안녕하세요!
"팀"브라더&부랄더 경기팀장 곱등이크릴입니다!
오랜만에...등장햇습니다...
어느덧..2019년도 다지나갓네요...ㅎ
다음주면..2020년도.인낚회원여러분 모두
2019년도 마무리들잘하시고요..건강들하시고 행복한 일 가득하시길!!
저번에..조행기올렷다가...엑박에..다시..삭제..
정말 안쓸려고..햇는데..어쩔수없이..다시 컴터 앞에서..끄적..끄적...
딱히..하루조행기가..아니고...12월달...조행기를..한방에..ㅋ
저희 "팀"브라더&부랄더 정출현수막!!
감사부장님이 김점청형님께서 협찬해주셧습니다!
앞으로 감사히 잘쓰겟습니다!
12월 회장님과 단둘이...평일 새벽출조...
욕지도권으로 !!!
연명항에서 출발하는 하누리호!!!!
평일..새벽인데...낚시꾼들이....정원...후..
출출항전...
회장님과 한컷!!!
요즘...만사...다 귀찮아서..낚시복도안입고...대충...출발...
(바람막이가...필요...)
30여분 달려...욕지도 부속섬인...
녹운도...높은자리 1등으로 하선!!!
하선하고...해뜰때까지...가만..잇으니..새로운 가방발견....
회장님이 보조바칸을 작은걸로 바꾸셧더군요...!
서서히..날이 밝아 오며...
낚시준비중이신..회장님..바다에 밑밥부터!!
낚시대 휨새가..!!!오늘의 대상어종인 감성돔인가!
들고 한컷!!첫수 기분좋게 출발합니다!!
연속으로 힛트!!!
40후반?50초반?
참돔!!!!!!오늘은 회장님 날이더군요 ㅎ
그후 두번더 입질을 받앗으나..바늘빠짐/목줄터짐...끝..
저에게는...2020년도 복받으라고...
하늘위를 보니....매?3마리가 빙빙빙!
입집도.더이상없고..일찍마무리!!
회장님 내일 출근도해야하고..부산까지가셔야하니깐...ㅎ
오늘 저희 낚시 자리!!
오늘의 조황...참돔2마리..
그리고잡어는...제가 ㅋㅋㅋ
(참돔은...저녁에 한잔하시고...복어는다음날 아침숙취해소..복국을..하시고...)
이렇게...평일..욕지권 감성돔 낚시를...
돌아오는...배안에서..즐거운 저희 회장님!!
대상어인..감성돔을 못잡앗지만...ㅋㅋ
(사실 그래서..척포권을 혼자...감성돔 사냥을!!!똭!!)
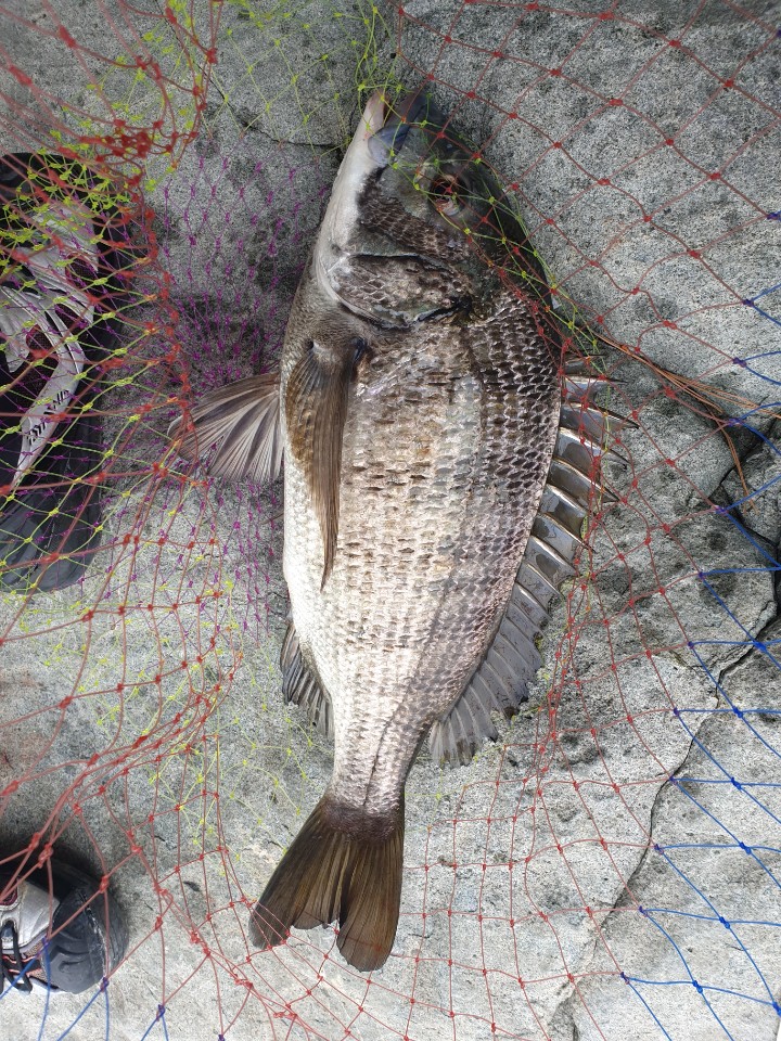
밴드창에...낚시가자고..이야기햇는데..형님들에게..
버림받고...어제 낚시가서..잡은 감성돔들입니다!!
한자리서..3마리...대박사이즈!!크크크
첫수!!!44?
2번째...46?ㅋㅋ
3번째...49??50???!!!!!!
밴드창에...형님들한태 약올리면서..
하루 종일 즐거운 낚시를햇죠!!!ㅋㅋ
(조행기 안쓸려고햇는데...형님들 부러워하라고..이렇게!!)
12월 조행기를...마무리하며...바칸에서 즐겁게 노는 감성돔!!!
그리고..밑에 사진들은.조행기가아니고....
저희"팀"브라더&부랄더
2019년도!! 송년의밤 사진이니...패스하셔도됩니다!!!!!
12월달...2019년도를 마무리하며...
어느..펜션 예약..!!!
(멀리서 오시는분들이 계시니...ㅎ)
일정은..1박2일!!

저희 부밴드장이신..
최만진 부밴드장님!!(얼굴보다..배가..더 매력적이죠?)
오늘의 음식들!!!준비중이시네요!!
2019년도 마무리 이기떄문에...가족들과함께!!!
다같이 참석하는 자리를 마련햇죠?!!
형수님들과 아이들!!!인원이...30명이 넘엇죠...ㅋ
양창민고문님과....형수님들 대화중!
그사이에..낑겨서...상주에서 오신...호년형님은 벌써..취침모드...
그리고 가운데...동갑인형님들...
마지막은...회장님께서..한말씀!!!
사진을잘찍은건지...뒤에서 후광이!!!
번쩍번쩍하네요!!ㅎ
참석해주신 형님들과 마지막 짠!!!!
"팀"브라더&부랄더!!화이팅!!!!!!하며...마무리하엿습니다!!ㅎ
(참석못하시고...행사 도움을 주신..문재훈고문님/김성진울산지부장님
정말감사합니다)
*인낚회원여러분!!모두 19년도 마무리잘하시고!2020년도!!준비잘하시고
건강/행복/좋은일만가득하세요!!!!*