"감성돔"현재
12월 11일(목)
인낚 현재접속자
6,218명 (
337
)
공지사항
인낚도서관
점주선장전용 공지사항
로그인
광고/제휴 문의
운영진에게
인낚ㅣ인터넷바다낚시
인낚몰
0
어종별선상
어종별갯바위
낚시인조황
점주선장조황
출조정보
낚시광장
낚시지식인
낚시교실
중고장터
휴게실
인낚도서관
인낚몰
0
어종별선상
어종별 선상조황
4대돔 조황
먹물 조황
갈치 조황
볼락&전갱이
빅게임 지깅&파핑
외줄&외수질
기타 어종
어종별 갯바위조황
4대돔 조황
먹물 조황
갈치 조황
볼락&전갱이
농어&삼치&방어&부시리
기타 어종
어종별갯바위
어종별 선상조황
4대돔 조황
먹물 조황
갈치 조황
볼락&전갱이
빅게임 지깅&파핑
외줄&외수질
기타 어종
어종별 갯바위조황
4대돔 조황
먹물 조황
갈치 조황
볼락&전갱이
농어&삼치&방어&부시리
기타 어종
낚시인조황
낚시인 번개조황
낚시인조행기
스탭조행기
우리낚시동호회이야기
전국낚시동호회소개
동호회갤러리
지난 조황자료보기(년도별 조황 자료)
점주선장조황
전국 실시간 조황
선상(배)+좌대 조황
갯바위+방파제 조황
점주선장전용 공지사항
지난 조황자료보기(년도별 조황 자료)
출조정보
낚시인동행출조
점주선장 갯바위 출조
점주선장 선상출조
기상파고정보(기상청)
해상예보
물때표
파고예보(일본)
실시간해양관측예보
스마트조석예보
낚시광장
낚시계뉴스
대회 및 낚시관련 홍보
제품평가단
신상품소개
낚시지식인
Q&A 묻고 답하기
조황/포인트 문의
주간 베스트
낚시용품 사용기
낚시투표
토론방
新어류도감
낚시교실
낚시기법소개
어종별 낚시교실
입문자교실
중급자교실
낚시용어사전
중고장터
중고장터 이용후기
더치트 사기피해 검색
팝니다
삽니다
교환합시다
무료로 드립니다
부품팝니다
부품삽니다
일반 생활용품 사고 팔기
휴게실
출석부
낚시갤러리
세상사는 이야기(자유게시판)
낚시이야기 마당
먹고사는 이야기
구인구직
칭찬합니다
어째이런일이
습득물 찾기
메인
어종별선상
어종별갯바위
낚시인조황
점주선장조황
출조정보
낚시광장
낚시지식인
낚시교실
중고장터
휴게실
0
전국 실시간 조황
선상(배)+좌대 조황
갯바위+방파제 조황
점주선장전용 공지사항
지난 조황자료보기(년도별 조황 자료)
점주/선장 > 가장 빠른!!
실시간 조황
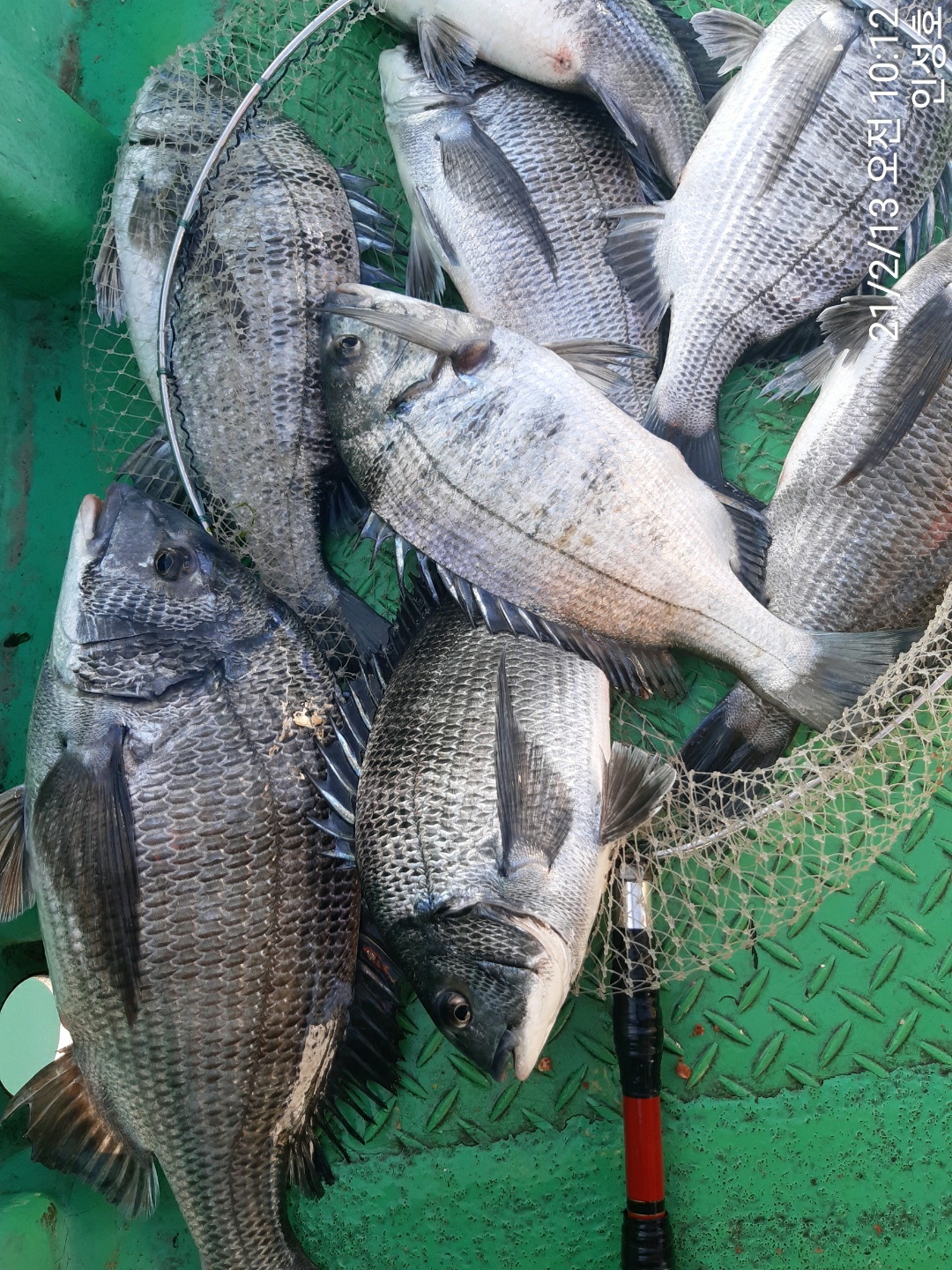
"감성돔"현재
거제인성낚시
거제
0
436
2021.02.13 11:13
네임
카드
거제인성낚시
실시간 예약
홈페이지
밴드 바로가기
유튜브/SNS
좋은날씨에
카고1마리
흘림다수
문의 010 2224 4998
0
좋은 글이라고 생각되시면 "추천(좋아요)"을 눌러주세요!
게시물 신고
목록
0
댓글
로그인한 회원만 댓글 등록이 가능합니다.
×
Image Upload
