(감성돔) 실시간 한산권 어초 4짜이하 마리수로 손맛중
인낚ㅣ인터넷바다낚시
어종별선상
어종별갯바위
낚시인조황
점주선장조황
출조정보
낚시광장
낚시지식인
낚시교실
중고장터
휴게실
인낚도서관
인낚몰
0
홈
어종별선상
어종별갯바위
낚시인조황
점주선장조황
출조정보
낚시광장
낚시지식인
낚시교실
중고장터
휴게실
인낚도서관
인낚몰
어종별선상
어종별갯바위
낚시인조황
점주선장조황
출조정보
낚시광장
낚시지식인
낚시교실
중고장터
휴게실
인낚도서관
인낚몰
어종별선상
4대돔 조황
먹물 조황
갈치 조황
볼락&전갱이
빅게임 지깅&파핑
외줄&외수질
기타 어종
어종별갯바위
4대돔 조황
먹물 조황
갈치 조황
볼락&전갱이
농어&삼치&방어&부시리
기타 어종
낚시인조황
낚시인 번개조황
낚시인조행기
스탭조행기
우리낚시동호회이야기
전국낚시동호회소개
동호회갤러리
지난 조황자료보기(년도별 조황 자료)
점주선장조황
전국 실시간 조황
선상(배)+좌대 조황
갯바위+방파제 조황
점주선장전용 공지사항
지난 조황자료보기(년도별 조황 자료)
출조정보
낚시인동행출조
점주선장 갯바위 출조
점주선장 선상출조
기상파고정보(기상청)
해상예보
물때표
파고예보(일본)
실시간해양관측예보
스마트조석예보
낚시광장
낚시계뉴스
대회 및 낚시관련 홍보
제품평가단
신상품소개
낚시지식인
Q&A 묻고 답하기
지식인 베스트
조황/포인트 문의
낚시용품 사용기
낚시투표
토론방
新어류도감
낚시교실
낚시기법소개
어종별 낚시교실
입문자교실
중급자교실
낚시용어사전
중고장터
중고장터 이용후기
더치트 사기피해 검색
팝니다
삽니다
교환합시다
무료로 드립니다
부품팝니다
부품삽니다
일반 생활용품 사고 팔기
휴게실
출석부
낚시갤러리
세상사는 이야기(자유게시판)
낚시이야기 마당
먹고사는 이야기
구인구직
칭찬합니다
어째이런일이
습득물 찾기
인낚도서관
인낚 유튜브
인낚 칼럼
블루, 그것이 알고싶다
더블테일의 두 눈으로 보는 세상
입질의추억의 피싱다이어리
나無의 바다 이야기
전문강좌
海巖의 바다낚시 이야기
이성규의 전유동낚시 강좌
조성민의 금요루어클럽
인낚몰
홈소개
공지사항
자주 묻는 질문
운영진에게
광고/제휴문의
로그인
자동로그인
회원가입
|
정보찾기
점주선장조황
전국 실시간 조황
선상(배)+좌대 조황
갯바위+방파제 조황
점주선장전용 공지사항
지난 조황자료보기(년도별 조황 자료)
신상품 소개
긱스 나노에이스
낚시고 미장구레 VIP 대본류 벵에돔 파우더
낚시고 위력 벵에돔 파우더
천류 카모 피싱백
천류 레자 피싱백
zzis 찌스 전자기울찌 호리존탈 전유동전용 출시!
