(감성돔)실시간 마릿수 폭격~4짜급들 타작 中 거제대어1GH(10일 예약)

신상품 소개


회원 랭킹


공지사항


NaverBand
점주/선장 > 가장 빠른!!  실시간 조황

(감성돔)실시간 마릿수 폭격~4짜급들 타작 中 거제대어1GH(10일 예약)

거제대어1호 0 57 2025.11.09 09:39
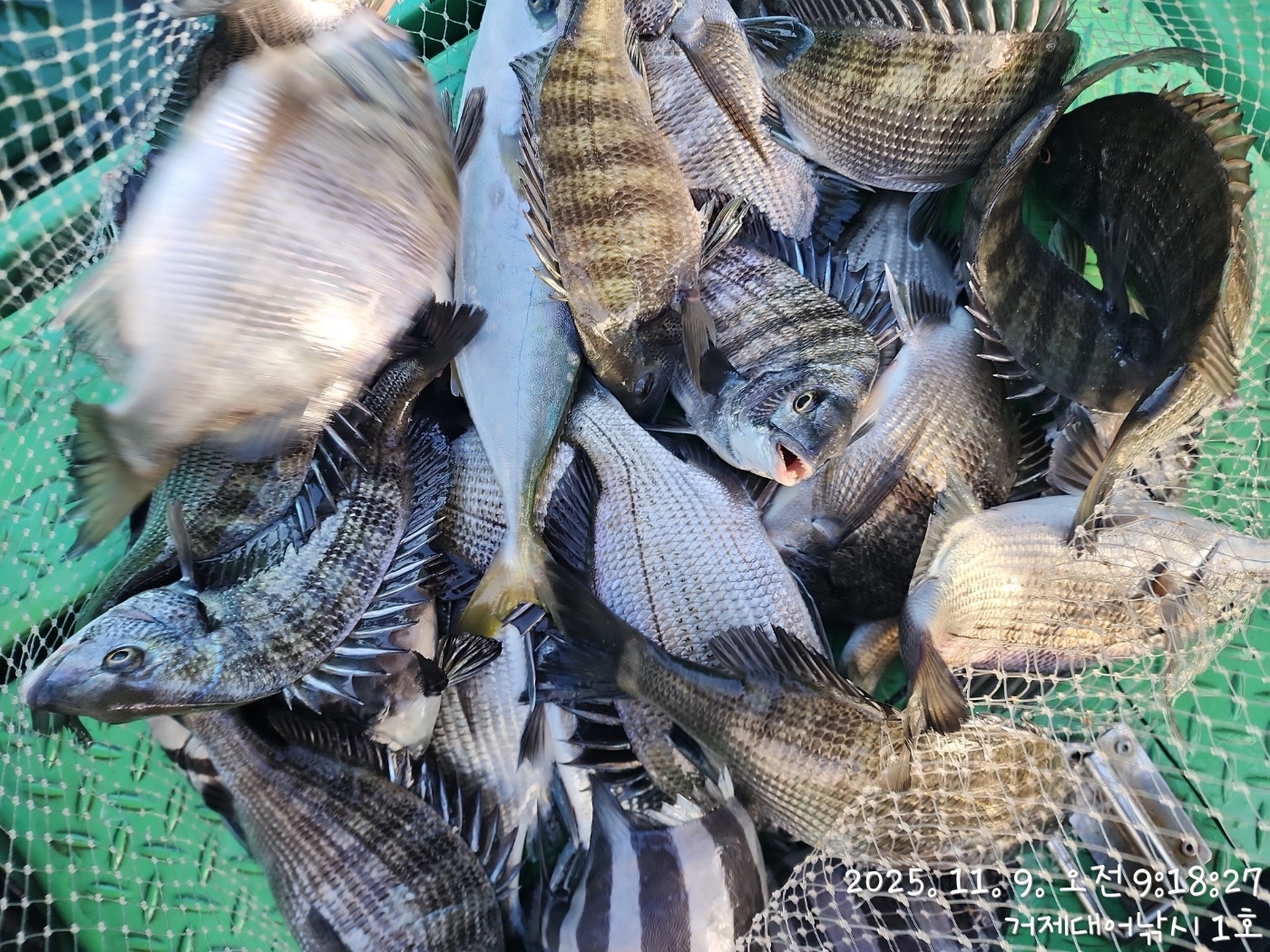
거제대어낚시1호 어초, 여밭 감성돔 흘림낚시 조황입니다.
어초여밭 쏟아지는 감성돔의 입질에 쉴 틈 없이 랜딩이 이어지고있고
터지고 빠지는 놈들도 많지만 다시 던지면 물어주는 녀석들의 화끈한
입질에 조사님들 손길이 바빠집니다. 꾸준히 들어간 밑밥에 상당한
개체수가 집어된 듯 보이니 남은 시간 마릿수 대박을 노리며 집중해
보겠습니다. 내일부터 쭉~ 예약 가능하니 연락주십시오

내일, 10일(월요일) 내만 감성돔낚시와 선외기 대여 예약 가능합니다

▣ 거제대어낚시 감성돔/돌문어/선외기대여 일정 안내 ▣
※ 낚시 힐링은 "거제대어낚시"에서 낚시배+숙박까지 한방에 해결
☆10일(월)먼바다 참돔 내만 감성돔낚시 선외기대여 "예약가능
☆11일(화)먼바다 참돔 내만 감성돔낚시 선외기대여 "예약가능
☆12일(수)먼바다 참돔 내만 감성돔낚시 선외기대여 "예약가능
☆13일(목)먼바다 참돔 내만 감성돔낚시 선외기대여 "예약가능
☆14일(금)먼바다 참돔 내만 감성돔낚시 선외기대여 "예약가능

거제대어낚시 선상낚시 예약(독채 민박 운영)
문의 ☎ 010-6400-2082 / ☎ 010-454-3937
ㅁ선외기 예약: ☎ 010-6400-2082
■ 밴드: https://band.us/@geojdaeeofishing
0

좋은 글이라고 생각되시면 "추천(좋아요)"을 눌러주세요!


, , , , , , , , , , , , , , , , , , , , , , , , , , , , , , , , , , , , , , , , , ,

  • 페이스북으로 보내기
  • 트위터로 보내기
  • 구글플러스로 보내기
  • 카카오스토리로 보내기
  • 네이버밴드로 보내기
  • 네이버로 보내기
  • 텀블러로 보내기
  • 핀터레스트로 보내기
0 댓글
 
포토 제목
 

인낚 최신글


인낚 최신댓글


온라인 문의 안내


월~금 : 9:00 ~ 18:00
토/일/공휴일 휴무
점심시간 : 12:00 ~ 13:00