우선 이번 사고로 돌아가신 운전자님의 명복을 빌고
사고로 다치신 조우님들의 빠른 괘유를 빕니다
낚시 가시거나 오실때는 충분한 여유를 가지고 피곤하면 눈도 좀 붙이고
시간적 여유도 조금씩 가지고 다니면 또다른 사고를 미리 조금이나마 예방 하지 않을까 생각 됩니다
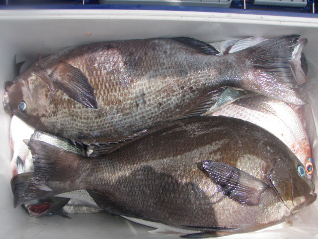
4짜를 2마리 씩이나 하셨으니 축하 드립니다
참돔 벵에돔 잘보고 갑니다
항상 안전 운전 안전 낚시 하시길 바랍니다
수고권에서 출조하시는 것이 보통이 아니지요. 동출도 없이 혼자 운전해서 왕복하려면 장난 아닙니다. 밑에 지방 사시는 분들은 행복해 해야 합니다. ^_^
벵에 씨알이 보통이 아니군요. 저정도 씨알이면 쉽게 제압이 안되었을텐데.....
실력을 미루어 짐작하게 합니다.
조황이 좋아 다행입니다. 멀리서 가셨는데.
.
시간에 쫒기어 낚시 다니지 말고, 여유있게 다녀야 겠다는 생각을 합니다.
항상 아랫지방에서 올라올때는 전날 잠도 제대로 못자고, 낚시한다고 피곤하고해서
졸린눈을 비비고 올라올때가 많습니다.
항상 안전운전 하세요.
벵에 씨알이 보통이 아니군요. 저정도 씨알이면 쉽게 제압이 안되었을텐데.....
실력을 미루어 짐작하게 합니다.
조황이 좋아 다행입니다. 멀리서 가셨는데.
.
시간에 쫒기어 낚시 다니지 말고, 여유있게 다녀야 겠다는 생각을 합니다.
항상 아랫지방에서 올라올때는 전날 잠도 제대로 못자고, 낚시한다고 피곤하고해서
졸린눈을 비비고 올라올때가 많습니다.
항상 안전운전 하세요.
네..말씀 감사합니다.
내려올땐 설레임...올라갈땐 졸음과의 싸움...틈틈히 졸음을 피할려고 노력은 하고 있지만 그게 맘처럼 잘 되지 않네요.
더운 여름 음식 조심하시고 건강하세요.
내려올땐 설레임...올라갈땐 졸음과의 싸움...틈틈히 졸음을 피할려고 노력은 하고 있지만 그게 맘처럼 잘 되지 않네요.
더운 여름 음식 조심하시고 건강하세요.
4짜 벵에손맛이 생각보다 그리 만족스럽지 못합니다. 지금 시즌에 포란을 하고 있어서인지? 아니면 포인트 여건이 밑밑한 직벽이어서 그랬는지 몰라도...초반 레버 한번 주고 버티면 그냥 떠버리는 그런 상황이었습니다.
1.5호 원줄에 1.25 목줄이어서 불안하면 조금 여유를 줄수있는 상황이었는데 전혀 그렇질 못하더군요..누구나 걸면 올릴수 있는 그런 상황이었습니다.
1.5호 원줄에 1.25 목줄이어서 불안하면 조금 여유를 줄수있는 상황이었는데 전혀 그렇질 못하더군요..누구나 걸면 올릴수 있는 그런 상황이었습니다.
부시리 인생님 안녕하세요. 주말에 블로거들 모임에 곁다리로 잠시 끼어든 출조객이었습니다. 몇몇분 안면이 있으신 분들이 계셔서요...저 고기는 그분들이 쓱삭 해서 드셨죠.. 얼굴 뵐수 있는 좋은 기회였는데...아쉽습니다.
다음에 기회가 되면 꼭 한번 뵙구 싶네요.
다음에 기회가 되면 꼭 한번 뵙구 싶네요.
렙터님 글만 올라와도..
벌써 매물도 대물 벵에돔이 머리속에 먼저그려지네요...
역시 대물 벵에돔포획하셨네요..
