히트다히트 《감성돔》중지급 손맛진행중~
인낚ㅣ인터넷바다낚시
어종별선상
어종별갯바위
낚시인조황
점주선장조황
출조정보
낚시광장
낚시지식인
낚시교실
중고장터
휴게실
인낚도서관
인낚몰
0
홈
어종별선상
어종별갯바위
낚시인조황
점주선장조황
출조정보
낚시광장
낚시지식인
낚시교실
중고장터
휴게실
인낚도서관
인낚몰
어종별선상
어종별갯바위
낚시인조황
점주선장조황
출조정보
낚시광장
낚시지식인
낚시교실
중고장터
휴게실
인낚도서관
인낚몰
어종별선상
어종별 선상조황
4대돔 조황
먹물 조황
갈치 조황
볼락&전갱이
빅게임 지깅&파핑
외줄&외수질
기타 어종
어종별 갯바위조황
4대돔 조황
먹물 조황
갈치 조황
볼락&전갱이
농어&삼치&방어&부시리
기타 어종
어종별갯바위
어종별 선상조황
4대돔 조황
먹물 조황
갈치 조황
볼락&전갱이
빅게임 지깅&파핑
외줄&외수질
기타 어종
어종별 갯바위조황
4대돔 조황
먹물 조황
갈치 조황
볼락&전갱이
농어&삼치&방어&부시리
기타 어종
낚시인조황
낚시인 번개조황
낚시인조행기
스탭조행기
우리낚시동호회이야기
전국낚시동호회소개
동호회갤러리
지난 조황자료보기(년도별 조황 자료)
점주선장조황
전국 실시간 조황
선상(배)+좌대 조황
갯바위+방파제 조황
점주선장전용 공지사항
지난 조황자료보기(년도별 조황 자료)
출조정보
낚시인동행출조
점주선장 갯바위 출조
점주선장 선상출조
기상파고정보(기상청)
해상예보
물때표
파고예보(일본)
실시간해양관측예보
스마트조석예보
낚시광장
낚시계뉴스
대회 및 낚시관련 홍보
제품평가단
신상품소개
낚시지식인
Q&A 묻고 답하기
지식인 베스트
조황/포인트 문의
낚시용품 사용기
낚시투표
토론방
新어류도감
낚시교실
낚시기법소개
어종별 낚시교실
입문자교실
중급자교실
낚시용어사전
중고장터
중고장터 이용후기
더치트 사기피해 검색
팝니다
삽니다
교환합시다
무료로 드립니다
부품팝니다
부품삽니다
일반 생활용품 사고 팔기
휴게실
출석부
낚시갤러리
세상사는 이야기(자유게시판)
낚시이야기 마당
먹고사는 이야기
구인구직
칭찬합니다
어째이런일이
습득물 찾기
인낚도서관
인낚 유튜브
인낚 칼럼
블루, 그것이 알고싶다
더블테일의 두 눈으로 보는 세상
입질의추억의 피싱다이어리
나無의 바다 이야기
전문강좌
海巖의 바다낚시 이야기
이성규의 전유동낚시 강좌
조성민의 금요루어클럽
인낚몰
홈소개
공지사항
자주 묻는 질문
운영진에게
광고/제휴문의
로그인
자동로그인
회원가입
|
정보찾기
점주선장조황
전국 실시간 조황
선상(배)+좌대 조황
갯바위+방파제 조황
점주선장전용 공지사항
지난 조황자료보기(년도별 조황 자료)
신상품 소개
긱스 나노에이스
낚시고 미장구레 VIP 대본류 벵에돔 파우더
낚시고 위력 벵에돔 파우더
천류 카모 피싱백
천류 레자 피싱백
zzis 찌스 전자기울찌 호리존탈 전유동전용 출시!
