(감성돔)실시간 퍽 퍽 中 4짜 4짜급들 줄줄이~대어2호(2일 예약)

신상품 소개


회원 랭킹


공지사항


NaverBand
점주/선장 > 가장 빠른!!  실시간 조황

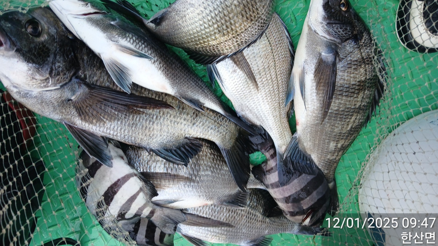
(감성돔)실시간 퍽 퍽 中 4짜 4짜급들 줄줄이~대어2호(2일 예약)

거제대어낚시2호 0 56 9일전
거제대어낚시2호 어초, 여밭 감성돔흘림 조황입니다.
어초여밭권 줄줄줄 좋은 조류 속 채비와 밑밥을 흘리니 특정
구간 집어가 된 듯 감성돔들의 입질이 집중됩니다~ 빵빵한
4짜 외 3짜들로 마릿수 손맛 즐기고 있고 물때에 맞춰 대물
포인트로 이동후 집중해보겠습니다. 내일 예약 가능합니다~

쭉~좋은 물때 구간으로 진입 승율은 더욱더 상승하는 곡선입니다.
12월 2일(화요일) 내일, 감성돔낚시와 선외기 대여 예약 가능합니다.

▣ 거제대어낚시 감성돔/돌문어/선외기대여 일정 안내 ▣
☆12월 2일(화) 어초여밭 감성돔낚시 선외기대여 "예약가능"
☆12월 3일(수) 어초여밭 감성돔낚시 선외기대여 "예약가능"
☆12월 4일(목) 어초여밭 감성돔낚시 선외기대여 "예약가능"
☆12월 5일(금) 어초여밭 감성돔낚시 선외기대여 "예약가능"
☆12월 6일(토) 어초여밭 감성돔낚시 선외기대여 "예약가능"

거제대어낚시 선상낚시 예약(독채 민박 운영)
문의 ☎ 010-6400-2082 / ☎ 010-454-3937
ㅁ선외기 예약: ☎ 010-6400-2082
■ 밴드:  https://band.us/@geojdaeeofishing
0

좋은 글이라고 생각되시면 "추천(좋아요)"을 눌러주세요!


, , , , , , , , , , , , , , , , , , , , , , , , , , , , , , , , , , , , , , , , , ,

  • 페이스북으로 보내기
  • 트위터로 보내기
  • 구글플러스로 보내기
  • 카카오스토리로 보내기
  • 네이버밴드로 보내기
  • 네이버로 보내기
  • 텀블러로 보내기
  • 핀터레스트로 보내기
0 댓글
 
b_hot_innakmall_200x80_240307.jpg b_hot_nios_200x80.gif b_hot_ggsusan_hongeu_160x100.gif b_hot_innakmall_200x80_211203.gif
포토 제목
 

인낚 최신글


인낚 최신댓글


온라인 문의 안내


월~금 : 9:00 ~ 18:00
토/일/공휴일 휴무
점심시간 : 12:00 ~ 13:00