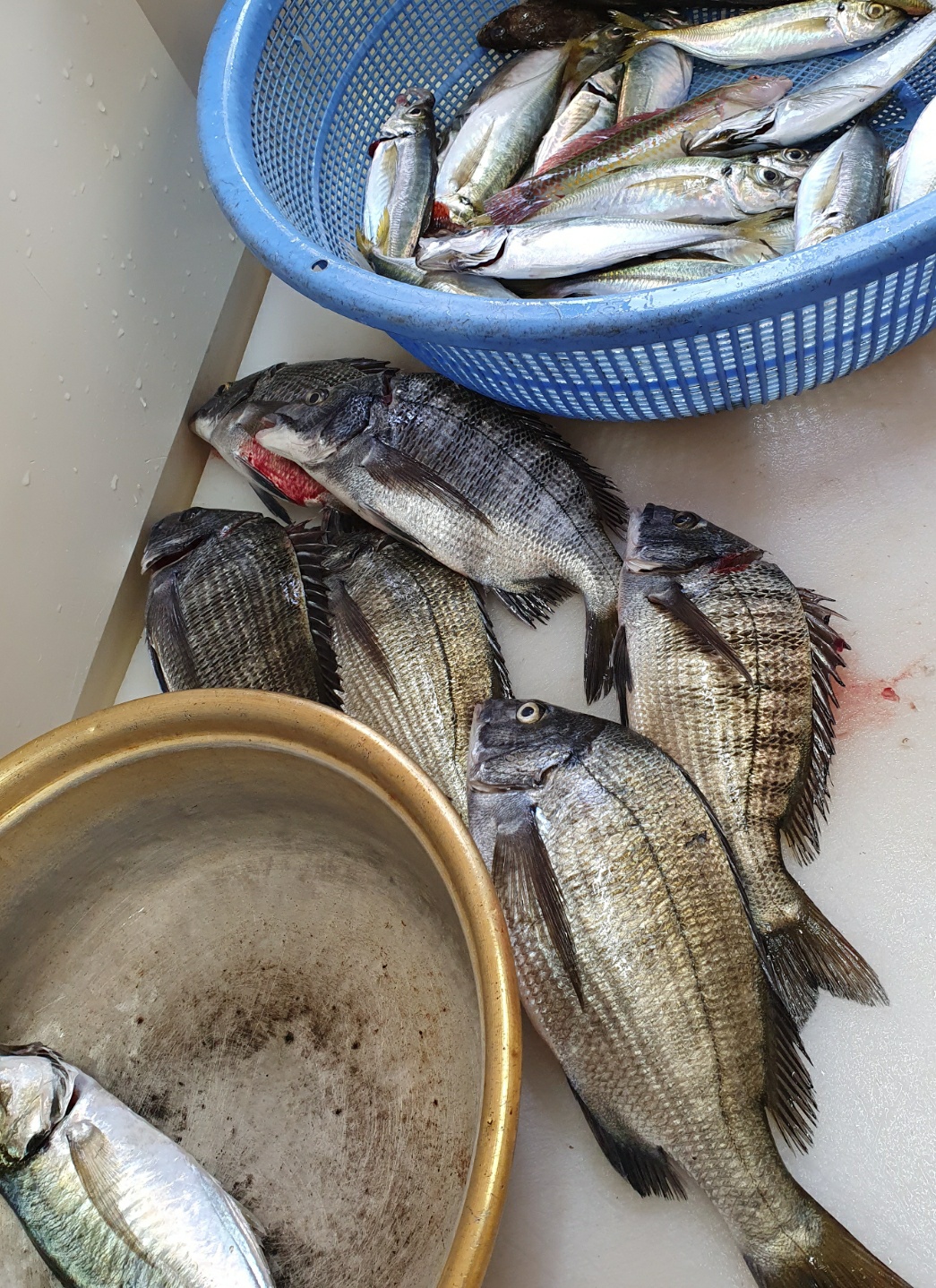
사이즈 점점 좋아지는 감성돔들...반갑습니다 신항만낚시 야간근무조 다은아빠입니다
연일 12시간 죽으라 일하고 낚시가고를 무한반복중입니다
잠을 많이 자야 4시간 평균2시간식 자면서 낚시댕기니 죽을맛입니다
아직 낮에는 여름날씨에 특유의 강력한 가을 땡볓에 6시간식
낚시라....수분공급 잘하시고 낚시를 즐기시기를...

어제 친한동생이랑 평일이고해서 배타고 출조를 나서봅니다
동생도 동종업계 근무중이라 둘다 씨레기 되어서 ㅋㅋ
물이 빠르다 죽을때쯤 집중적으로 집어 시키니 따문따문 물어주는게
손맛은 좋네요 최대어가 34정도 3수포함 30이짝저짝 나머지
손맛보고 철수 했네요 메가리가 사이즈 좋네요
같이 킵해서 아버지드리고 왔네요
7일 군 휴가나온동생 데리고 지인2분과 같은자리
또 들어가봅니다
큰여 넘겨서 집중적으로 집어시키고 던져봅니다 확실히
감성돔이 붙기시작한것같습니다 하루사이에 조금 큰사이즈 넘들이
덤비기 시작 한것같네요 2주정도만 지나면 4짜급들도 문안하게
올라올것같네요
주 미끼가 민물새우고 입질이 약간 뜸하다 싶을때
경단달아서 끄심발이로 조지니 큰사이즈들이 잘 덤비네요
확실히 잡어층뚤꼬 바닦층공략에 경단만한 미끼도 없네요
더워서 사진도 없고 ㅎㅎ 이해좀 해주세요
|
|
|
|
|
|
|
|
|
|









