(실시간)감성돔 4짜 이하 마릿수 폭격~거제대어1호(8일 예약)

신상품 소개


회원 랭킹


공지사항


NaverBand
점주/선장 > 가장 빠른!!  실시간 조황

(실시간)감성돔 4짜 이하 마릿수 폭격~거제대어1호(8일 예약)

거제대어1호 0 58 2025.11.07 10:04
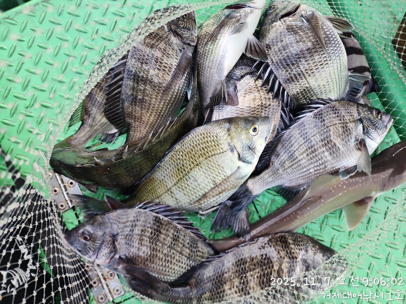
거제대어낚시1호 어초, 여밭 감성돔 흘림낚시 조황입니다.
어초여밭 제법 빠른 조류이지만 꾸준히 들어간 밑밥에 녀석들의
반응이 이어집니다 꾹~꾹~ 당찬 손맛에 조류까지 합쳐서 막강한
손맛을 선사하는 녀석들 덕분에 조사님들 손길이 바빠지시네요
4짜 이하급으로 마릿수 손맛 즐기고 있습니다.
남은 시간 대물을 노리며 집중해보겠습니다. 내일 예약 가능합니다

내일, 8일(토요일) 내만 감성돔낚시와 선외기 대여 예약 가능합니다

▣ 거제대어낚시 감성돔/돌문어/선외기대여 일정 안내 ▣
※ 낚시 힐링은 "거제대어낚시"에서 낚시배+숙박까지 한방에 해결~
☆11월 8일(토)먼바다 참돔 내만 감성돔낚시 선외기대여 "예약가능"
☆11월 9일(일)먼바다 참돔 내만 감성돔낚시 선외기대여 "예약가능"
☆11월 10일(월)먼바다 참돔 내만 감성돔낚시 선외기대여 "예약가능"
☆11월 11일(화)먼바다 참돔 내만 감성돔낚시 선외기대여 "예약가능"
※ 좋은 포인트 선정을 위해 예약을 미리미리 서둘러 주십시요.

거제대어낚시 선상낚시 예약(독채 민박 운영)
문의 ☎ 010-6400-2082 / ☎ 010-454-3937
ㅁ선외기 예약: ☎ 010-6400-2082
■ 밴드: https://band.us/@geojdaeeofishing
0

좋은 글이라고 생각되시면 "추천(좋아요)"을 눌러주세요!


, , , , , , , , , , , , , , , , , , , , , , , , , , , , , , , , , , , , , , , , , ,

  • 페이스북으로 보내기
  • 트위터로 보내기
  • 구글플러스로 보내기
  • 카카오스토리로 보내기
  • 네이버밴드로 보내기
  • 네이버로 보내기
  • 텀블러로 보내기
  • 핀터레스트로 보내기
0 댓글
 
포토 제목
 

인낚 최신글


인낚 최신댓글


온라인 문의 안내


월~금 : 9:00 ~ 18:00
토/일/공휴일 휴무
점심시간 : 12:00 ~ 13:00