널합니다^_^
12.25
감사합니다 메리크리스마스 되시길^^
12.25
저도 1-53 으로 사고싶긴 하나 1.5호대를 좋은가격으로 분양받을수있는 기회가 생겨서요 내만용 1호대 따로…
12.25
경질성향을 찾으시는데 나열하신 낚시대들은 중경질성향이시네요 경질이라면 그랜드마스터2 1.25 가 더 적합하실…
12.25
경질은 아니지만 저라면 베이시스 1.2 480 가겠습니다 사용중인데.. 바란스 무게감 좋구여 46도 그냥 올…
12.25
1-53사용중이고 1.2-53 1.5-50사용했습니다. 조작성을 살린 경질 선조자 낚시대입니다. 1.5-53…
12.25
27일(토) 주간열기낚시 예약가능합니다. 06시까지 오시면 자리추첨후 출조합니다.
12.25
1.25 50으로 주문했습니다 다음에 1.5호나 1.75호로 기추 할 계획이에요 답변 감사드립니다 해피크리스…
12.25
27일 토요일 ㅡ2분예약가능 합니다
12.25
순 ... 는 도장 게짐 발생 수리비 4000원 달로 하든되 미사용 보관 품인되 한두개도 아니고...
12.25
쿠팡 부터 먼저 도배 하는되.ㅠㅠ
12.25
줄 어디껀가요?
12.24
이번에 확실히 느꼈습니다ㅜ 답변 감사합니다
12.24
구독자로서 함 사봤는데 아쉽네요ㅜㅜ답변 감사합니다
12.24
답변 감사합니다! 3중 코팅이라고 표기 되어 있어요! 기스방지를 위한 코팅일수도 있겠네요 제 기준 카본목줄 …
12.24
어텐더3는 1-50 1.25-50사용중인데요. 모멘트차이로봤을때 호수만큼의 무게차이는 정확히 나타날꺼같네요.…
12.24
원사를 직접생산하는 브랜드사용하는것이 가격도 경제적이고 정신건강도 좋다생각합니다.^^ 투명도가 영... 별루…
12.24
12.24
카본하고는 무관하고요 원액이 필라멘트입니다.. 단일 소재의 약점이 극과 극으로 가는데요.. 예 비닐봉지 원판…
12.24
도미감님 안녕하세요 답변 감사드립니다 위 내용에 필라멘트사 원액이 카본사 이며 그 필라멘트사를 가늘게 엮으면…
12.24
일본 원사공장에 주문해서 가격올려서 파는 것들이 대부분이라 유투버 이름달고 나오는거는 저는 무조건 거릅니다.…
12.24
필리멘트사 원액 투명하게 나옵니다 나일론 사 필라멘트사를 가늘게 가닥가닥 엮어서 나오는게 나일론 사입니다 목…
12.24
12.24
12.24
12.24
12.24
12.24
12.24
12.24
12.24
12.24
12.24
12.24
온라인 문의 안내
*운영진에게 문의
*광고/제휴 문의
월~금 : 9:00 ~ 18:00
토/일/공휴일 휴무
점심시간 : 12:00 ~ 13:00
인낚몰 초특가
★3,000★ 하야부사 6단 볼락 전갱이 카드채비 SD724 볼락채비
★1,000★볼락낚시에 최적인 메바트로볼 - 캐스팅볼, 메바볼
★13,000~★3NO 일본 오리지날 직수입 극강 멀티 무광 마크사 원줄
★500★ W쿠션 멀티 수중찌 M L - 전유동 반유동 끄심바리 필수품 수중쿠션
★5,900★ 여러개 있으면 아주 좋은 EVA 시스템 백
★ 1+1 플로팅, 세미, 카본 낚시줄 행사 호수선택가능 / 택상 1+1 원줄, 목줄 행사
★6,000★ 예민함의 끝판왕 애니원찌 벵에돔찌 학공치찌
★15,000★ 오동목 구멍찌 5개 + 메쉬 찌케이스 세트
★22만원★ 40W 집어등을 이 가격에!
★5,000★ 전층쿠션 15세트입 S / L 사이즈
★2,000★ 전층쿠션 5세트입 S / L 사이즈
★10,000 미니집어등5개 + 425배터리 1개 + 스토퍼고무 10개