(실시간)터지고 빠지고 4짜 3짜 감성돔 손맛 중 거제대어1호(24일 예약)

신상품 소개


회원 랭킹


공지사항


NaverBand
점주/선장 > 가장 빠른!!  실시간 조황

(실시간)터지고 빠지고 4짜 3짜 감성돔 손맛 중 거제대어1호(24일 예약)

거제대어1호 0 30 2025.11.23 10:06
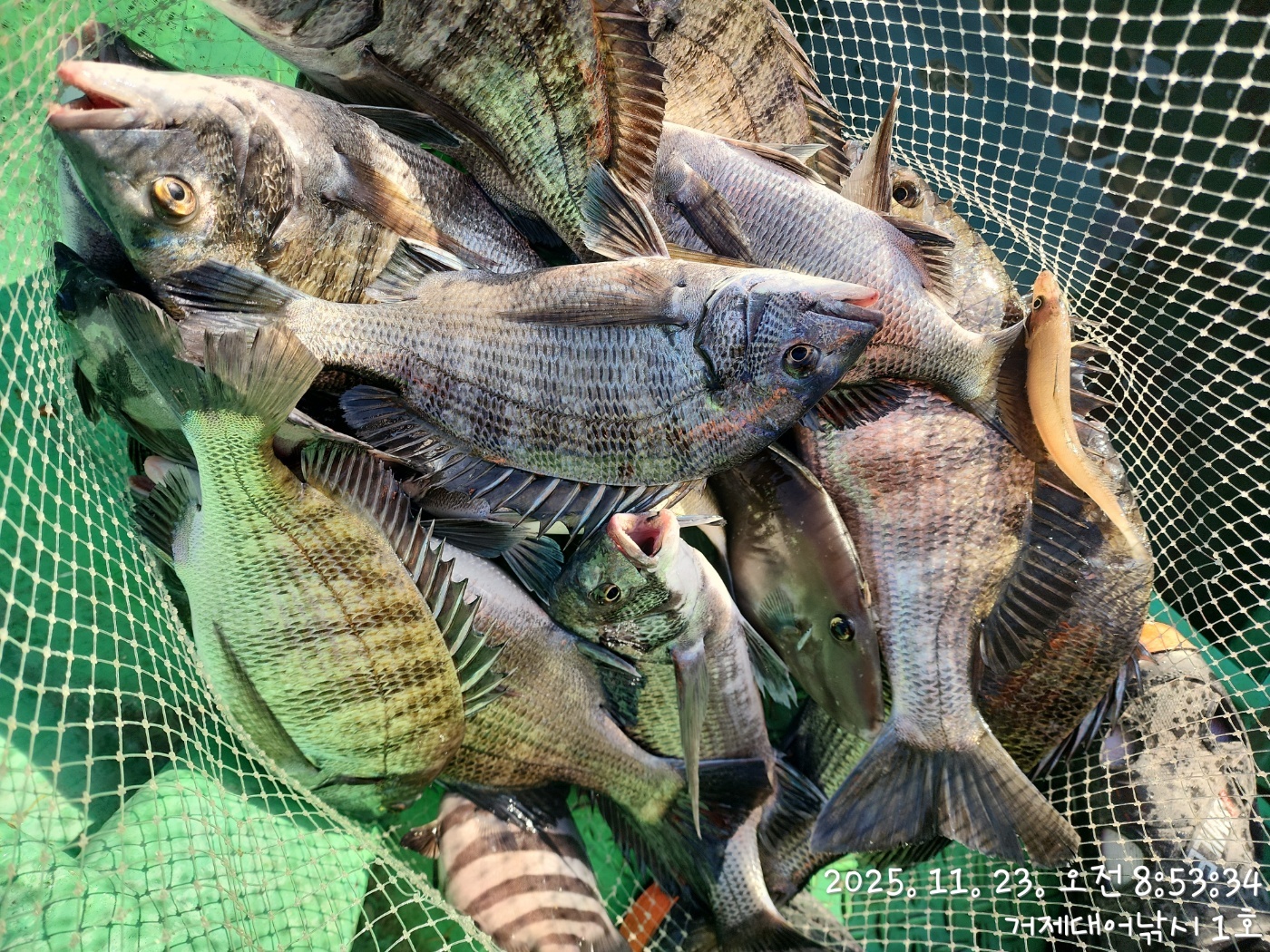
거제대어낚시1호 어초, 여밭 감성돔 흘림 조황입니다.
어초여밭 마릿수 행진 이어가는 중입니다 터지고 빠지고 안타까운
상황도 많았지만 꾸준한 입질에 4짜 3짜들 마릿수로 퍽 퍽 타작
진행중이네요~ 좋은 물때 확률 높은 포인트 실패 없습니다.

쭉~좋은 물때 구간으로 진입 승율은 더욱더 상승하는 곡선입니다.
내일, 24일(월요일) 내만 감성돔낚시와 선외기 대여 예약 가능합니다.

▣ 거제대어낚시 감성돔/돌문어/선외기대여 일정 안내 ▣
※ 낚시 힐링은 "거제대어낚시"에서 낚시배+숙박까지 한방에 해결
☆24일(월) 어초여밭 감성돔낚시 선외기대여 "예약가능
☆25일(화) 어초여밭 감성돔낚시 선외기대여 "예약가능
☆26일(수) 어초여밭 감성돔낚시 선외기대여 "예약가능
☆27일(목) 어초여밭 감성돔낚시 선외기대여 "예약가능
☆28일(금) 어초여밭 감성돔낚시 선외기대여 "예약가능"
☆29일(토) 어초여밭 감성돔낚시 선외기대여 "예약가능
☆30일(일) 어초여밭 감성돔낚시 선외기대여 "예약가능"

거제대어낚시 선상낚시 예약(독채 민박 운영)
문의 ☎ 010-6400-2082 / ☎ 010-454-3937
ㅁ선외기 예약: ☎ 010-6400-2082
■ 밴드: https://band.us/@geojdaeeofishing
0

좋은 글이라고 생각되시면 "추천(좋아요)"을 눌러주세요!


, , , , , , , , , , , , , , , , , , , , , , , , , , , , , , , , , , , , , , , , , ,

  • 페이스북으로 보내기
  • 트위터로 보내기
  • 구글플러스로 보내기
  • 카카오스토리로 보내기
  • 네이버밴드로 보내기
  • 네이버로 보내기
  • 텀블러로 보내기
  • 핀터레스트로 보내기
0 댓글
 
b_hot_innakmall_200x80_240307.jpg b_hot_nios_200x80.gif b_hot_ggsusan_hongeu_160x100.gif b_hot_innakmall_200x80_211203.gif
포토 제목
 

인낚 최신글


인낚 최신댓글


온라인 문의 안내


월~금 : 9:00 ~ 18:00
토/일/공휴일 휴무
점심시간 : 12:00 ~ 13:00