회원 랭킹
29
1
대부도1
28
2
오사마리
26
3
울트
18
4
왕초보태공
15
5
마루미르
14
6
시작하는채비와장비
12
7
거제그놈
12
8
bk2
12
9
꿈의사냥5짜
12
10
로그온
11
11
Nike1972
11
12
잡어바글바글
10
13
방어지코
10
14
벵병
10
15
감성돔대장
10
16
상석바위
9
17
부산그녀석
9
18
목줄은내꺼
9
19
타짜감시
9
20
대물헌트
9
21
군산감생킬러
9
22
sss1185
8
23
쌩기똥기
8
24
쌍칼라
8
25
삼정그린토아
8
26
퓨나인
8
27
내만벵에
8
28
블루홀리
8
29
취한다
8
30
리치망고제주
8
31
신용대
8
32
젠틀낚시
7
33
쌈싸미
7
34
민쓰
7
35
벵에만한다
7
36
검은바다
7
37
육짜방생
7
38
사하주민
7
39
배팡
7
40
영종도청이
7
41
벵에저격수ㅋㅋ
7
42
굼낚시왕
7
43
새조개
6
44
울산동구27
6
45
시간없어이것들아
6
46
심통구리
6
47
감생똥자
6
48
블루피싱호
6
49
연산동아톰
6
50
아빠어부야
6
51
미풍
6
52
감성전설
6
53
여수태평양전동릴
6
54
제롬느벤너
6
55
밖미역섬
6
56
보이는게다야
6
57
갓바우조사
6
58
모카사랑해
6
59
여조사
6
60
G3매니아
6
61
앵그리정
6
62
4계절벵에
6
63
동해살감시
6
64
구태2
5
65
고기잡으세
5
66
인벤터
5
67
촌놈남해
5
68
방생또방생
5
69
김갈치
5
70
엘리트낚시꾼
5
71
한번만쮸
5
72
치악산돼지
5
73
Donf까
5
74
신강수도
5
75
개꽝도사
5
76
대발22
5
77
존갈리아노
5
78
양산서가이드피싱샵
5
79
HoYaHoYa
5
80
바다가인
5
81
최리무진
5
82
말랑파파
5
83
감시마을
5
84
포포님
5
85
긴꼬리망상돔
5
86
삐까리절친
5
87
바다의귀공자™
5
88
감각초월
5
89
나라스카이2.5
5
90
어릴적꿈
5
91
숲공
4
92
왕찌
4
93
따봉맨
4
94
헤리포타2
4
95
달조사
4
96
빵고릴라
4
97
박종훈
4
98
yun
4
99
똘이감시
4
100
으랏촤촤
공지사항
09.01
★ 2025년 9월 5일 사이트 리뉴얼 오픈 안내
06.09
★ "Connect Error: No such file or directory" 에러가 발생시
05.29
★ 카이퍼넷 방화벽 차단시 설정방법
07.03
★ 사이트 정상운영 ★ 24.07.03
06.19
★ 사이트 정상운영 ★ 24.06.19
06.17
★ 사이트 정상운영 ★
06.14
★ 서비스 일시정지 - 서버이전작업 ★
07.14
★ 112차 제품평가단 위촉 명단 발표
07.07
★ 112차 제품평가단모집 - 1차
11.01
★ 111차 제품평가단 위촉 명단 발표
점주/선장 > 가장 빠른!!
실시간 조황
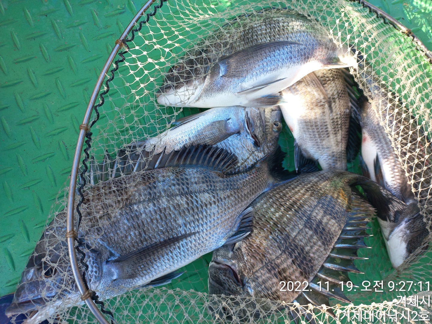
(감성돔) 실시간 한산권 어초 4짜이하 마리수로 손맛중
젠틀호
거제
1
110
2022.11.19 09:46
네임
카드
거제젠틀호
거제시 거제면 서정리 773-14
010-8949-4045
실시간 예약
홈페이지
밴드 바로가기
유튜브/SNS
감성돔 어초 실시간 소식
4짜이하로 짜릿한손맛 이어가고 있습니다
남은시간 집중해보겠습니다
내일도 감성돔 출조합니다 예약가능합니다
★찾아오시는길★
※출항지: 거제시 거제면 법동리 1074번지 아지랑경로당 방파제
사무실 :거제시 거제면 서정리 746-3(GS25시편의점)검색하시면 바로 옆 위치
☎예약문의☎
ㅁ선상낚시 (민박) 문의 : ☎ 010-6400-2082 / ☎010-4547-3937
ㅁ선외기 문의 : ☎ 010-6400-2082
0
좋은 글이라고 생각되시면 "추천(좋아요)"을 눌러주세요!