회원 랭킹
38
1
목줄은내꺼
29
2
대부도1
22
3
울트
20
4
잡어바글바글
20
5
오사마리
18
6
마루미르
16
7
배팡
13
8
벵병
13
9
상석바위
12
10
시작하는채비와장비
12
11
로그온
12
12
쌍칼라
11
13
리치망고제주
11
14
앵그리정
11
15
bk2
11
16
거제그놈
10
17
꿈의사냥5짜
10
18
삼정그린토아
9
19
군산감생킬러
9
20
sss1185
8
21
숲공
8
22
타짜감시
8
23
수려한
8
24
퓨나인
8
25
민쓰
8
26
사하주민
8
27
Nike1972
8
28
감성돔대장
8
29
취한다
8
30
김갈치
8
31
육짜방생
8
32
내만벵에
8
33
굼낚시왕
7
34
3짜이하방생
7
35
4계절벵에
7
36
최리무진
7
37
검은바다
7
38
젠틀낚시
7
39
헤리티지
7
40
모카사랑해
7
41
갯바위감성
7
42
영종도청이
7
43
방어지코
7
44
삐까리절친
7
45
히히히히히홀
7
46
벵에저격수ㅋㅋ
6
47
울산동구27
6
48
동해살감시
6
49
어릴적꿈
6
50
대물헌트
6
51
볼카짱짱짱
6
52
보이는게다야
6
53
감시밥줄
6
54
촌놈남해
6
55
부산그녀석
6
56
여수태평양전동릴
6
57
아빠어부야
6
58
경남미디어
6
59
블루피싱호
6
60
여조사
6
61
연산동아톰
5
62
감시마을
5
63
쌩기똥기
5
64
한번만쮸
5
65
신용대
5
66
작대기들고
5
67
집나간넷째
5
68
대발22
5
69
분당이조사
5
70
감성사자
5
71
제롬느벤너
5
72
로드피셔
5
73
치악산돼지
5
74
깝뱅
5
75
헤리포타2
5
76
김오키
5
77
쌈싸미
5
78
깡냉이강
5
79
새조개
5
80
시간금방금방
5
81
시간없어이것들아
5
82
구태2
5
83
불꽃버디
5
84
플레져
4
85
물멍r
4
86
김감시
4
87
마구자비조
4
88
2vs0
4
89
쏘렝이
4
90
남해강바다호
4
91
바다의귀공자™
4
92
닥발
4
93
창원GT
4
94
G3매니아
4
95
벵에만한다
4
96
소방관낚시꾼
4
97
별공간
4
98
나라스카이2.5
4
99
긴꼬리망상돔
4
100
개꽝도사
공지사항
09.01
★ 2025년 9월 5일 사이트 리뉴얼 오픈 안내
06.09
★ "Connect Error: No such file or directory" 에러가 발생시
05.29
★ 카이퍼넷 방화벽 차단시 설정방법
07.03
★ 사이트 정상운영 ★ 24.07.03
06.19
★ 사이트 정상운영 ★ 24.06.19
06.17
★ 사이트 정상운영 ★
06.14
★ 서비스 일시정지 - 서버이전작업 ★
07.14
★ 112차 제품평가단 위촉 명단 발표
07.07
★ 112차 제품평가단모집 - 1차
11.01
★ 111차 제품평가단 위촉 명단 발표
점주/선장 > 가장 빠른!!
실시간 조황
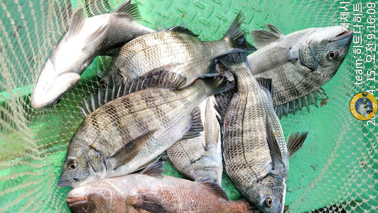
히트다히트 《감성돔》중지급 손맛진행중~
히트다HIT
거제
0
138
2021.04.15 09:24
네임
카드
팀히트다히트1호더히트호
실시간 예약
홈페이지
밴드 바로가기
유튜브/SNS
#히트다히트 #중치급 #감성돔
갑자기 가을이 왔나요??^^
중치급들로 손맛진행중입니다.
고기같은거 한놈 똬악!!쪼아보것습니다.
히트다히트 실시간입니다
김선장 010-4165-5368
0
좋은 글이라고 생각되시면 "추천(좋아요)"을 눌러주세요!
