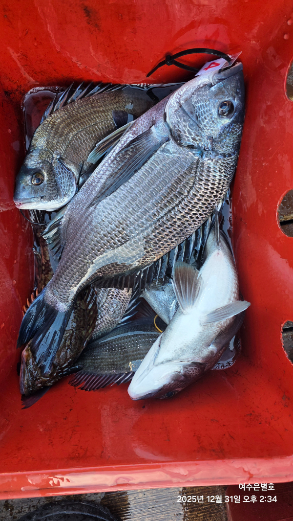
(은별호) 12/31 감성돔 선상조황입니다

신상품 소개


회원 랭킹


공지사항


NaverBand
점주/선장 > 가장 빠른!!  실시간 조황

(은별호) 12/31 감성돔 선상조황입니다

여수은별호 0 9 8시간전
#감성돔선상 
안녕하세요 
여수은별호입니다 
12/31. 감성돔선상조황입니다 
좋지않는 기상속에 5번정도 빠지고
많은 마릿수는 아니지만 고생하셨습니다 
가시는길 안전운전하십시요 
2026/01 /02 금요일 1자리여유 있습니다            01/ 03 토요일 1자리여유 있습니다                          일요일부터 자리여유있습니다 
출초문의 010 8376 0855https://eunbyeol.sunsang24.com/



*** 여수 은별호 예약 안내 ***


예약문의 : 010-8376-0855

오시는길 : 전남 여수시 돌산읍 망월대길 38-2

홈페이지 : https://eunbyeol.sunsang24.com/



0

좋은 글이라고 생각되시면 "추천(좋아요)"을 눌러주세요!


  • 페이스북으로 보내기
  • 트위터로 보내기
  • 구글플러스로 보내기
  • 카카오스토리로 보내기
  • 네이버밴드로 보내기
  • 네이버로 보내기
  • 텀블러로 보내기
  • 핀터레스트로 보내기
0 댓글
 
포토 제목
 

인낚 최신글


인낚 최신댓글


온라인 문의 안내


월~금 : 9:00 ~ 18:00
토/일/공휴일 휴무
점심시간 : 12:00 ~ 13:00