게시물 신고
목록
1
댓글
젠틀호
22-11-19 09:46
0
내일 예약가능합니다.
내일 예약가능합니다.
댓글 설정
댓글 신고
로그인한 회원만 댓글 등록이 가능합니다.
×
Image Upload
로그인한 회원만 등록가능합니다.
목록
번호
포토
제목
이름
날짜
9172
1
인공어초 현재
1
거제인성낚시
200
2022.11.21
거제인성낚시
2022.11.21
9171
2
실시간 왕돌문어 2020g外 키로오버 수두룩~고고써니호 조황 2…
2
고고2호
100
2022.11.21
고고2호
2022.11.21
9170
1
거제 뉴태강피싱 감성돔 실시간 선장 탐사조황입니다 예약가능
1
뉴거제태강피싱
126
2022.11.21
뉴거제태강피싱
2022.11.21
9169
3
문어 실시간 1.8K外 키로오버 폭풍입질~락피싱 조황 22일 예…
3
통영락피싱
82
2022.11.21
통영락피싱
2022.11.21
9168
1
흘림 감성돔37이하진행중...
1
거제하하피싱
134
2022.11.21
거제하하피싱
2022.11.21
9167
1
히트다히트 어초 여밭권감성돔 실시간 손맛중~
1
히트다HIT
115
2022.11.21
히트다HIT
2022.11.21
9166
3
실시간 갑오징어 굵습니다~ 대동낚시 조황 22일 예약
3
거제대동낚시
154
2022.11.21
거제대동낚시
2022.11.21
9165
먼바다 텐야&텐빈 씨알 좋습니다.
통영대양피싱
105
2022.11.20
통영대양피싱
2022.11.20
9164
백호 쭈 갑 실시간 조황~ 주중 주말 자리여유 예약 가능 합니다…
삼천포진프로피싱
128
2022.11.20
삼천포진프로피싱
2022.11.20
9163
쭈꾸미 느나느나 평일10시반 주말공휴일 종일 06시 모집합니다
펄스호
111
2022.11.20
펄스호
2022.11.20
9162
1
실시간 야간 문어 매일 매일 kk키로오버 사이즈
1
통영송현피싱
75
2022.11.20
통영송현피싱
2022.11.20
9161
1
11/20 군산 패밀리호 쭈꾸미 실시간 오늘 야간우럭 내일 쭈꾸…
1
비응항서군산낚시
171
2022.11.20
비응항서군산낚시
2022.11.20
9160
1
실시간 키로오버 문어들로 달리고 있습니다
1
통영송현피싱
93
2022.11.20
통영송현피싱
2022.11.20
9159
화요일부터 갑오징어출조예약중
도리스피싱
106
2022.11.20
도리스피싱
2022.11.20
9158
1
감성돔 현재
1
거제인성낚시
300
2022.11.20
거제인성낚시
2022.11.20
9157
실시간 선상흘림 !! 4짜외마리수 낼 예약가능
거제영웅낚시
179
2022.11.20
거제영웅낚시
2022.11.20
9156
2
감성돔 줄줄 흘리고 있는 실시간 조황
2
거제야호
196
2022.11.20
거제야호
2022.11.20
9155
쭈갑 좋아요
삼천포대물
167
2022.11.20
삼천포대물
2022.11.20
9154
2
돌문어 원도권 SIZE 끝내주네요~락피싱 실시간 조황 예약가능
2
통영락피싱
92
2022.11.20
통영락피싱
2022.11.20
9153
2
최강감성돔 어초 흘림 원줄 줄줄~촥촥!!! 손맛 중 입니다.
2
거제최강피싱
208
2022.11.20
거제최강피싱
2022.11.20
9152
1
흘림 감성돔 37이하진행중...
