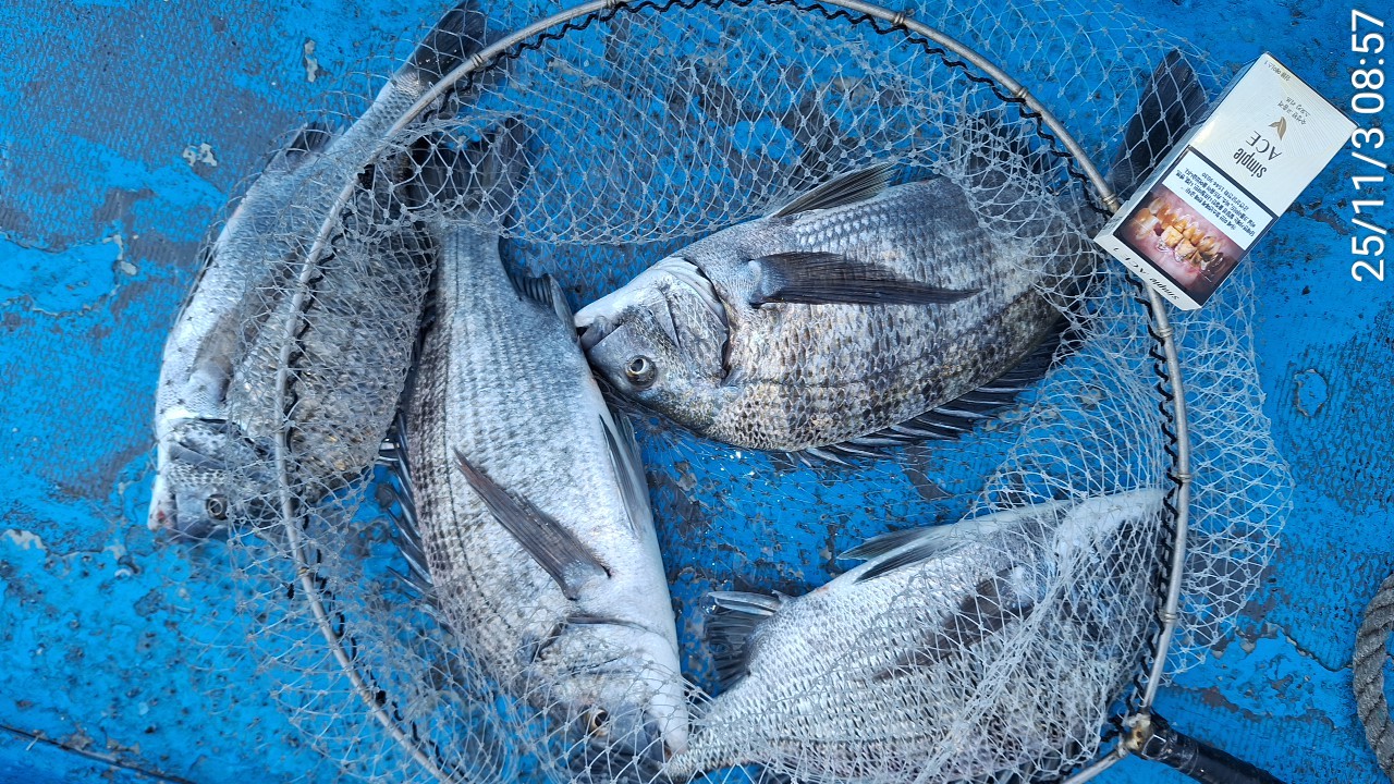
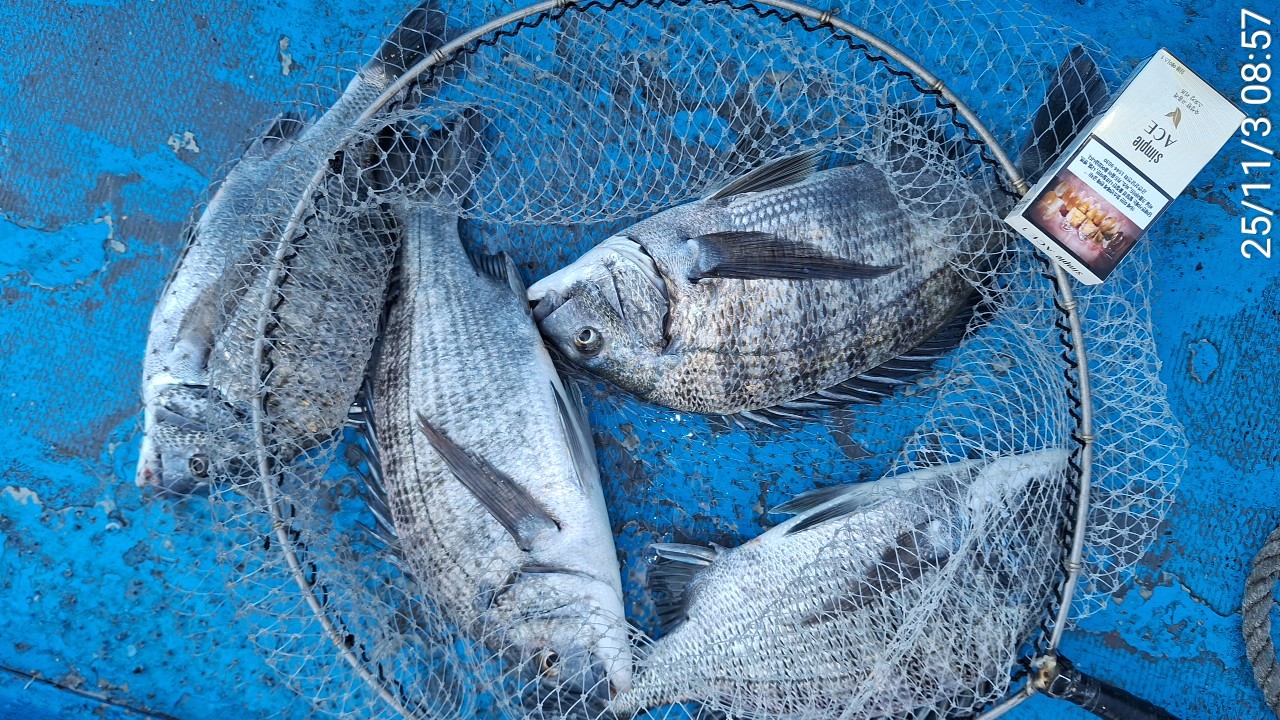
(실시간)감성돔 집어완료~4짜급들 줄줄이 손맛 中~가고파호(4일 예약)