너울에 똥바람속 감성돔들.....형님들과 저도쪽 감성돔 잡으로 가봅니다
초보2분 계셔서 걱정이 앞서네요
멀미도 걱정 낚시도 겁정
저기 앞에 오늘의 포인트가 보입니다
파도는 약한데 멀미하기 딱좋은 너울이 치네요
포인트 도착후 채비합니다
11인해 투제로대 요즘 주력대 ㅎ
릴 스피닝 3천번 2.5호원줄
목줄1.7호줄 막대찌2호
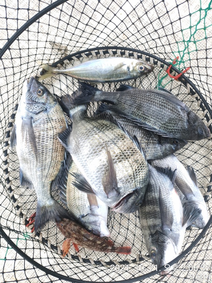
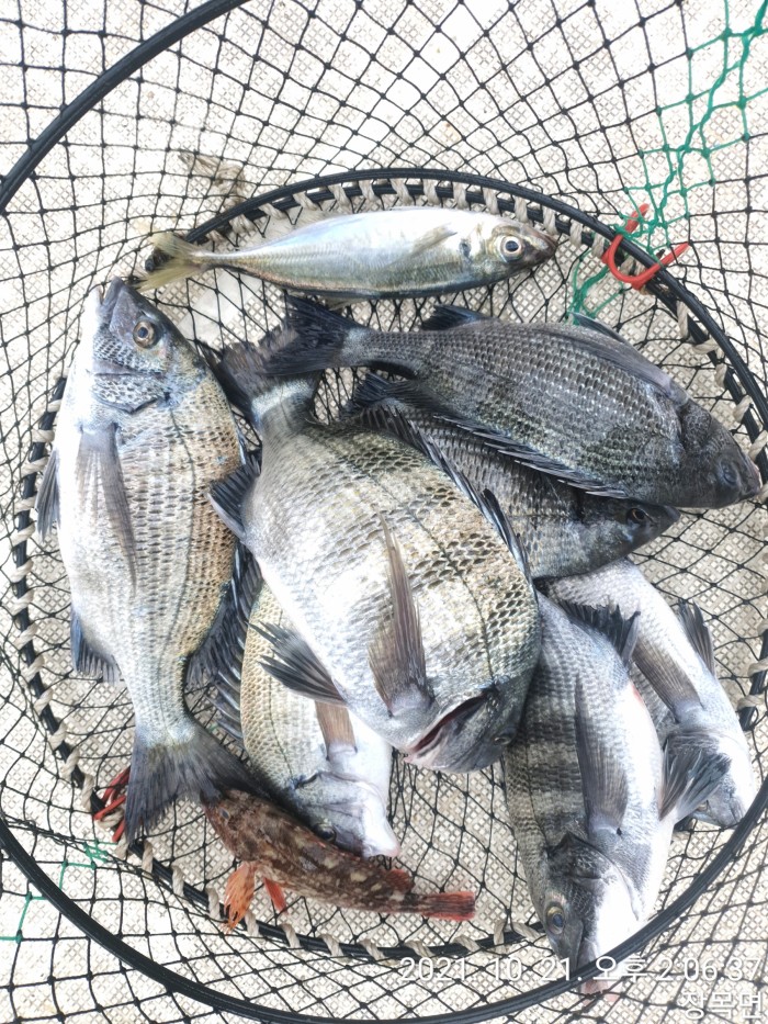
잡어가 장난아니네요 작살납니다 수온이 많이 올라서인지
안보이던 어종들도 보입니다
거제쪽방향 수중여가 잘발달되어
감성돔이 머물기 좋은 지형포인트입니다
그래서 목줄도 4미터정도 주고 낚시를 합니다
늦게 찍었네요 이뒤론 비도 많아지고 해서
사진을 생약했습니다 내휴대폰은 소중하니깐 ....
이리저리 가르쳐도 드리고 이쪽 포인트는
초보분들이 공략하기 좀 힘드네요
선상이 좋은건 똥바람을 피해서 낚시가 가능하다는거
너무좋은것같네요 그립다 갯바위야 ㅎ
감사 합니다
야간근무조 다은아빠였습니다
|
|
|
|
|
|
|
|
|
|











