안녕하세요!! ^^
이번에 진해에서 거제로 이전한 신용인호 선장 오선장입니다.
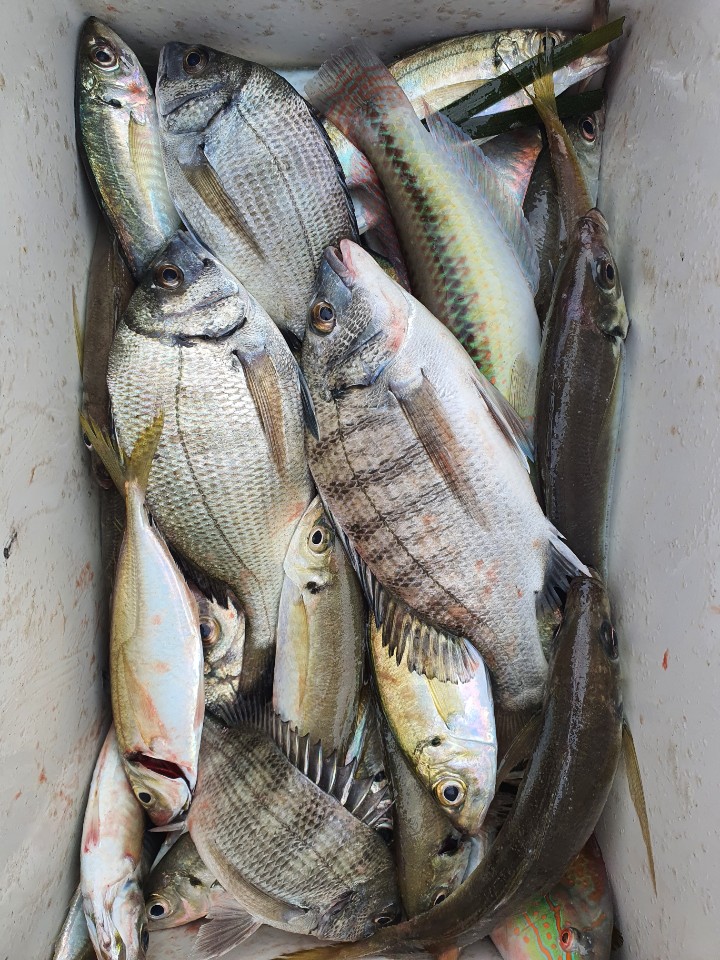
조황 보시고 연락 많이주세요!!
최선을 다해 모시겠습니다.
선장: 오인호 (신용인호)
전화번호: 010-9992-6030
낚시를 업으로 지금까지 살아왔습니다. 한분한분 제 가족이라는 생각으로 모시겠습니다 믿고 찾아주십시오 실망시키지 않겠습니다. dyddlsgh
로그인한 회원만 등록가능합니다.