게시물 신고
목록
0
댓글
로그인한 회원만 댓글 등록이 가능합니다.
×
Image Upload
로그인한 회원만 등록가능합니다.
목록
번호
포토
제목
이름
날짜
게시물이 없습니다.
초기화
날짜순
조회순
검색
Search
검색대상
제목
내용
제목+내용
회원아이디
회원아이디(코)
글쓴이
글쓴이(코)
또는
그리고
검색어
필수
검색
닫기
인낚 최신글
06:43
[17일왕오징어]제대로터졌다!! 팔뚝으로마릿수폭발~!!! 오늘예약가능!! 토/일 자리널널합니다~
+1
06:43
터트림속51감성돔~(일욜 밤뽈병행출조01시-14시)
06:41
16조황>> 야간볼락 쿨러조황~굿~!(일 오후5시)
06:27
뉴은빛나래호 미쳤다 대포급 왕오징어 초저녁부터 먹물 폭격 한마리 한마리가 대물급 왕오징어 살이 꽉찼습니다(번출가능)
06:23
14석보성3호 드디어 왕 오징어가 터져 나옵니다~~오늘긴급 자리여유 3시까지오세요
06:21
뽈 스타 ! 전원 미소짓게 하고돌아 왔습니다^^
06:20
일.월.초도.거문도 출조 합니다.
06:14
은빛나래호 대갈치 대포동 왕오징어 병행 오징어는 새벽타임 부터 철수할때까지 거의 피딩급으로 퍽퍽(병행및 오징어단독 예약가능)
05:51
뉴 태진호 갈치@왕오징어.열기 조황!!!!( 오후1시 출항)!!!!
05:51
뉴 태진호 갈치@왕오징어.열기 조황!!!!( 오후1시 출항)!!!!
05:50
통영세린호 1/17일 먼바다 곰발바닥 왕열기 4탄
05:42
4짜 후반들 감성돔.전갱이 조항 입니다.
05:31
열기 볼락)오늘은 홍도산 왕열기 쿨러조황(오늘 토요일 예약가능합니다)
05:31
오늘(토요일)밤11시"사수도,여서,추자권 왕열기,우럭 출조합니다
04:56
뉴새바다호 신발짝 왕열기 쿨러조황입니다
04:56
씨알이 띁장이네여 ^^ 겨울방어&특2대삼치
04:39
2026.1.16(금)#여수뉴포시즌호_먼바다갑오징어조황
04:38
포항 왕열기.볼학 씨알좋은 곳으로 들어갑니다
04:29
욕지권,밤볼락 완전살아났고..4짜감성돔까지...
04:27
통영현대레저)카고,흘림 감성돔 마릿수조황
04:01
월요일/초도권역 새벽출조 합니다!
03:42
[VIP 광명호] 새해 첫 출조~ 다잡아 조황~~ -- 18일(일), 20일(화) - 자리 여유 --
03:40
1월16일 야간볼락조황입니다
03:40
원전항)왕쭈꾸미 내일 토요일,일요일 손맛보러 함께 가시죠~
02:35
욕지권 4짜 감성돔 외 밤 뽈조황...!
02:32
볼루! 연화도!
02:29
금욜 낙지 쭉 쭉~토요일 출조확정 (예약중5만원)
02:23
금요일은 왕오징어가 쭉~쭉 올라옵니다 일요일 예약중입니다
02:23
금요일은 왕오징어가 쭉~쭉 올라옵니다 일요일 예약중입니다
02:13
돌섬닷컴호 호래기!