로그인한 회원만 등록가능합니다.
목록
번호
포토
제목
이름
날짜
20379
통영 서하호 문어 실시간! 사이즈 보러오세요
서하피싱
72
2024.11.10
서하피싱
2024.11.10
20378
1
《감성돔》4짜4짜외 감ㆍ뺀 진행중~ .
1
거제은아3호
29
2024.11.10
거제은아3호
2024.11.10
20377
1
《감성돔》4짜까지 마릿수 진행중~
1
거제은아2호
42
2024.11.10
거제은아2호
2024.11.10
20376
1
감성돔(실시간)외 돌돔들의 처박는 입질~거제대어2호(1…
1
거제대어낚시2호
39
2024.11.10
거제대어낚시2호
2024.11.10
20375
통영 송현호))돌문어 실시간 KK킬로오버 달립니다~내일…
통영송현피싱
16
2024.11.10
통영송현피싱
2024.11.10
20374
1
《감성돔》4짜외 마릿수 진행중~어초에서 찌 줄 줄~ …
1
거제은아호
68
2024.11.10
거제은아호
2024.11.10
20373
실시간감성돔 45이하~~
오륙도호
28
2024.11.10
오륙도호
2024.11.10
20372
1
(실시간) 감성돔 돌돔 벵에돔 참돔 4대돔 폭격~야호 …
1
거제야호
47
2024.11.10
거제야호
2024.11.10
20371
■오늘도 잘 나옴■11/10 실시간문어■군산 인해호■
인해피싱
53
2024.11.10
인해피싱
2024.11.10
20370
45이하 감성돔 실시간
거제영광호
58
2024.11.10
거제영광호
2024.11.10
초기화
날짜순
조회순
검색
1006
1007
1008
1009
1010
Search
검색대상
제목
내용
제목+내용
회원아이디
회원아이디(코)
글쓴이
글쓴이(코)
또는
그리고
검색어
필수
검색
닫기
인낚몰 초특가
★500★ W쿠션 멀티 수중찌 M L - 전유동 반유동 끄심바리 필수품 수중쿠션
★5,900★ 여러개 있으면 아주 좋은 EVA 시스템 백
★ 1+1 플로팅, 세미, 카본 낚시줄 행사 호수선택가능 / 택상 1+1 원줄, 목줄 행사
★6,000★ 예민함의 끝판왕 애니원찌 벵에돔찌 학공치찌
★15,000★ 오동목 구멍찌 5개 + 메쉬 찌케이스 세트
★22만원★ 40W 집어등을 이 가격에!
★5,000★ 전층쿠션 15세트입 S / L 사이즈
★2,000★ 전층쿠션 5세트입 S / L 사이즈
★10,000 미니집어등5개 + 425배터리 1개 + 스토퍼고무 10개
★13,500 深海 심해대물 갈치집어등 3개 5LED 오색 집어등 갈치낚시 필수품 건전지3개 포함 수중집어등
★9,900★ 수제공방 갈치 풀치 잔치세트 짬낚시 필수 하나로 끝
★8,650~★ 아부가르시아 카치카치다마 유동식 타이라바 - 80g / 100g / 120g / 140g