방어, 혹돔으로 손맛도 많이 즐기셨네요.
무척이나 즐거운 출조가 되셨지 싶습니다.
잘보고갑니다.
수고하셨습니다. ^^
|
|
안녕하세요, 울보미소입니다.
지난 주말에 통영 추도에 다녀왔습니다. 일주일 전 쯔리겐FG 거제지구 정출에 이어 일주일 만에 또 추도를 찾았네요.
사실은 경호 형님과 대마도 1박 2일 야영 출조를 계획했다가 날씨가 좋지 않아서 취소를 했네요 ㅠㅜ 아쉬운 마음에 가까운 곳으로 감성돔 낚시를 다녀왔습니다.

쯔리겐FG 거제지구에서 같이 활동하는 근선이도 함께 출조했습니다. 2명, 1명 따로 내리기로 선장님께 미리 말씀드렸고, 근선이가 먼저 하선을 했습니다.


근선이가 하선을 하고 멀지 않은 곳에 경호 형님과 제가 하선했습니다. 철수할 때 선장님께 여쭤보니 "샛바람 강정"이라는 곳이었습니다.
이날 예보되어 있던 북풍과 남서풍을 동시에 의지할 수 있는 곳이었습니다. 약한 물때(2물)를 고려한 선장님의 선택이라는 생각도 들었네요.

선장님께서는 주변 수심이 9m 정도라고 알려주셨지만, 실제 주심은 그보다 깊었습니다. 15m 전방까지는 11m 정도, 그 밖으로는 14m 이상 나오는 곳이었습니다.

새벽 5시 출항, 오후 3시 철수 시간에 맞춰 5-2-5 세트 밑밥에 크릴 1방과 마루큐 격중 1/2봉을 추가했습니다.
처음 사용해 본 격중 집어제가 특히 마음에 들었네요. 냄새가 자극적이지 않고, 비중이 굉장히 높다는 느낌을 받았습니다.

추도는 선사 간 경쟁이 없어서 마음에 듭니다. 갯바위에 하선해 천천히 준비를 하고 전자찌를 몇 번 던지다보면 어느새 주변이 밝아 옵니다.
한겨울 갯바위에 내려 몇 시간 추위에 떠는 것보다 잠을 푹 자고 천천히 출항하는 방식을 선호합니다.

전자찌를 급하게 당겨가는 입질을 보이며 작은 전갱이가 한 마리 올라왔습니다. 밑밥이 조금씩 효과를 내기 시작한 듯했습니다.
밤낚시에서는 빠른 조류보다는 완만한 조류가 낫다고 생각하는 편이지만, 이날은 아예 움직이지 않았네요. 던져 놓은 전자찌가 그대로 머물 정도였습니다.

"샛바람(동풍) 강정"이라는 이름에 걸맞게, 정면에서 해가 떠오르고 있었습니다. 시야에 방해가 되는 부분은 아쉬워도, 조금씩 따뜻해질 것이라는 생각에 일출이 참 반가웠습니다.

8시를 지나면서 오른쪽으로 조금씩 조류가 흘렀습니다. 조류가 흐를 때만 해도 정말 반가웠는데, 이 조류가 작은 방어를 불러올 줄은 몰랐습니다 ^^;;

이날 10마리에 가까운 알방어를 만났습니다. 찌가 머뭇머뭇거리다 잠기고, 이어서 원줄까지 가져가는 입질을 보이면 100% 알방어였네요
-_-;;;

알방어의 씨알은 40cm 전후였습니다. 보통 방어, 부시리들이 설치면 수심을 깊게 잡는데, 이날은 10m 이상의 수심에서도 방어가 낚였습니다.

잠시 밑밥을 끊고 경호 형님과 간식을 나눠 먹으며 쉬었습니다. 근선이가 열심히 낚시를 하고 있었네요. 낚시 자리가 가파르게 꺾여서 딱 1명이 내릴 수 있는 자리였습니다.
보통 저런 곳은 갯바위 멀지 않은 곳에서 입질이 오는 경우가 많지요.


배댄자리에 경호 형님이 자리를 잡으셨고, 저는 오른쪽으로 조금 돌아와 넓은 갯바위에 자리를 잡았습니다. 선장님은 배댄자리에서 2명이 같이 낚시를 하라고 했는데, 제가 보기엔 자리가 협소했습니다.
낚시 자리는 무엇보다 공간이 넓고, 발판이 좋아서 낚시하기 편한 곳이 최고입니다. 오른쪽 사진 속 왜가리 한 마리가 외롭지 않게 바다를 같이 바라봐 주었네요 ^^"

아직 날물인 오른쪽 방향으로 조류가 흘렀지만, 들물이 시작되면서 알방어들이 사라졌습니다. 다행이라는 생각에 끊었던 밑밥의 양을 늘리면서 계속 채비를 흘렸더니 저 멀리서 진행하던 구멍찌가 사라졌습니다.