02:02
구레. F. 125-53
01:33
15트윈파워 SW 4000번 릴판매
01:31
가마가츠 레인슈트 vs 고어텍스
01:02
델가드1-530삽니다
00:37
밤볼락 실시간 1/16
00:17
[[척포은성호]]4짜 감성돔 마리수 조황~~
01.16
그랜드마스터 1-500
01.16
팔뚝만한왕오징어~토요일/일요일~예약가능합니다
01.16
[야간낙지] 씨알 미쳤다! (토요일,예약가능합니다)
01.16
15일<야간 낙지>길쭉길쭉 랜덤 힛트!!일요일 예약가능
01.16
15일 야간낙지 굵직굵직 사이즈 최고~!!롱다리 쭉쭉~!!(토요일 한자리 가능)
01.16
고성드래곤 어초 감시흘림 4짜외마리수 일욜 자리여유
01.16
16일 원도권돌문어 여기저기 히트히트~( 월요일예약중
01.16
가마가츠 알데나 구매합니다
01.16
하이퍼포스 아시아에디션 구매합니다
01.16
파이어블러드 rt-112t 낚시복 삽니다
01.16
낚시대수리업체…
01.16
금욜 대삼치 입항 조황.. 일욜 9시출조 모집중입니다.
01.16
<<김해 새장유낚시 해남 슈퍼왕열기 출조에약중!! 주말 평일 예약가능!!문의 010-4381-3171>>
01.16
야간낙지출항 왕낙지~토요일 예약됩니다
인낚 최신댓글
06:44
일요일(18일)은 01시출항 밤뽈락 & 감성돔 멀티 타깃 으로 출항 합니다 감성돔만 계속하셔도 되고 해뜨기전…
03:27
신형 멀티 h 로 가시지요~~~ 쓰임새많고 경쾌하고 빳빳합니다 ㅎㅎ 마스터 둘다 안써지네요 요즘은
01.16
저는 무조건 메이호 입맛대로 고르시면됩니다^^
01.16
해동조구 지트락 멀티박스 크기별로 있고 내구성도 좋습니다
01.16
시마노뜰채도 평이 참 좋은거같은데 세줄의 안도감?때문에 ㅎㅎ 후기 감사합니다 ^^
01.16
550추천감사합니다. 하긴 지금도 630보다 vip 50을 더많이 사용하고있네요.
01.16
MST 분홍색 봉돌케이스 벵에용1 감시용1 사용중입니다. 핀온릴 장착한채로 주머니 넣어서 쓰기 좋습니다.
01.16
날씨가 너무 추웟는데 고생햇네요
01.16
월요일부터 예약가능 합니다 감사합니다
01.16
내일 예약가능 합니다
01.16
배가 작을수록 멀미는 심합니다 ~~
01.16
18일(일) 주간열기낚시 예약가능합니다. 06시까지 오시면 자리추첨후 출조합니다.
01.16
저는 쯔리겐 TG 이게 젤 낫더군요. 비슷한 메이호 도 사용을 해봤는데 닫히는 느낌도 접히는 느낌도 쯔리겐이…
01.16
17일(토) 낮열기낚시 예약가능합니다. 06시까지 오시면 자리추첨후 출조합니다.
01.16
얼마나 심한 정도인지는 모르겠으나 멀미약 드시고도 극복이 안되는 정도(?)라서 그러시는 것 같은데요 여하튼 …
01.16
걍 구태m
01.16
저도 오니가케 제품 두개사서 하나는 벵에용. 하나는 감성돔용으로 셋팅해서 다닙니다. 단첨이 꽉 안닫히는 경우…
01.16
제가 사용중인 하야부사 오니가케 소품통이 제일 쓸만했습니다. 저도 이것저것 사용하다 요제품으로 정착했습니다 …
01.16
한성낚십니다 일요일 예약가능합니다 자리여유많습니다 055 544 0893 감사합니다
01.16
결국에 둘다 사는 ~~~ 경지에 가실듯 합니다
01.16
저의 가마가츠 낚시대는 이염이 더 심합니다 ~~ 그래서 전 낚시 브랜드 제품을 신롸 안합니다 전부 중국산 수…
01.16
저도 h650 가지고 있는데 대물은 고사하고 감시 벵어만 잡으로 다니니~~ 너무 오버 스펙입니다 집에 있는 …
01.16
주로 다니시는 필드가 거제 매물도권 아니면 대마도 이신거같은데, 550 추천드립니다. 550이면 사실 뜰채기…
01.16
정성스런 답변 감사합니다
01.16
좋은 조언 감사합니다
01.16
장승포 대성낚시 가끔 이용중입니다. 원래 갯바위 다닐 때 애용하던 곳인데, 요새는 감성돔 시즌에는 선상 낚시…
01.16
구글스토어에서 시티즌코난 앱 다운받아서 까시고 검사한번 돌리시는걸 추천합니다
01.16
납 전지는 저렴하잖아요.^^
01.15
검색해보께요 감사합니다
01.15
12월 다녀왔을때 시즌답게 1타1피로 엄청잡았습니다. (넷이서 2박3일 선상갯바위 합쳐 약 70~80마리?될…
01.15
바때리 리필은 태극전기 아임니까..!!! 태극전기에 문의 해보세요!!!
