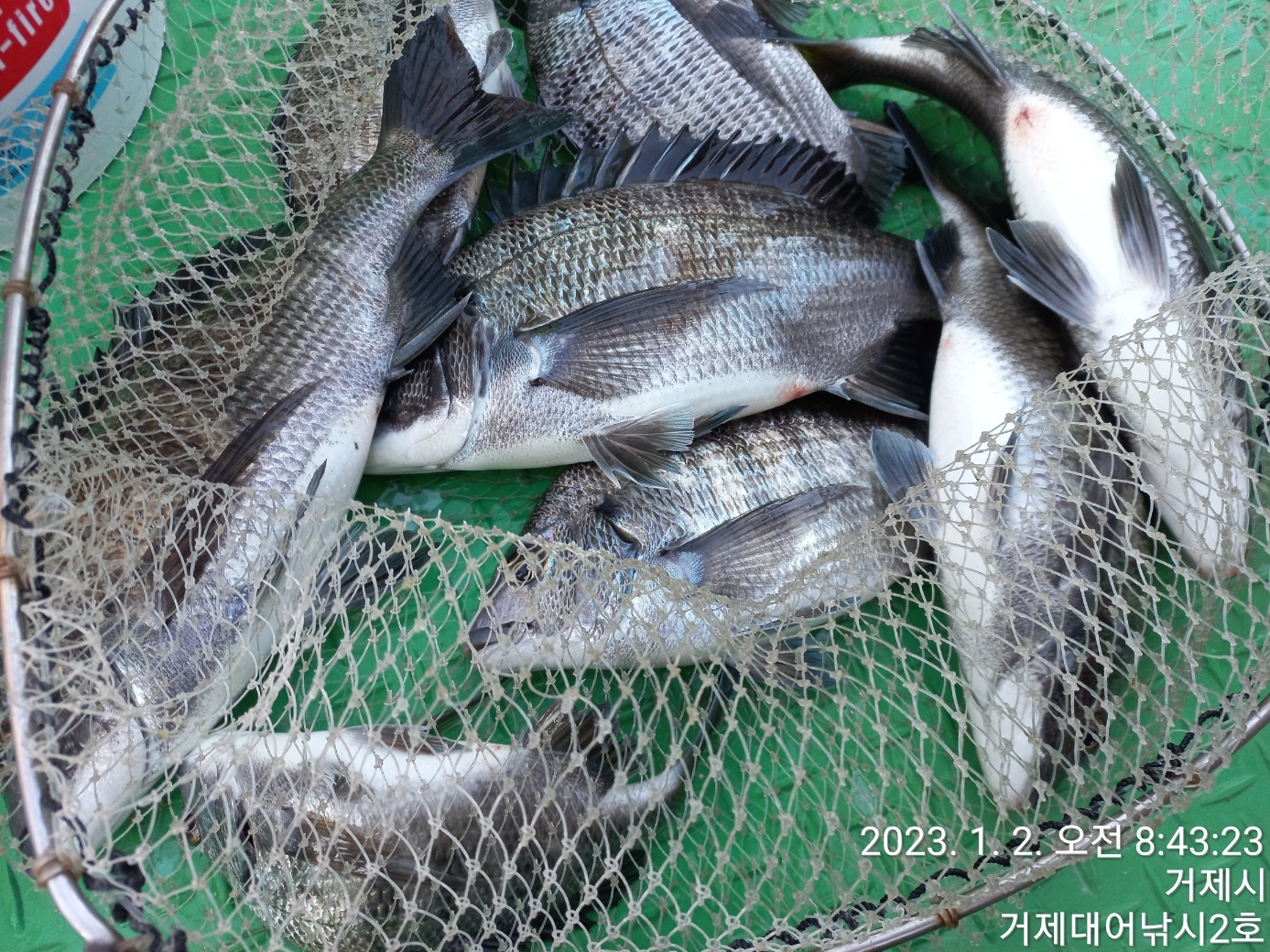
(감성돔) 실시간 4짜~3짜들 퍽~퍽 마리수로 손맛중

신상품 소개


회원 랭킹


공지사항


NaverBand
점주/선장 > 가장 빠른!!  실시간 조황

(감성돔) 실시간 4짜~3짜들 퍽~퍽 마리수로 손맛중

거제대어낚시2호 0 82 2023.01.02 09:47
감성돔 실시간 소식
4짜~3짜들 마리수로 퍽~퍽 손맛중 입니다
터지고 빠지는 녀석들도 있지만
남은시간 집중해보겠습니다
내일도 감성돔 출조합니다
예약가능합니다

☎예약문의☎

ㅁ선상낚시 (민박) 문의 : ☎ 010-6400-2082 / ☎010-4547-3937

ㅁ선외기 문의 : ☎ 010-6400-2082


거제 대어낚시 입니다.
1~8선단을 운영하고 있으며 거제도에서 가장 큰 규모를 자랑합니다.
★단체팀/회사팀/기업팀/동호회팀/선상낚시대회도
가능한 충분한 인원을 수용가능합니다.

■ 감성돔 낚시 (어장/어초/여밭)
한나절: 새벽부터~2시까지/ 10만원
오 전: 새벽부터~11시까지/ 7만원 / 오 후: 1시부터~해거름까지/ 7만원
※독배는 시간 조정 가능합니다.
- 어장어초 등에서 포인트가 이루어지기에 어장줄로 달릴 경우 목줄이나 원줄이
터질 확률이 높아집니다. 목줄 호수를 여유있게 준비하세요.

★★★신분증 꼭 지참해주세요★★★

☎예약문의☎
ㅁ선상낚시 (민박) 문의 : ☎ 010-6400-2082 / ☎010-4547-3937
ㅁ선외기 문의 : ☎ 010-6400-2082
0

좋은 글이라고 생각되시면 "추천(좋아요)"을 눌러주세요!


  • 페이스북으로 보내기
  • 트위터로 보내기
  • 구글플러스로 보내기
  • 카카오스토리로 보내기
  • 네이버밴드로 보내기
  • 네이버로 보내기
  • 텀블러로 보내기
  • 핀터레스트로 보내기
0 댓글
 
포토 제목
게시물이 없습니다.
 

인낚 최신글


인낚 최신댓글


온라인 문의 안내


월~금 : 9:00 ~ 18:00
토/일/공휴일 휴무
점심시간 : 12:00 ~ 13:00