찌가 잠기고 조금 기다렸더니 원줄을 토도독 당기기 시작했습니다. 시원하게 원줄을 당겨가는 방어들과는 확연히 다른 움직임이었네요.
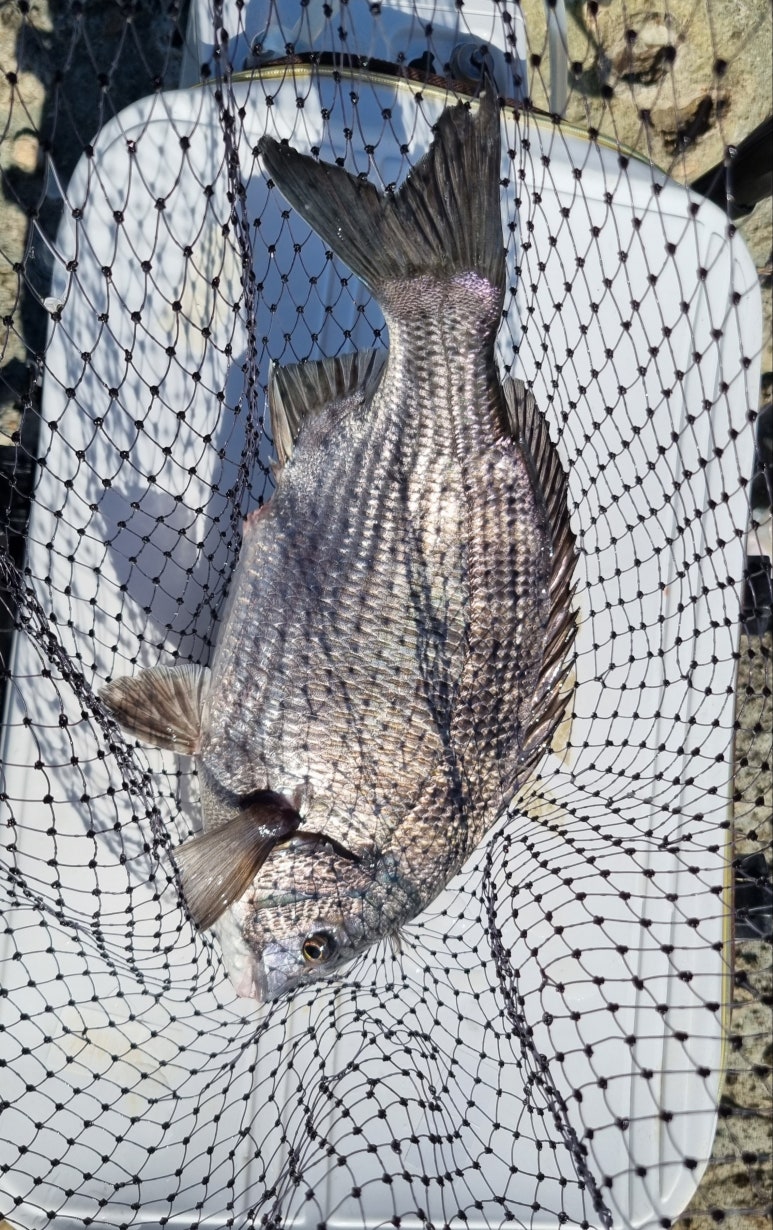
옷을 깨끗하게 입은 은빛 감성돔 한 마리가 삼킨 채 갯바위로 끌려 올라왔습니다.

집으로 돌아와 살림통을 확인했을 때 홍합 껍질이 바닥에 엄청 깔려 있었습니다. 갯바위 주변에 홍합을 못 본 것 같아 의아했는데, 나중에 생각을 해보니 이유를 알 것 같았습니다.

제가 서 있던 자리 오른쪽으로 부표들이 떠 있었습니다. 그리고 작업선에서 막대기로 어떤 물체를 털어내는 모습이 자주 보였습니다.
아마 홍합을 약식하는 곳이 아닌가 싶습니다. 꼭 홍합이 아니더라도 양식을 하는 줄에 자연스레 홍합이 달라붙고, 감성돔이 그 홍합을 먹으러 왔다가 오른쪽으로 흘러가는 조류를 따라가던 밑밥을 주워 먹었던 것 같습니다.

완전히 떠오른 해가 낚시를 방해하고 있었지만, 목표로 했던 감성돔 한 마리를 담아 놓고 나니 마음이 편했습니다. 제 자리에는 바람을 타지 않아 고요한 분위기 속에서 하고 싶은 낚시를 할 수 있었네요.
갯바위 수심은 발앞 9m, 15m 전방 14m, 30m 전방 19m 정도였습니다. 앞으로 뻗어나가는 조류가 정리되고, 갯바위로 붙은 조류가 오른쪽으로 흘러갈 때 입질이 들어왔습니다.
채비는 영상산업 칼리번 1.2호대, 원줄은 강우코리아 스페셜 플로트 3호, 목줄은 경기스페셜 1.7호, 나만의 수제찌 우뚝 1.5호, 더멀리 1호, 흑단수중찌 1.5호/1호, 감성돔 바늘 3호에 미끼는 크릴이었습니다.






|
|
|
|
|
|
|
|