01.15
바때리를 때 내면 옆에 스펙이 적혀 있습니다.. 동일 모델 바때리 구매 하시면 됩니다
01.15
감당 못 할 큰 넘이 물고 늘어지면 어떡하나, 그런 걱정은 안 하셔도 됩니다. 선상이라도 그런 일은 거의 없…
01.15
실감나는 조행기 잘보고갑니다. 쓰레기 청소도 잘하시고~ 멋지십니다^^
01.15
부산 사시면 놀기삼아 깡통시장 가보시소~~~
01.15
정상 입니다
01.15
내일(금) 주간열기낚시 예약가능합니다. 06시까지 오시면 자리추첨후 출조합니다.
01.15
16일(금) 내일 3자리 여유 있습니다^___^
01.15
저도 찜찜해서 몇날몇일 인낚 접속하다 금단현상와서 설치했다가 은행어플 들어가니 지우라고 뜨길래 지웠습니다 지…
01.15
예약 가능합니다 !
01.15
금ㆍ토ㆍ일요일 감성돔 예약 가능합니다
01.15
16일(금) 1명예약중 17일(토) 2명예약중 18일(일) 예약완료. 감사합니다.
01.15
내일예약가능 합니다
01.15
한성낚십니다 내일예약가능합니다 자리여유많습니다 토요일, 일요일 예약가능합니다 자리여유많습니다 055 544 …
01.15
사장님 진심 좋으세요
01.15
낼 예약가능 합니다
01.15
내일 주간열기낚시 예약가능합니다. 06시까지 오시면 자리추첨후 출조합니다.
01.15
저렇게되면 캐스팅시 레버에 걸리는현상 종종있지않나요?
01.14
16일(금) 주간열기낚시 예약가능합니다. 06시까지 오시면 자리추첨후 출조합니다.
01.14
직구가 가장 속편할겁니다. 3통에 5만원 미만. 기간 일주일정도. 급하시면 국산 노량도 괜찮아요. 노량은 파…
온라인 문의 안내
*운영진에게 문의
*광고/제휴 문의
월~금 : 9:00 ~ 18:00
토/일/공휴일 휴무
점심시간 : 12:00 ~ 13:00
인낚몰 초특가
MAEK 맥 호래기 대바늘 호래기콕 J타입 (카본바디 2입)
어부공방 NEW 호래전
야마시타 SB 호래기 대바늘
★3,000★ 하야부사 6단 볼락 전갱이 카드채비 SD724 볼락채비
★1,000★볼락낚시에 최적인 메바트로볼 - 캐스팅볼, 메바볼
★13,000~★3NO 일본 오리지날 직수입 극강 멀티 무광 마크사 원줄
★500★ W쿠션 멀티 수중찌 M L - 전유동 반유동 끄심바리 필수품 수중쿠션
★5,900★ 여러개 있으면 아주 좋은 EVA 시스템 백
★ 1+1 플로팅, 세미, 카본 낚시줄 행사 호수선택가능 / 택상 1+1 원줄, 목줄 행사
★6,000★ 예민함의 끝판왕 애니원찌 벵에돔찌 학공치찌
★15,000★ 오동목 구멍찌 5개 + 메쉬 찌케이스 세트
★22만원★ 40W 집어등을 이 가격에!