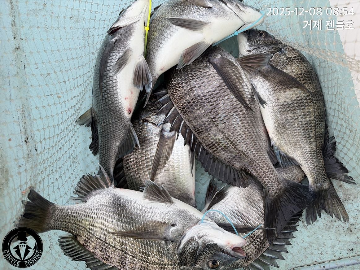
감성돔(실시간 흘림) 4짜 4짜급 굵은놈들~한방 팅~젠틀호(9일 예약)

신상품 소개


회원 랭킹


공지사항


NaverBand
점주/선장 > 가장 빠른!!  실시간 조황

감성돔(실시간 흘림) 4짜 4짜급 굵은놈들~한방 팅~젠틀호(9일 예약)

거제젠틀호 1 36 2일전
거제도 릴찌낚시 전문 출조점 젠틀호 한선장입니다.
안정적인 물때에 맞추어 진입한 겨울 대물터 어초여밭 포인트, 새벽 동이트기
시작하면서 덤벼든 강력한 파워에 불감당한 사이즈 한수는 버티다 벗겨졌고,
다시 덤빈 입질에 빵 좋은 감성돔 4짜와 4짜급들 마리수를 본격 시작해 봅니다.
이제 힘이 정말 달라진 것 같습니다. 챔질이후, 어느 사이즈가 붙힐지 궁금할
정도~ 강력한 녀석은 튼튼한 채비로 공략하고, 수심 측정 자주 하시길~
주말까지 좋은 물떄구간으로 기대됩니다.

9일(화요일) 거제도 어초/여밭 감성돔 흘림낚시 예약가능합니다.
쭉~ 감성돔들이 활동하기 적합한 황금 물때가 이어지기에
손맛 즐기러 오셔도 좋을 듯 합니다~

9일(화) 12물(06명 자리) 거제도 어초 여밭 감성돔 흘림낚시  "예약 가능"
10일(수) 13물(06명 자리) 거제도 어초 여밭 감성돔 흘림낚시  "예약 가능"
11일(목) 예약완료 감사합니다~
14일(일) 예약완료 감사합니다~

▣ 젠틀호 예약문의 ☎ 010-8949-4045
(찾아 오시는 길) 거제시 거제면 서정리 773-14
▣ 젠틀호 밴드 :  https://band.us/@gentlefishing
0

좋은 글이라고 생각되시면 "추천(좋아요)"을 눌러주세요!


, , , , , , , , , , , , , , , , , , , , , , , , , , , , , , , , , , , , ,

  • 페이스북으로 보내기
  • 트위터로 보내기
  • 구글플러스로 보내기
  • 카카오스토리로 보내기
  • 네이버밴드로 보내기
  • 네이버로 보내기
  • 텀블러로 보내기
  • 핀터레스트로 보내기
1 댓글
거제젠틀호 25-12-08 09:17 0  
9일 거제도 어초여밭 감성돔낚시 예약 가능합니다. 감사합니다.
 
b_hot_innakmall_200x80_240307.jpg b_hot_nios_200x80.gif b_hot_ggsusan_hongeu_160x100.gif b_hot_innakmall_200x80_211203.gif
포토 제목
 

인낚 최신글


인낚 최신댓글


온라인 문의 안내


월~금 : 9:00 ~ 18:00
토/일/공휴일 휴무
점심시간 : 12:00 ~ 13:00