《감성돔》5짜4짜들외 마릿수 퍽 퍽 진행중~

신상품 소개


회원 랭킹


공지사항


NaverBand
점주/선장 > 가장 빠른!!  실시간 조황

《감성돔》5짜4짜들외 마릿수 퍽 퍽 진행중~

거제은아호 1 1,261 2021.03.05 10:28
밴드 바로가기 유튜브/SNS
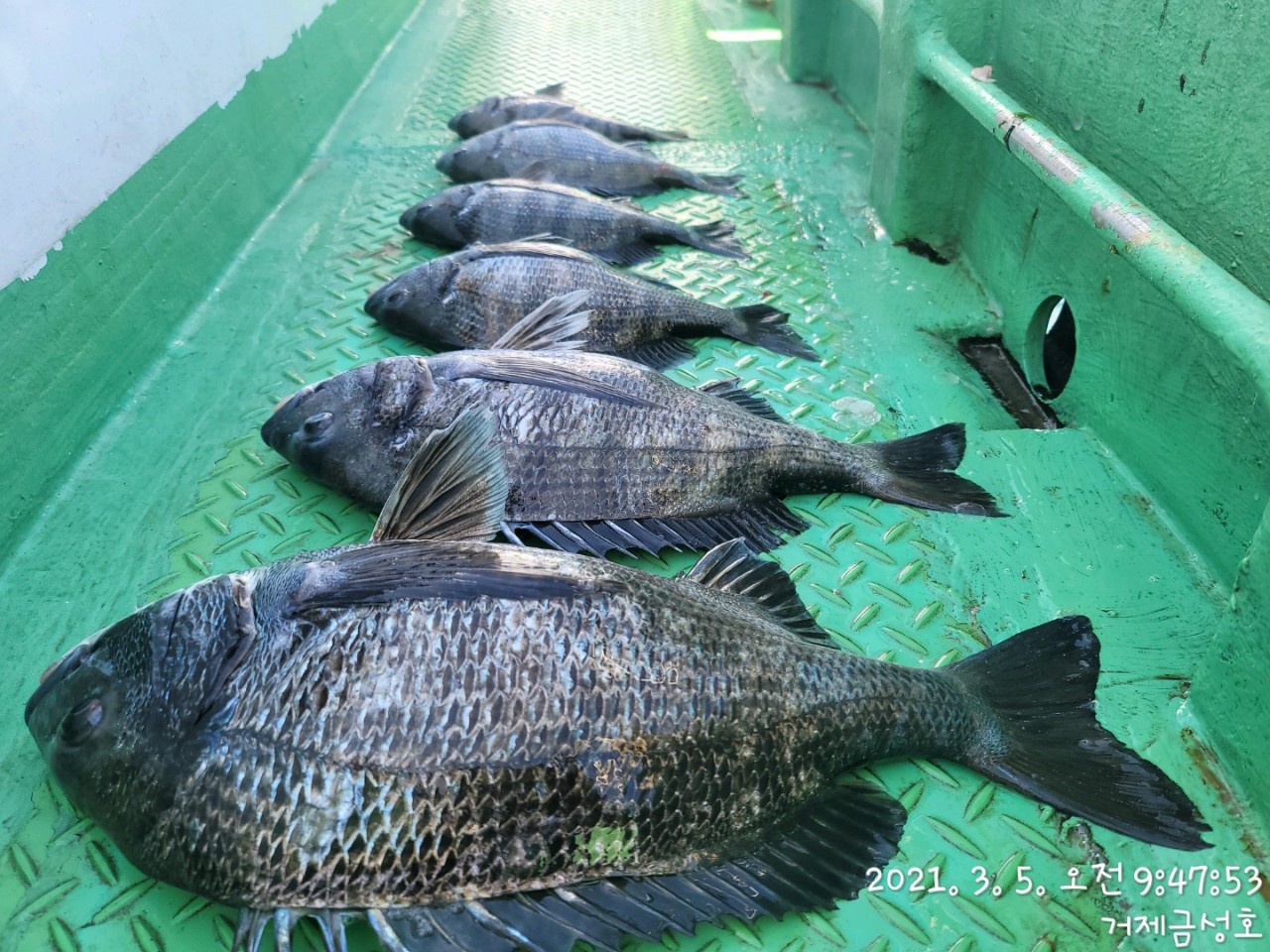
《감성돔》오늘도 5짜가 모습을 보입니다.

대물 선단과 마릿수 선단 분산 출조하여 예상이 적중하였습니다.

남은 시간 집중해 보겠습니다.


★은아호선단★
 3톤 5대 승선인원 9명(선장포함)
 5톤 1대 승선인원 12명(선장포함)

★찾아오시는길★
주소 : 거제시 거제면 법동리 536-24(법동휴게소)
          거제시 거제면 법동리 626-6
★★★신분증 꼭 지참해주세요★★★

☎예약문의☎
예약전화 : 010-6292-7634
문의전화 : 010-9084-7634
☆은아펜션 운영합니다.☆
거제시 거제면 거제남서로 4234
거제시 거제면 법동리 664-1
0

좋은 글이라고 생각되시면 "추천(좋아요)"을 눌러주세요!


  • 페이스북으로 보내기
  • 트위터로 보내기
  • 구글플러스로 보내기
  • 카카오스토리로 보내기
  • 네이버밴드로 보내기
  • 네이버로 보내기
  • 텀블러로 보내기
  • 핀터레스트로 보내기
1 댓글
 
포토 제목
 

인낚 최신글


인낚 최신댓글


온라인 문의 안내


월~금 : 9:00 ~ 18:00
토/일/공휴일 휴무
점심시간 : 12:00 ~ 13:00