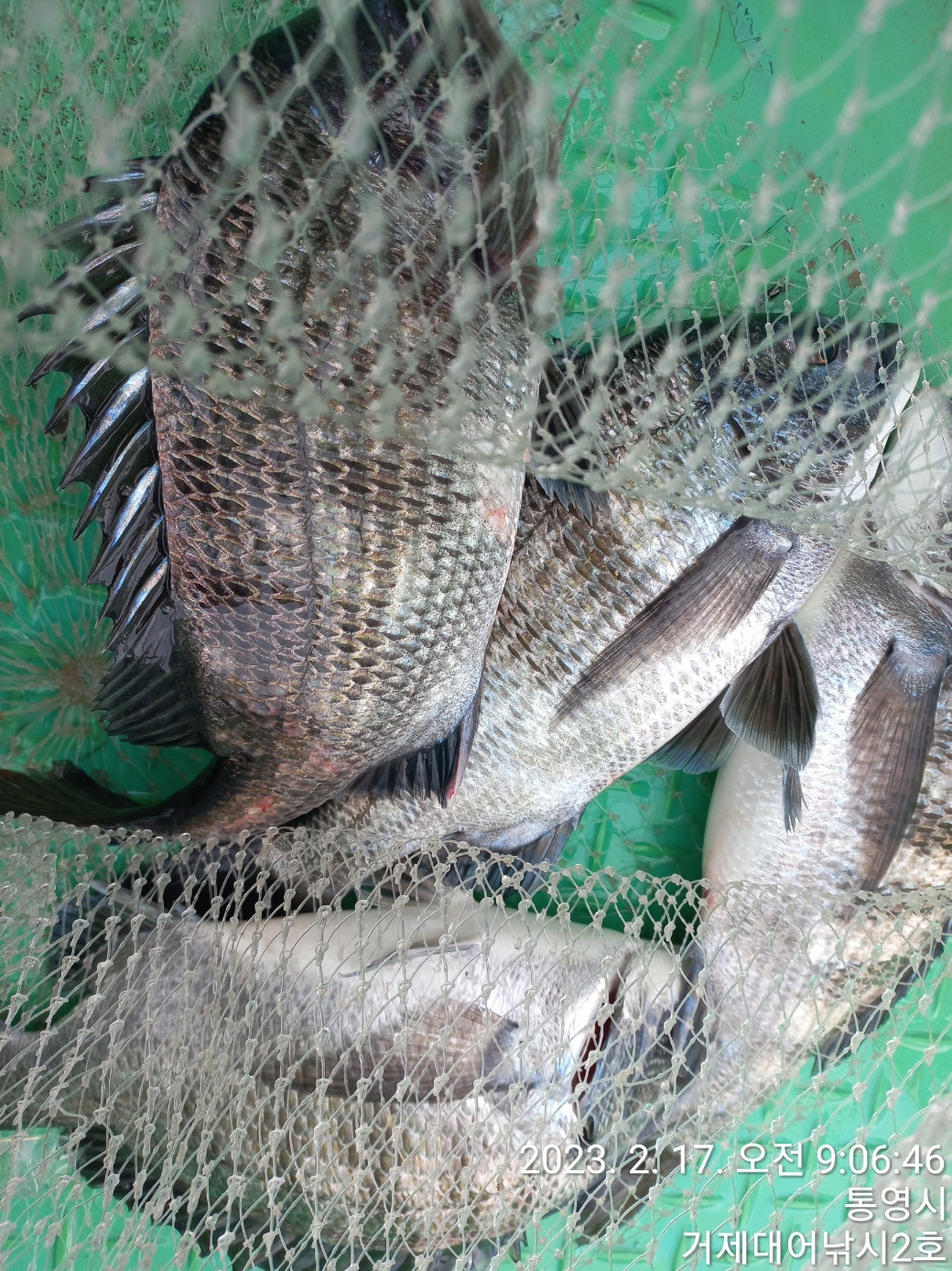
(감성돔) 실시간 4짜,4짜외 중ㅈ디급들 마리수로 손맛중

신상품 소개


회원 랭킹


공지사항


NaverBand
점주/선장 > 가장 빠른!!  실시간 조황

(감성돔) 실시간 4짜,4짜외 중ㅈ디급들 마리수로 손맛중

거제대어낚시2호 0 113 2023.02.17 10:17
감성돔 실시간 소식
4짜,4짜외 중치급들로 손맛중 입니다
남은시간도 집중해보겠습니다

 ☎예약문의☎

ㅁ선상낚시 (민박) 문의 : ☎ 010-6400-2082 / ☎010-4547-3937

ㅁ선외기 문의 : ☎ 010-6400-2082
0

좋은 글이라고 생각되시면 "추천(좋아요)"을 눌러주세요!


  • 페이스북으로 보내기
  • 트위터로 보내기
  • 구글플러스로 보내기
  • 카카오스토리로 보내기
  • 네이버밴드로 보내기
  • 네이버로 보내기
  • 텀블러로 보내기
  • 핀터레스트로 보내기
0 댓글
 
포토 제목
게시물이 없습니다.
 

인낚 최신글


인낚 최신댓글


온라인 문의 안내


월~금 : 9:00 ~ 18:00
토/일/공휴일 휴무
점심시간 : 12:00 ~ 13:00