벵에 배우고 있는 초보로서는 정말 감탄할수 밖에 없습니다..
전 잔챙이를 피해낼 방법이 없네요...^^
거제소식..
저도 뉴스보고 감짝 놀랐습니다...
삼가 고인의 명복을 빕니다...^^
벌써 매물도 대물 벵에돔이 머리속에 먼저그려지네요...
역시 대물 벵에돔포획하셨네요..
벵에 배우고 있는 초보로서는 정말 감탄할수 밖에 없습니다..
전 잔챙이를 피해낼 방법이 없네요...^^
거제소식..
저도 뉴스보고 감짝 놀랐습니다...
삼가 고인의 명복을 빕니다...^^
감사합니다. 실력보단 포인트 운인거 같습니다. 다음에 언제 기회가 된다면 같이 동출 한번 하시죠. 시간대 마춰 출조점에서 뵈면 될꺼 같습니다.
역시 매물도군요....씨알 좋은 벵어돔 축하드립니다....언제 4짜 벵어돔을 잡아보나 ㅋㅋㅋ
30 중반만 잡다보니 4짜 손맛은 말도 못하겠죠?
조행기 글 잘보고 잘읽고 갑니다...수고 했습니다..
30 중반만 잡다보니 4짜 손맛은 말도 못하겠죠?
조행기 글 잘보고 잘읽고 갑니다...수고 했습니다..
먼길 대단 하십니다.^^
감히 존경심이 절로 나오기에.....
예전 한양땅에 근무할 시절에..저는 엄두도 못내었는데...
두달에 한번정도 시골 다니러 왔을때..잠시 나섰던 바다 였습니다....
씨알급 조과물...부럽기도 하네요..
즐낚하신 모습에 더더욱...ㅎ
먼길 안전운전 하시고 즐낚 하시길 바랍니다 ^^
감히 존경심이 절로 나오기에.....
예전 한양땅에 근무할 시절에..저는 엄두도 못내었는데...
두달에 한번정도 시골 다니러 왔을때..잠시 나섰던 바다 였습니다....
씨알급 조과물...부럽기도 하네요..
즐낚하신 모습에 더더욱...ㅎ
먼길 안전운전 하시고 즐낚 하시길 바랍니다 ^^
저역시 초반엔 엄두도 못냈는데...10년가까이 다니다 보니 이젠 옆집 마실 가는 기분입니다..^^
여름철 건강 유념하시고 항상 증낚하시길 바랍니다.
여름철 건강 유념하시고 항상 증낚하시길 바랍니다.
이번 사고에 다치신 분들 빨리 회복하시길 바라며
삼가 고인의 명복을 빕니다.
역시 큰고기를 낚을려면
큰물에서 놀아야 하나 봅니다.
4짜 뱅에돔 잘 보고 갑니다.
수고하셨습니다.^^
삼가 고인의 명복을 빕니다.
역시 큰고기를 낚을려면
큰물에서 놀아야 하나 봅니다.
4짜 뱅에돔 잘 보고 갑니다.
수고하셨습니다.^^
다른 게시판에서 몇번 글을 주고 받은 적이 있었습니다..태클성 글로 비춰지지 않았을가? 걱정이 되기도 했는데...이해해 주시리라 믿습니다.
아래 팔방찌님 조행기를 보고 같은날 출조를 한거 같다는 느낌이 들었습니다. 더운날 야영하신다고 고생 많으셨습니다.
아래 팔방찌님 조행기를 보고 같은날 출조를 한거 같다는 느낌이 들었습니다. 더운날 야영하신다고 고생 많으셨습니다.
별 말씀을 다하십니다..
.
바다는 흐르는 유기체라고 생각하기에 짧은 논지에 다른 의견이 얼마든지 피력될 수 있다고 봅니다.
그래서 또 다른 논지를 재정립할 수도 있고요..
의견교감 감사드립니다..
.
바다는 흐르는 유기체라고 생각하기에 짧은 논지에 다른 의견이 얼마든지 피력될 수 있다고 봅니다.
그래서 또 다른 논지를 재정립할 수도 있고요..
의견교감 감사드립니다..















