안녕하세요 정말 오랜만입니다^^
모두 잘지내셧는지요^^
명절이다 머한다 바쁘다고 낚시도 제대로 못가고
명절시고 촬영다녀오고
감시사냥다녀왓네요^^

갯핑 촬영가서 한방 ㅋㅋ
피디햄이 멋지게 찍어줫네요

마지막 엔딩 무사히 하고
잘찍고왓습니니다 ㅋㅋ
조황은 비밀 ㅎㅎ
이렇게 오랜만에 형들도보고 좋았습니다^^
그리고
..
기다리고 기다려 저번주 금요일...
드디어 낚시를갑니다 ㅋㅋㅋ
현제 저도못하지만 낚시를 알려주고있는 동생과...
알려주기보단공유 라고 하는게 낫겟네용
어디갈지 고민하다가 오랜만에 감시사냥이라 고민끝에 죽도로 정합니다
나올거라 믿고 ㅋㅋ
포인트 도착후 제자와함께 ㅋㅋ맥주한잔하고 날새고 시작합니다.

역시 오랜만에 갯바위 좋습니다
머가나올랑가~~~~잡어라도물어라~~하고~~
얼마지났을까...입질하기 시작하네요
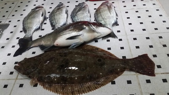
오전에 감시 4마리 동생과하고 씨알이 맘에안드네요 ㅠㅠ
33~~30사이 4마리,,,
ㅠㅠ
큰거보고왔는데 ㅋㅋ새로들어온 고기인듯 보엿습니다..망구제생각 ㅋㅋ
야자자~~피곤하다 하고 전 4시간을 잡니다 ㅋㅋ들물보려구요 ㅋㅋ
일어나니 초들물ㅎㅎㅎ저긴 들물이 강세인곳이라

동생이 한방찍엇네요 언제찍엇노?ㅋㅋ
이래저래하다가
저에게 입질이 장타 수시 16주고 하는데 찌가 깔딱...
드디어 온것인가..
견제하니 그대로 있나 싶었는데...
내찌어딧노?ㅡ,,ㅡ순간이동해버리네요
챔질...헐,,,크다....꾹꾹 박는다.감시다,,,
그런데 중간쯤에 이상합니다이넘이 박질안고 질질끄려오내요,,,
머지,,,,분명,,
올려보니 광어가 ㅡㅡ
아,,,,

기분좋으면서 애매합니다 ㅋㅋㅋ
50은넘겟더라구요 ㅋㅋ
우선 회거리장만 ㅋㅋ
그러던중
전방 15미터 정도 노리던 동생이...입질을...
크네요 ,,첨엔 장난인줄,,
대가 4번대까지먹네요 ㅋㅋㅋ
와크다 버티 버티 렌딩~~~
햄 릴이 안감아져요.....피아노 소리대박...
도와주야하나....니알아서해 하는찰라..팅 ㅜㅜ
찌까지 떳는데 ,,,ㅜㅜ
너무아깝네요 시알진짜 컷는데;;;
동생 손 부들 부들 ㅎㅎㅎ
잠시후 또입질.
옆에서 화이팅 ````띠웟네요 ㅋㅋㅋ
다행 ㅋㅋㅋ

기록어 ㅋㅋㅋ
제자 잘햇다 ㅋㅋㅋ
긴장 누추지마라고그래말햇는데 ㅋㅋ
잡아서 다행 ㅋㅋ

제가 잡은 건작아서 저도 한방 ㅋㅋ
역시 무직 하네요 ㅋㅋㅋ
한마리팅 ㅋㅋㅋ
와 2호목줄이ㄷㄷㄷ
이제 시간은 거의 다되고아가기싫타,,,,

감시가 제입 물뻔 ㅋㅋㅋ
진짜큰일 날번 해네요 ㅡ,,ㅡ
이렇게 마무리하고 담을 기약 ㅠㅠ
터준고기 아깝 지만...
철수해서올만에 칼잡앗네요 ㅋㅋ

총 5수
3:2 ㅋㅋㅋㅋ

맛나게 떠먹고 부낚 회원분 한분 오셔서 함꼐 한잔 햇습니다^^
형님 만나서 반가웟고 담에 뵈요^^
이렇게 즐거운 조행기 마감합니다ㅋㅋ
이제 시간도 많으니 자주뵈요^^
모두 안 낚하세요^^