가을 감성돔의 당찬 손맛!!!(a.k.a. 바로 이 맛 아입니까)안녕하세요. 오랜만에 인사드립니다. 푸가 필드스텝 난리부르스리입니다.
더운 여름이 지나가고 연이은 태풍에 출조를 하지 못했네요.
뜨거운 여름을 보내고 이제는 아침 저녁으로 선선한 날씨네요.
이렇게 날씨가 선선해지면 우리 낚시꾼들에게는 늘 어김없이 찾아오는 대상어가 있죠.
감!성!돔!
이번에 감성돔 시즌을 맞이 하여 푸가에서는 신형 원줄(멀티스페셜 8공사)과 구멍찌 론투(RON2)를 개발하여 제품 테스트 겸 정출을 갔다왔습니다.
가을 감성돔의 당찬 손맛을 느끼고 온 정출(22.09.24) 조행기 시작합니다.

거제 양지암으로 출조지를 정하고 능포항에 있는 나이스낚시에 4시30분에 집결을 합니다.
가게에서 명부 작성후 밑밥을 챙겨 승선합니다.
개인적으로는 2~3년 만에 능포에 왔는데 벵에돔만 잡으러왔다가 감성돔을 대상어로 오기는 처음인거 같네요.
기대반 설레임 반으로 출발 합니다.
5시 정각에 출발~~~ 다들 손맛 실컷 보고 오세요 ㅎㅎ
항에서 10분 정도 가면 도착하는 양지암!!!
오늘은 각개전투로 1인 1포인트 하선 해 봅니다.

우리 팀장님 상사바위란 포인트에 1빠로 하선하시네요 ㅎㅎ
바칸 가득 고기 채워 오시길 ㅎㅎ
그 후 참석하신 분들 다 한포인트씩 내렸네요
뜰채 피고 바칸에 청소용 물도 담고 ㅋ 밑밥 미끼 셋팅하고
낚시대 펼쳐서 채비까지 하고 나니 해가 벌써 떠오르기 시작합니다.
해뜨기 직전 이때가 젤 춥죠 ㅎㅎ 이날 북동풍 바람이 오전내내 엄청 불어서 추웟네요.
오늘 제가 내린 포인트는 광대바위라는 포인트였습니다.
우측에 본류대가 올라가고 홈통 쪽에는 본류에 말리는 지류대가 형성되는 곳이었습니다.
오늘 공략할 곳은 발앞 전방에 지류대에 채비를 넣어서 본류에 합수되는 지점에서 입질을 받아볼 예정인데요 ㅋ
말뿐인 낚시가 되지 않게 열심히 해봅니다.
멋진 일출도 구경하고 밑밥도 열심히 주고 있는데
갑자기 찌가 자물거리더니 쏙 하고 잠기길래
챔질!!! 덜커덩 ! 스플이 찌지지지직 ???
'뭐지 감시가 왜 여로 째지??? 참돔인가???'
나중에 알고 봣더니 릴 청소후 스플을 풀어놓은 상태
그대로 낚시하고 있었더라고요...ㅋ
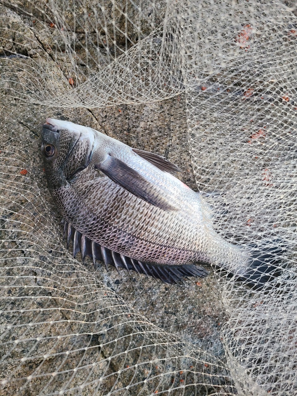
어쨋든 다시 스플 쪼으고 감시를 수면에 띄운 뒤 뜰채 담기 까지 성공!!!
바늘을 제대로 삼켜서 피를 흘리네요
후딱 목줄 끊고 사진 찍고 바칸에 챙겨봅니다.
단체방에 제가 먼저 카톡으로 한수 잡은 신고를 했더니
역시 선수들은 다르네요 ㅎㅎ
감성돔 낚시에 있어서는 아침 해창은 진리인거 같습니다^^
제가 내린 자리는 북동풍을 그대로 뚜디리 맞는 자리라
테스트 해야할 멀티스페셜8공사 원줄 말고
무사원줄(세미플로트) 2호에 마하목줄 1.5호을 선택 했구요
바람 너울이 심해서 신형 감성돔 론투 1.5호찌(수심은 10미터 전후)를 선택해서 낚시를 했습니다.

물돌이 타임까지 바짝 쪼아봅니다만 첫수 이후에 해가 뜨니 잡어가 너무 많아서 살감시 하나 추가가 끝이었습니다.
물이 안갈때 서둘러 챙겨온 샌드위치로 간단하게 배를 채우고 물이 좀갈때 다시 열심히 낚시 해봅니다.

초날물이 끝나고 중날물이 시작되면서 물이 다시 좀 가기 시작할때 맨처음 잡은 녀석의 쌍둥이 같은 사이즈 녀석이 하나더 올라 오네요 ㅎㅎ 손맛 좋습니다.
역시 감성돔은 연질대로 손맛보며 부드럽게 제압하는게 재밋는거 같습니다.
바람불어도 꿋꿋하게 연질대로 낚시를 이어갑니다.

또 한동안 용치녀석만 올라오더니 조류가 살짝 죽을때 쯤에
4짜급 감성돔이 하나 올라오네요 ㅋ
갯바위 혼자 내려서 사진 찍기가 쉽지 않네요
제 얼굴보다 감시 얼굴이 잘 나오게 한컷 찍어봅니다.
오늘 총 조과는 3마리네요 ㅎㅎ(살감시 2마리는 용왕님 곁으로 보내드렸습니다)
제가 이정도 잡았으면 다른분들도 많이 잡앗을꺼 같습니다.
이번정출은 조황이 좋은거 같네요.

두시 철수 배에 올라 즐겁게 대화를 나누며 항구로 나갑니다.
이상합니다... 항상 철수 할때만 되면 날씨가 좋습니다 ㅋㅋㅋ
낚시할때 그리 불던 바람이 안불고 날씨가 너무 좋네요.
정출때는 고기 안나온다더니....그런 징크스는 올 가을부터는 없는걸로 하겠습니다. ㅎㅎㅎ
각 포인트에서 두세마리씩 골고루 나와서 다들 즐겁게 낚시 하고 갑니다.
끝으로 이렇게 단체사진도 하나 남기고 갑니다.
요즘 조황란이나 유튜브보면 감성돔이 잘나오는거 같습니다.
올해는 감성돔 풍년이라는 말이 맞는거 같네요.
당장 가을 감성돔의 당찬 손맛 보러 떠나시죠!
이상. 부족한 조행기 마칩니다.
긴글 읽어 주셔서 감사합니다.
즐거운 하루 되세요^^