와~우 올만에 볼꺼리 제공해 주셨네요.
경찰도 낚시 좋아하시나 봅니다.
갈쳐주셨으니 손맛 보시겠지요.
영상 잘 보고 갑니다.
수고하셨습니다.^^
경찰이 찌 안보이는데 어떻게 고기가 물었는지 아느냐고 하길래 설명하는데 설명해줘도 이해를 잘 못하네요. ㅎㅎㅎ
수심도 흘러가는데 얼만큼 내려갔는지 어떻게 아냐면서요.
다스님 주말 잘 보내시고요. ^^
수심도 흘러가는데 얼만큼 내려갔는지 어떻게 아냐면서요.
다스님 주말 잘 보내시고요. ^^
밑밥은 일식용 튀김가루랑 홈브랜드 롤드 오트밀 섞어서 씁니다.
특히 드러머 낚시는 식물성 위주의 밑밥이면 충분하지만 다른 어종들은 좀 부족한 면이 있어서 살몬 같이 크고 맛없는 고기 잡히면 썰어서 밑밥에 넣기도 하고요. ^^;
특히 드러머 낚시는 식물성 위주의 밑밥이면 충분하지만 다른 어종들은 좀 부족한 면이 있어서 살몬 같이 크고 맛없는 고기 잡히면 썰어서 밑밥에 넣기도 하고요. ^^;
올만에 조행기를 보네요
역시 호주 낚시는 참 좋은 곳입니다.
동영상도 잘 보았습니다.
드럼어 밑밥만들때 빵가루 혹여 써 보셨나요.
10kg.12.000원 하는 쇼핑몰도 있던데요.
수고 하셨습니다 ^^
역시 호주 낚시는 참 좋은 곳입니다.
동영상도 잘 보았습니다.
드럼어 밑밥만들때 빵가루 혹여 써 보셨나요.
10kg.12.000원 하는 쇼핑몰도 있던데요.
수고 하셨습니다 ^^
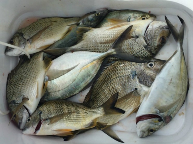
타운 앞이라 와이프가 걸어서 놀러 다닐 수 있는 곳이라 큰 기대없이 했다가 쏠쏠한 재미를 봤던 그런 날이었습니다. ㅎㅎ
저도 그 빵가루 쇼핑몰 봤는데요.
이 곳까지 택배를 받으려면 일반화물은 거의 키로당 만원가까이라 답이 안나오겠더라구요. ㅠㅠ
빵가루 만드는 제조 장비를 사는게 어떻까 고민만 살짝 해봤다가 그냥 이 곳에서 파는 2키로 6불짜리 식용 튀김가루를 쓰게 됩니다. ㅎㅎㅎ
항상 안낚하시고요~ ^^
저도 그 빵가루 쇼핑몰 봤는데요.
이 곳까지 택배를 받으려면 일반화물은 거의 키로당 만원가까이라 답이 안나오겠더라구요. ㅠㅠ
빵가루 만드는 제조 장비를 사는게 어떻까 고민만 살짝 해봤다가 그냥 이 곳에서 파는 2키로 6불짜리 식용 튀김가루를 쓰게 됩니다. ㅎㅎㅎ
항상 안낚하시고요~ ^^
근거리에서 마리수 대상어가 나온다는게 참 부러운 곳입니다!
제가 사는 울산 앞바다도 어자원이 넘치면 얼마나 좋을까 싶은 생각이 듭니다 ^^
너무 즐겁게 잘보고가요~~
제가 사는 울산 앞바다도 어자원이 넘치면 얼마나 좋을까 싶은 생각이 듭니다 ^^
너무 즐겁게 잘보고가요~~
다행스럽게 이 동네 현지인들이 밑밥뿌리며 찌낚시를 하지않아서 그런지 밑밥뿌리는 찌낚시의 위력적인 기법 효과가 제대로 먹히는듯 합니다. ^^;
잘 보셨다니 영광입니다. ㅎㅎㅎ
항상 안낚되시고요.
잘 보셨다니 영광입니다. ㅎㅎㅎ
항상 안낚되시고요.
프로악님 오렌만에 오신듯 합니다.
그곳은 어종의자원이 풍부한듯 합니다.
여행중에도 잠시잠시 짬낚시에서도 얼마든지 솜맛을 즐기시네요.
늘 멋진장면 만들어 주십니다.
아름답고 즐거운 여행길 되셨을듯 합니다.
수고하셨습니다.^^
그곳은 어종의자원이 풍부한듯 합니다.
여행중에도 잠시잠시 짬낚시에서도 얼마든지 솜맛을 즐기시네요.
늘 멋진장면 만들어 주십니다.
아름답고 즐거운 여행길 되셨을듯 합니다.
수고하셨습니다.^^
그림자님 오랜맘에 뵙습니다.
인구수도 적고 정부 관리도 많이 엄격해서 그런지 괜찮게 유지되는것 같네요. ㅎㅎ
현지인들은 갯바위 낚시보다 주로 배를 사더라구요. ^^;
항상 안낚되시고요.
종종 조행기로 찾아뵙겠습니다.
인구수도 적고 정부 관리도 많이 엄격해서 그런지 괜찮게 유지되는것 같네요. ㅎㅎ
현지인들은 갯바위 낚시보다 주로 배를 사더라구요. ^^;
항상 안낚되시고요.
종종 조행기로 찾아뵙겠습니다.
오랫만에 조행기가 올라왓네요.^&^
이국적인 풍경들과 역시나 영상으로 촬영하여
올려주신 덕분에 즐감하였습니다.
이곳 한국은 엄청나게 더운 나날들을 보내고있습니다.
항상 건강챙기시어 즐거원하시는 낚시 오래 즐기시길...
잘 보았습니다.
이국적인 풍경들과 역시나 영상으로 촬영하여
올려주신 덕분에 즐감하였습니다.
이곳 한국은 엄청나게 더운 나날들을 보내고있습니다.
항상 건강챙기시어 즐거원하시는 낚시 오래 즐기시길...
잘 보았습니다.
폭주님 반갑습니다.
최근 차를 바꾸느라 잘 못다녔네요. ㅎ
한국의 더위는 뉴스로 접하고 있는데요.
어마무시하더군요. ㅎㄷㄷ
이 곳은 한겨울이라 두터운 돕바를 입고 나가도 많이 추운날의 연속입니다. ^^;
항상 건강하시고요~
최근 차를 바꾸느라 잘 못다녔네요. ㅎ
한국의 더위는 뉴스로 접하고 있는데요.
어마무시하더군요. ㅎㄷㄷ
이 곳은 한겨울이라 두터운 돕바를 입고 나가도 많이 추운날의 연속입니다. ^^;
항상 건강하시고요~
파도가 없는 잔잔한 곳이라 느긋하게 즐기며 잘 놀다왔습니다. ㅎㅎ
여긴 겨울이라 바닷가는 그나마 괜찮지만 제가 사는 곳은 아주 춥고요.
한국은 많이 덥다고 하니 항상 건강 유의하시고요. ^^
여긴 겨울이라 바닷가는 그나마 괜찮지만 제가 사는 곳은 아주 춥고요.
한국은 많이 덥다고 하니 항상 건강 유의하시고요. ^^

























