감성돔 4짜외 마릿수 진행중~
01월 27일(화)
인낚 현재접속자
4,681명 (
275
)
공지사항
인낚도서관
점주선장전용 공지사항
로그인
광고/제휴 문의
운영진에게
인낚ㅣ인터넷바다낚시
0
어종별선상
어종별갯바위
낚시인조황
점주선장조황
출조정보
낚시광장
낚시지식인
낚시교실
중고장터
휴게실
인낚도서관
인낚몰
0
어종별선상
4대돔 조황
먹물 조황
갈치 조황
볼락&전갱이
빅게임 지깅&파핑
외줄&외수질
기타 어종
어종별갯바위
4대돔 조황
먹물 조황
갈치 조황
볼락&전갱이
농어&삼치&방어&부시리
기타 어종
낚시인조황
낚시인 번개조황
낚시인조행기
스탭조행기
우리낚시동호회이야기
전국낚시동호회소개
동호회갤러리
지난 조황자료보기(년도별 조황 자료)
점주선장조황
전국 실시간 조황
선상(배)+좌대 조황
갯바위+방파제 조황
점주선장전용 공지사항
지난 조황자료보기(년도별 조황 자료)
출조정보
낚시인동행출조
점주선장 갯바위 출조
점주선장 선상출조
기상파고정보(기상청)
해상예보
물때표
파고예보(일본)
실시간해양관측예보
스마트조석예보
낚시광장
낚시계뉴스
대회 및 낚시관련 홍보
제품평가단
신상품소개
낚시지식인
Q&A 묻고 답하기
지식인 베스트
조황/포인트 문의
낚시용품 사용기
낚시투표
토론방
新어류도감
낚시교실
낚시기법소개
어종별 낚시교실
입문자교실
중급자교실
낚시용어사전
중고장터
중고장터 이용후기
더치트 사기피해 검색
팝니다
삽니다
교환합시다
무료로 드립니다
부품팝니다
부품삽니다
일반 생활용품 사고 팔기
휴게실
출석부
낚시갤러리
세상사는 이야기(자유게시판)
낚시이야기 마당
먹고사는 이야기
구인구직
칭찬합니다
어째이런일이
습득물 찾기
인낚도서관
인낚 유튜브
인낚 칼럼
블루, 그것이 알고싶다
더블테일의 두 눈으로 보는 세상
입질의추억의 피싱다이어리
나無의 바다 이야기
전문강좌
海巖의 바다낚시 이야기
이성규의 전유동낚시 강좌
조성민의 금요루어클럽
메인
어종별선상
어종별갯바위
낚시인조황
점주선장조황
출조정보
낚시광장
낚시지식인
낚시교실
중고장터
휴게실
인낚도서관
인낚몰
0
전국 실시간 조황
선상(배)+좌대 조황
갯바위+방파제 조황
점주선장전용 공지사항
지난 조황자료보기(년도별 조황 자료)
점주/선장 > 가장 빠른!!
실시간 조황
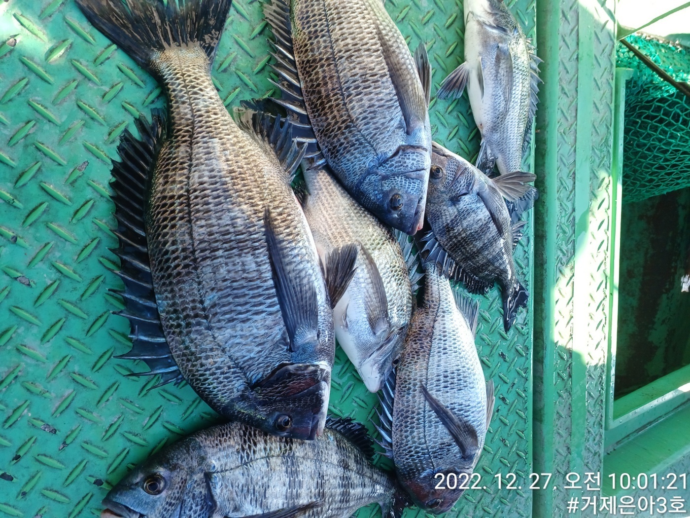
감성돔 4짜외 마릿수 진행중~
거제은아3호
거제
1
74
2022.12.27 10:21
《감성돔》오늘도 사이즈 좋은 감성돔들이 달려들고 있습니다.