1
거제하하피싱
103
2022.11.20
거제하하피싱
2022.11.20
9151
1
거제 뉴태강피싱 4짜4짜4짜 마리수 중입니다~~~~~~
1
뉴거제태강피싱
126
2022.11.20
뉴거제태강피싱
2022.11.20
9150
2
감성돔 수심 깊은 어초에서 대물은 안녕~
2
거제은아4호
103
2022.11.20
거제은아4호
2022.11.20
9149
2
감성돔 4짜급까지 수심 깊은 어초에서~
2
거제은아3호
95
2022.11.20
거제은아3호
2022.11.20
9148
2
감성돔 4짜까지 여밭에서 찌 줄 줄~
2
거제은아2호
96
2022.11.20
거제은아2호
2022.11.20
9147
2
감성돔 여밭에서 마릿수 퍽 퍽~
2
거제은아호
104
2022.11.20
거제은아호
2022.11.20
9146
실시간 KiNG!!갑돌이외 키로급!!돌문어 연일 초대박으로 터집…
거제영웅낚시
67
2022.11.20
거제영웅낚시
2022.11.20
9145
감성돔흘림 어초바리 갑니다 예약가능
통영도시어부
97
2022.11.20
통영도시어부
2022.11.20
9144
2
감성돔 실시간 쏟아지는중 어초 4짜 3짜들 마리수로
2
거제대어낚시1호
107
2022.11.20
거제대어낚시1호
2022.11.20
9143
유촌 금정호 아침부터 2키로오버로 시작! 오늘야간여유^^
유촌금정낚시
69
2022.11.20
유촌금정낚시
2022.11.20
초기화
날짜순
조회순
검색
741
742
743
744
745
746
747
748
749
750
Search
검색대상
제목
내용
제목+내용
회원아이디
회원아이디(코)
글쓴이
글쓴이(코)
또는
그리고
검색어
필수
검색
닫기
인낚 최신글
19:49
가마가츠 보조가방 GB387 32L
19:44
1/24일 장생포 동네낚시 조황
19:41
신형 강철HH 구형 강철HH 판매합니다
19:34
시마노 이소리미티드 에어로포스, 아스테이온 팝니다
19:33
다이와 토너먼트릴
19:32
일요일야간낙지예약중@쭉쭉올라옵니다 싸이즈가 대박
19:30
가덕대항낚시[4짜감성돔]조황입니다.
19:29
해~운대/오륙도 반나절 오전오후 왕열기왕볼락 출조안내
19:26
시마노 신발
19:26
18오가나 몬스터 릴
19:26
1/24 금오열도권 감성돔 조황입니다
19:25
울진 후포 제이존호 열기 낚시 조황입니다
19:23
홍도권 흘림조황 높은파도에도 어김없이
19:23
토너먼트 135 가방 G3 1.25-53 18오나가몬스터 DE-3123T 토너먼트 L 읽ㆍ
19:17
감성돔(흘림)~빅싸이즈!4짜감성돔!우당탕탕!묵찍(월,화,수쭉~에약가능)
19:17
[신조선]원도권조일문어매일출항모집중
19:15
시마노 낚시복 RT112P
19:15
곰발바닥 신짝 왕열기 떵떵떵 만쿨(월요일부터예약가능
19:00
시마노갯바위신발
18:59
거제 ( 어구항 일성호 ) 감성돔 기타 손맛 ~~ 전마선 조황 ~~
18:56
시마노 리미티드 장화(예약중)
18:51
가덕대항낚시[학꽁치]조황입니다.
18:49
야간낙지 조항(선비5만)시즌 빅2 EVENT~25일 일욜(출조확정)7자리 예약가능 합니다
18:45
고성드래곤 어초 감시흘림 46.42.41등등 일욜 자리여유
18:41
꿈에낚시터남녀군도출조일정입니다
18:41
강릉 성훈호 260124토 동해 대문어 피문어 배낚시 조황 (성훈호낚시TV)
18:40
열기볼락 굵은씨알 만쿨 월욜부터,쭉 예약가능/대포오징어,출항 일,월,화,수,쭉 예약가능
18:39
가덕자유인낚시 감성돔 조황입니다.
