대물 가거도 때 감성돔
겨울이더냐
한 추위 하는 새 달력을 열어 재치고 나섰다
목포 북항에서 근 5시간을 몸부림치며 찾아온
가거도..
낚시꾼의 기억을 갈아버리고, 새로 다듬는 듯
암초, 여 밭의 날카롭고 힘 넘친 몸짓을 한
꾼에게 생소한 `처녀 포인트`
여명을 머리뒤로 숨긴 네가
저 유명한 `검등여` 아니더냐..
해가 머리 위로 올라올 때까지도
녀석들의 격한 환영의 세리머니는
진한 감동으로 꾼의 가슴을 매료시킴이다.
아직 머리를 쉬 덮지 못하는 10물의 중 들물
그래도 아침 발밑은 지나칠 수 없다.
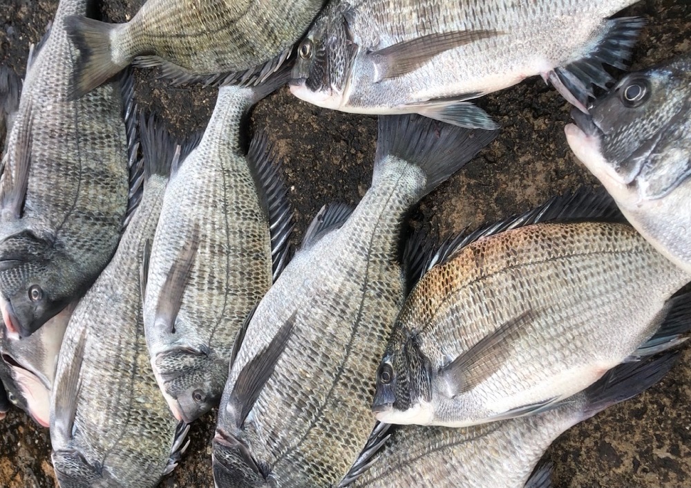
토박이는 아닌 것일진대
짙은 고동색을 색칠하고, 뱃가죽만 은빛 갑옷을 덧 한
실한 `가거도 감성돔`
내일은 `앵글러` 놀이터 본류대를 예약하고
한 접시 썰어놓은 노획물에 몇 잔의 술이 오가는 일박의 저녁..
-모든 내용을 동영상으로 정리했습니다.-
|
|
|
|
|
|








