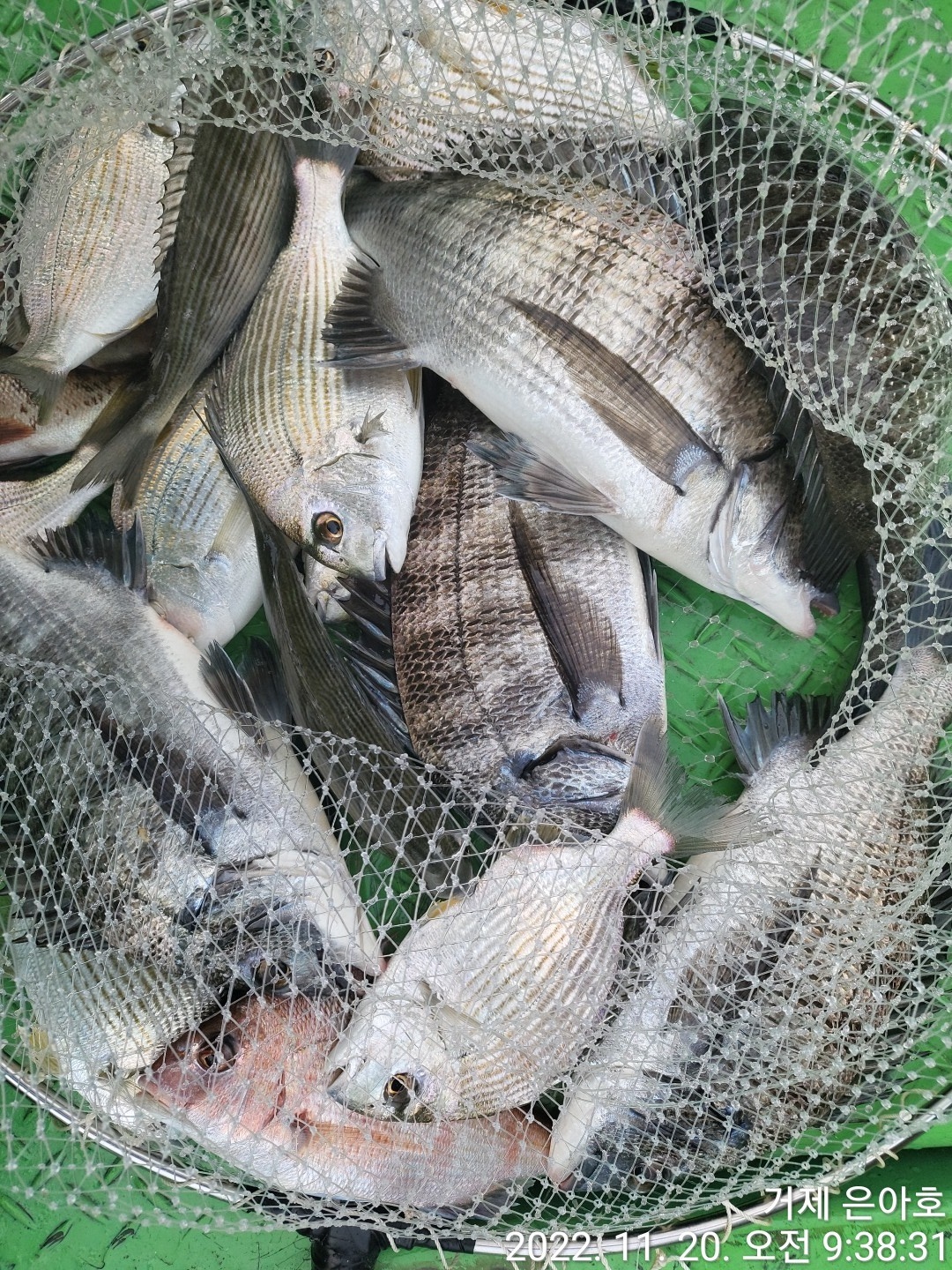
감성돔 여밭에서 마릿수 퍽 퍽~

신상품 소개


회원 랭킹


공지사항


NaverBand
점주/선장 > 가장 빠른!!  실시간 조황

감성돔 여밭에서 마릿수 퍽 퍽~

거제은아호 2 100 2022.11.20 10:17
밴드 바로가기 유튜브/SNS
《감성돔》여밭에서 찌 줄 줄~흘리고 있습니다.
아침부터 꾸준하게 입질이 들어오고 있습니다.
남은 시간 즐겨보겠습니다.

★찾아오시는길★
주소 : 거제시 거제면 법동리 536-24(법동휴게소)
          거제시 거제면 법동리 626-6

★★★신분증 꼭 지참해주세요★★★

☎예약문의☎
예약전화 : 010-6292-7634
문의전화 : 010-9084-7634

☆은아펜션 운영합니다.☆
거제시 거제면 거제남서로 4234
거제시 거제면 법동리 664-1
0

좋은 글이라고 생각되시면 "추천(좋아요)"을 눌러주세요!


  • 페이스북으로 보내기
  • 트위터로 보내기
  • 구글플러스로 보내기
  • 카카오스토리로 보내기
  • 네이버밴드로 보내기
  • 네이버로 보내기
  • 텀블러로 보내기
  • 핀터레스트로 보내기
2 댓글
인터넷바다낚시 22-11-28 11:56 0  
인터넷바다낚시입니다.

제목에 특수문자 사용이 되지 않습니다.

지속적인 사용으로 인해 이용정지 및 게시글 삭제등 불이익이 있을 수 있으니 작성시 유의 부탁드립니다.
 
포토 제목
 

인낚 최신글


인낚 최신댓글


온라인 문의 안내


월~금 : 9:00 ~ 18:00
토/일/공휴일 휴무
점심시간 : 12:00 ~ 13:00