18:35
쯔리겐 고부력찌
18:35
엑센스 ci4 (10) 스풀 문의
18:35
왕오징어~먹물터지고~일요일예약가능합니다
18:35
[쭈꾸미] 매일 출항 합니다~~^^
18:35
(선비 5 만원) 끝임없이 올라온 야간~왕 낙지 잡으러 출조 갑니다 @ 일요일~예약가능
18:28
[풍화리 선외기 태성레저]감성돔 흘림+카고49/47/46/46/45외(23일,24일)조황
18:28
씨알급들 왕뽈락,왕열기 마릿수 버글버글 엄청잡고~일요일 예약가능~
18:27
kk 돌문어~~ 내일예약가능
18:22
다이와 허리식 구명조끼
18:21
24일 6만원다잡아 강풍에만쿨대박 신발짝주렁주렁왕볼락,5짜참돔,붉바리,쏨팽이,왕열기......
18:15
(왕오징어)씨알 대박~먼바다 먹물 파티 장원 30여수~동양호(25일 예약)
18:13
Sz3 1.2 윤성카드
18:13
가덕새바지낚시 5짜 4짜 감성돔 조황
18:09
24일 감성돔 흘림 대박조황
18:05
세진호/돌문어대박kg들.마릿수많이잡고~일.가능~
18:05
강한바람 과너울 외섬 방어,삼치
18:02
야간문어 (준원도권) 월요일 예약가능~~
18:01
뉴에이스호 내일 감성돔 출조합니다
18:00
감성돔 (카고)ㅡ49.48.47.46.43 씨알 굿굿 (일,월,예약가능)
17:58
대물감성돔,참돔 마릿수~내일예약가능
17:58
감성돔 흘림~~
17:56
25긴로 릴사요
인낚 최신댓글
19:01
3대 원도권가면 감성돔대 말고 벵에대 드는게 좋습니다 감성돔만 물어주질 않으니깐요 19아틀 1.5호 사용중인…
18:55
보증서만 구하신다면 또 사용가능하십니다.
18:55
원도권을 다니시니 저라면 1.5호로 가겠습니다. 심적으로 안정감도 들테구요
17:36
월요일 이후 쭉 예약가능 합니다
17:15
@한실 ㅋㅋㅋ사진 기가 막힌데요?ㅎㅎ
16:36
뽈락 씨알들이 참 좋으네요~
16:33
설명 감사합니다
15:17
어텐더 2-3배 가격대의 모두들 조타는 낚시대도 있지만 어텐더2만 고집하는 1인 입니다. 제가 조아하는 이유…
14:49
문자 이제 봤네요 출조지 몇칠예정 입니까?
14:38
26일(월) 주간열기낚시 예약가능합니다. 06시까지 오시면 자리추첨후 출조합니다.
13:32
오~
12:23
21 인해스페셜. 중고가 40~60 사이(수리 이력 없을경우입니다)
11:09
^^
11:08
^^
11:07
11:07
09:37
25일(일) 내일 2자리 여유 있습니다^_^
09:29
25일(일) 내일 2자리 여유 있습니다^_^
09:20
그게 아마도 제조사 낚시대 차이 인듯 합니다 저도 한동안 가마대 사용하다 시마노대쓰면 낚시대 성향차이 있어서…
09:16
호야님 말씀그대로 입니다. 명불허전 표현이 딱 이네요. G5 주력대로 사용하다보니 앞쏠림 있긴하지만 둔감한 …
09:08
저도 병처럼 신상로드 써봐야 직성이 풀려 이렇다할 주력로드는 없는듯 하내요 그나마 오래찐득히 사용한 로드는 …
07:30
바늘에 묶은 목줄이 바늘쪽으로 돌려져있는게 좋습니다 반대쪽이면 잘빠진다는 이야기 들어봤습니다
07:26
혹한입니다 쉬세요
07:15
저는 벵에 낚시만 하니까 파블 클레버헌트 그리고 눈맛대로 인해스페셜 1.2호대로 정했습니다. 휘는맛이 예술이…
07:09
맞습니다
01:58
파블은 구레경기급이 아닙니다... 마스터모델이나 어텐더 급이지... 구레경기와 비교하면 당연히 쿼터가 좋습니…
01:55
가마가츠사의 좋은 점 딱 금액만큼만 만든다 입니다 구태MH50이면 우리나라에 있는 감성돔 벵에돔 다 잡을 수…
01:43
타사라는 범위가 넓어 기준을잡기어렵지만 어텐더 태생이 벵에돔 전용대이다보니 감성돔 전용 06대들과 비교하면 …
00:47
호야님 감사합니다 ^^ 어텐더2 06호가 타제조사 연질 08호 정도의 강도 나올까요?
