감성돔(실시간)4짜,4짜급으로 마리수 손맛중.내일예약가능
12월 25일(목)
인낚 현재접속자
4,963명 (
153
)
공지사항
인낚도서관
점주선장전용 공지사항
로그인
광고/제휴 문의
운영진에게
인낚ㅣ인터넷바다낚시
0
어종별선상
어종별갯바위
낚시인조황
점주선장조황
출조정보
낚시광장
낚시지식인
낚시교실
중고장터
휴게실
인낚도서관
인낚몰
0
어종별선상
어종별 선상조황
4대돔 조황
먹물 조황
갈치 조황
볼락&전갱이
빅게임 지깅&파핑
외줄&외수질
기타 어종
어종별 갯바위조황
4대돔 조황
먹물 조황
갈치 조황
볼락&전갱이
농어&삼치&방어&부시리
기타 어종
어종별갯바위
어종별 선상조황
4대돔 조황
먹물 조황
갈치 조황
볼락&전갱이
빅게임 지깅&파핑
외줄&외수질
기타 어종
어종별 갯바위조황
4대돔 조황
먹물 조황
갈치 조황
볼락&전갱이
농어&삼치&방어&부시리
기타 어종
낚시인조황
낚시인 번개조황
낚시인조행기
스탭조행기
우리낚시동호회이야기
전국낚시동호회소개
동호회갤러리
지난 조황자료보기(년도별 조황 자료)
점주선장조황
전국 실시간 조황
선상(배)+좌대 조황
갯바위+방파제 조황
점주선장전용 공지사항
지난 조황자료보기(년도별 조황 자료)
출조정보
낚시인동행출조
점주선장 갯바위 출조
점주선장 선상출조
기상파고정보(기상청)
해상예보
물때표
파고예보(일본)
실시간해양관측예보
스마트조석예보
낚시광장
낚시계뉴스
대회 및 낚시관련 홍보
제품평가단
신상품소개
낚시지식인
Q&A 묻고 답하기
지식인 베스트
조황/포인트 문의
낚시용품 사용기
낚시투표
토론방
新어류도감
낚시교실
낚시기법소개
어종별 낚시교실
입문자교실
중급자교실
낚시용어사전
중고장터
중고장터 이용후기
더치트 사기피해 검색
팝니다
삽니다
교환합시다
무료로 드립니다
부품팝니다
부품삽니다
일반 생활용품 사고 팔기
휴게실
출석부
낚시갤러리
세상사는 이야기(자유게시판)
낚시이야기 마당
먹고사는 이야기
구인구직
칭찬합니다
어째이런일이
습득물 찾기
인낚도서관
인낚 유튜브
인낚 칼럼
블루, 그것이 알고싶다
더블테일의 두 눈으로 보는 세상
입질의추억의 피싱다이어리
나無의 바다 이야기
전문강좌
海巖의 바다낚시 이야기
이성규의 전유동낚시 강좌
조성민의 금요루어클럽
메인
어종별선상
어종별갯바위
낚시인조황
점주선장조황
출조정보
낚시광장
낚시지식인
낚시교실
중고장터
휴게실
인낚도서관
인낚몰
0
전국 실시간 조황
선상(배)+좌대 조황
갯바위+방파제 조황
점주선장전용 공지사항
지난 조황자료보기(년도별 조황 자료)
점주/선장 > 가장 빠른!!
실시간 조황
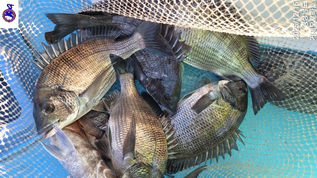
감성돔(실시간)4짜,4짜급으로 마리수 손맛중.내일예약가능
거제오로라호
거제
0
34
10일전
0
http://band.us/@aurora
네임
카드
거제오로라호
거제시 거제면 법동리 536-24
010-3003-6664
실시간 예약
홈페이지
밴드 바로가기
유튜브/SNS
물이 안가 어려운 상황에서도
2방빠지고 4짜,4짜급들로 마리수 손맛중 입니다.
내일도 좋은날씨에 감성돔사냥 출동합니다.
내일 예약가능합니다.
오로라호 윤선장
010 3003 6664
0
좋은 글이라고 생각되시면 "추천(좋아요)"을 눌러주세요!
게시물 신고
목록
0
댓글
로그인한 회원만 댓글 등록이 가능합니다.
×
Image Upload
로그인한 회원만 등록가능합니다.
목록
번호
포토
제목
이름
날짜
30744
왕오징어 첫 출항 대박!만쿨~! 화요일부터 예약가능!!…
진해은빛피싱
34
12.21
진해은빛피싱
12.21
30743
21일 빅사이즈 여수 알쭈 조황! 선비 6만원 이벤트!
여수찰리호
28
12.20
여수찰리호
12.20
30742
(풍산)쭈꾸미 마릿수 뽑으러가요~!!(예약가능합니다)
진해풍산호
38
12.20
진해풍산호
12.20
30741
(풍산)야간낙지~선비6만 지퍼백 가득~!!(예약가능합니…
진해풍산호
36
12.20
진해풍산호
12.20
30740
20일 녹동알쭈꾸미 실시간~
1고흥녹동장보고호1
30
12.20
1고흥녹동장보고호1
12.20
30739
밤뽈락루어
거제조아라호
43
12.20
거제조아라호
12.20
30738
거진항 힐링호 13인승 12월 20일의 동해안 대구 출…
거진항힐링호
36
12.20
거진항힐링호
12.20
30737
주꾸미낚시
고흥녹동스텔라호
21
12.20
고흥녹동스텔라호
12.20
30736
통영 송현호))크라켄 돌문어 KKKK 2키로오버외 마리…
통영송현피싱
29
12.20
통영송현피싱
12.20
30735
12월20일 풍류호 지깅 조황입니다
부산풍류호
24
12.20
부산풍류호
12.20
초기화
날짜순
조회순
검색
6
7
8
9
10
Search
검색대상
제목
내용
제목+내용
회원아이디
회원아이디(코)
글쓴이
글쓴이(코)
또는
그리고
검색어
필수
검색
닫기
인낚몰 초특가
★3,000★ 하야부사 6단 볼락 전갱이 카드채비 SD724 볼락채비
★1,000★볼락낚시에 최적인 메바트로볼 - 캐스팅볼, 메바볼
★13,000~★3NO 일본 오리지날 직수입 극강 멀티 무광 마크사 원줄
★500★ W쿠션 멀티 수중찌 M L - 전유동 반유동 끄심바리 필수품 수중쿠션
★5,900★ 여러개 있으면 아주 좋은 EVA 시스템 백
★ 1+1 플로팅, 세미, 카본 낚시줄 행사 호수선택가능 / 택상 1+1 원줄, 목줄 행사
★6,000★ 예민함의 끝판왕 애니원찌 벵에돔찌 학공치찌
★15,000★ 오동목 구멍찌 5개 + 메쉬 찌케이스 세트
★22만원★ 40W 집어등을 이 가격에!
★5,000★ 전층쿠션 15세트입 S / L 사이즈
★2,000★ 전층쿠션 5세트입 S / L 사이즈
★10,000 미니집어등5개 + 425배터리 1개 + 스토퍼고무 10개