남은 시간 즐겨보겠습니다.
★찾아오시는길★
주소 : 거제시 거제면 법동리 536-24(법동휴게소)
거제시 거제면 법동리 626-6
★★★신분증 꼭 지참해주세요★★★
☎예약문의☎
예약전화 : 010-6292-7634
문의전화 : 010-9084-7634
☆은아펜션 운영합니다.☆
거제시 거제면 거제남서로 4234
거제시 거제면 법동리 664-1
0
좋은 글이라고 생각되시면 "추천(좋아요)"을 눌러주세요!
게시물 신고
목록
글쓴이
0
0
Lv.1
거제은아3호
점주선장
969 (9.6%)
안녕하세요 새롭게시작하는 거제은아5호입니다
+1
01.25
《감성돔》4짜외 어초ㆍ여밭에서~
+1
01.18
《감성돔》4짜4짜외 어초ㆍ여밭에서~
+1
11.09
《감성돔》감성돔ㆍ뺀찌 대박 마릿수 진행중~ .
+1
10.09
《감성돔》4짜급까지 마릿수 진행중~ .
+1
10.08
《감성돔》어초ㆍ여밭에서 감성돔ㆍ뺀찌 진행중~
1
댓글
거제은아3호
22-12-27 10:21
0
내일 감성돔 예약 가능합니다
내일 감성돔 예약 가능합니다
댓글 설정
댓글 신고
로그인한 회원만 댓글 등록이 가능합니다.
×
Image Upload
로그인한 회원만 등록가능합니다.
목록
번호
포토
제목
이름
날짜
9734
어초 흘림 실시간소식 ~~~
거제석피싱
139
2022.12.27
거제석피싱
2022.12.27
9733
실시간 감성돔
미금호
138
2022.12.27
미금호
2022.12.27
9732
실시간 감성돔조황~(낼예약가능)
거제건나낚시
140
2022.12.27
거제건나낚시
2022.12.27
9731
스피드)어초 감성돔 조황입니다.실시간
통영스피드낚시
145
2022.12.27
통영스피드낚시
2022.12.27
9730
감성돔 현재
거제인성낚시
162
2022.12.27
거제인성낚시
2022.12.27
9729
1
감성돔 4짜외 마릿수 진행중~
1
거제은아4호
110
2022.12.27
거제은아4호
2022.12.27
열람중
1
감성돔 4짜외 마릿수 진행중~
1
거제은아3호
75
2022.12.27
거제은아3호
2022.12.27
9727
어초.여밭실시간》4짜까지 시원하게 가져 갑니다.
레전드피쉬
139
2022.12.27
레전드피쉬
2022.12.27
9726
(감성돔) 실시간 어초 4짜이하로 손맛중
거제대어낚시2호
78
2022.12.27
거제대어낚시2호
2022.12.27
9725
(감성돔) 실시간 4짜,4짜,3짜후외 대물2방 팅~
거제대어낚시1호
90
2022.12.27
거제대어낚시1호
2022.12.27
초기화
날짜순
조회순
검색
2166
2167
2168
2169
2170
Search
검색대상
제목
내용
제목+내용
회원아이디
회원아이디(코)
글쓴이
글쓴이(코)
또는
그리고
검색어
필수
검색
닫기
인낚몰 초특가
MAEK 맥 호래기 대바늘 호래기콕 J타입 (카본바디 2입)
어부공방 NEW 호래전
야마시타 SB 호래기 대바늘
★3,000★ 하야부사 6단 볼락 전갱이 카드채비 SD724 볼락채비
★1,000★볼락낚시에 최적인 메바트로볼 - 캐스팅볼, 메바볼
★13,000~★3NO 일본 오리지날 직수입 극강 멀티 무광 마크사 원줄
★500★ W쿠션 멀티 수중찌 M L - 전유동 반유동 끄심바리 필수품 수중쿠션
★5,900★ 여러개 있으면 아주 좋은 EVA 시스템 백
★ 1+1 플로팅, 세미, 카본 낚시줄 행사 호수선택가능 / 택상 1+1 원줄, 목줄 행사
★6,000★ 예민함의 끝판왕 애니원찌 벵에돔찌 학공치찌
★15,000★ 오동목 구멍찌 5개 + 메쉬 찌케이스 세트
★22만원★ 40W 집어등을 이 가격에!