00:01
오래전 레마레4 잠깐 사용했었는데 4만해도 든든했던기억이 있네요. 저는 2호이상 잘흔들지않아서 아쉽지만 떠나…
01.23
G5 시간이 지나도 역시 명불허전이죠. 높은호수1.75호 53은 하부손잡이가 길어서 들고있을만 하던데 1.2…
01.23
한때 어텐더2에 미쳐 2.25 2.5호수 빼고 전호수다사용해봤습니다. 낚시후 닦아준후 건조잘해서 보관하시면 …
01.23
아틀 1호만 해도 충분한 듯 합니다 쿼터가 있는데 굳이 1.2호나 1.5호로 갈 이유가 없을 것 같네요 물론…
01.23
있어요 같은 대를 두대 샀는지 한대 샀는지는 아무도 모릅니다
01.23
선장들 말로는 많이 줄었다고 하는데 주말 출조객은 그대로인거 같습니다
01.23
선상이 왜 여따 글을 올리는교
01.23
남들 가벼운거 찾을떄 혼자 역행해서 무식하고 파워풀한대 찾아서 레마레6으로 다떄려잡고 있습니다 터진적이 없고…
01.23
01.23
많은로드를 접하진 못했지만 G5-1.25-530이 저의 최애로드 입니다. 원정출정을 하지못해 극한상황 대처력…
01.23
20220914/ 태종대
01.23
25일(일) 3자리 여유 있습니다!!! ^_^
01.23
토요일 급2자리 예약가능 합니다 감사합니다
01.23
낼 급 2자리 있습니다
01.23
저도 미장m50만큼은 명기라 생각합니다. 후기감사합니다 ^^
01.23
저도 딱 그러네요 ㅎㅎ
01.23
저는 5.0m길이 이하는 적응불가네요 ㅠ 후기감사합니다^^
01.23
ML50 MH53은 사용하는데 L50은 아직이네요. 요즘은 토너가 대세인가봅니다 ㅎㅎ 후기감사합니다^^
01.23
감사합니다 ㅋㅋ 날씨가 안좋은거 알면서도 안가자니 몸이 근질근질하네요 지역이 진주라 말씀해주신 통영이나 거제…
01.23
11베이시스는 정말 가볍고 경쾌하게 사용했었는데 09아틀은 접해보지못했네요. 명성만큼 성능도 좋겠죠?
01.23
하필 데니오스를 안써봤네요. 가볍고 경쾌할꺼같은데 역시 평이 좋은 낚시대인가봅니다. 감사합니다. ^^ 새해 …
온라인 문의 안내
*운영진에게 문의
*광고/제휴 문의
월~금 : 9:00 ~ 18:00
토/일/공휴일 휴무
점심시간 : 12:00 ~ 13:00
인낚몰 초특가
MAEK 맥 호래기 대바늘 호래기콕 J타입 (카본바디 2입)
어부공방 NEW 호래전
야마시타 SB 호래기 대바늘
★3,000★ 하야부사 6단 볼락 전갱이 카드채비 SD724 볼락채비
★1,000★볼락낚시에 최적인 메바트로볼 - 캐스팅볼, 메바볼
★13,000~★3NO 일본 오리지날 직수입 극강 멀티 무광 마크사 원줄
★500★ W쿠션 멀티 수중찌 M L - 전유동 반유동 끄심바리 필수품 수중쿠션
★5,900★ 여러개 있으면 아주 좋은 EVA 시스템 백
★ 1+1 플로팅, 세미, 카본 낚시줄 행사 호수선택가능 / 택상 1+1 원줄, 목줄 행사
★6,000★ 예민함의 끝판왕 애니원찌 벵에돔찌 학공치찌
★15,000★ 오동목 구멍찌 5개 + 메쉬 찌케이스 세트
★22만원★ 40W 집어등을 이 가격에!