요때만 되면 왜이리 부럽습니까? ㅋㅋ
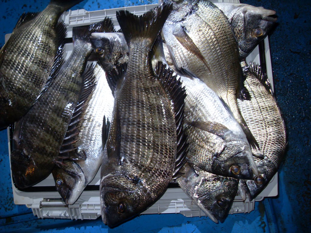
대물이니깐 터지는거 아니겠습니까?
대물이 너무 쉽게 올라와도 재미없잖아요.
마릿수 축하드립니다.
수고하셨습니다.^^
대물이니깐 터지는거 아니겠습니까?
대물이 너무 쉽게 올라와도 재미없잖아요.
마릿수 축하드립니다.
수고하셨습니다.^^
우선 감성돔 특성을 아셔야 됩니다. 감성돔은 자외선에 약해
낮에는 깊은 수심 거늘진 곳으로 빠져 나갑니다. 통영 같은 경우는
양식장 밑에 감성돔의 휴식처입니다. 그래서 요즘 시즌 에는 낮에
감성돔을 잡을려면 덴마타고 양식장 공략을 하셔야 됩니다. 다만
낮에도 갯바위로 붙는 경우는 잔뜩 흐린날에는 낮에도 갯바위로
나옵니다. 그러다가 해지고 밤에 갯바위 낮은 수심으로 나와서
먹이 활동을 합니다. 주로 바다 갯강구나, 홍합, 자그마한 게들이
주요 먹이 대상입니다. 그럼 여기서 대부분 분들이 궁금해 하시는게
밤에 흘림 낚시하면 감성돔을 잡을수 있을것 아니냐????
해지고 밤에는 잡어(뽁쟁이, 망씨등등)이 자기굴로 들어갑니다.
하지만 밑밥치니 복어나 망씨들이 도로 기어 나오더군요.
낮에는 깊은 수심 거늘진 곳으로 빠져 나갑니다. 통영 같은 경우는
양식장 밑에 감성돔의 휴식처입니다. 그래서 요즘 시즌 에는 낮에
감성돔을 잡을려면 덴마타고 양식장 공략을 하셔야 됩니다. 다만
낮에도 갯바위로 붙는 경우는 잔뜩 흐린날에는 낮에도 갯바위로
나옵니다. 그러다가 해지고 밤에 갯바위 낮은 수심으로 나와서
먹이 활동을 합니다. 주로 바다 갯강구나, 홍합, 자그마한 게들이
주요 먹이 대상입니다. 그럼 여기서 대부분 분들이 궁금해 하시는게
밤에 흘림 낚시하면 감성돔을 잡을수 있을것 아니냐????
해지고 밤에는 잡어(뽁쟁이, 망씨등등)이 자기굴로 들어갑니다.
하지만 밑밥치니 복어나 망씨들이 도로 기어 나오더군요.
잡어 등살에 감성돔을 제대로 공략 못하시더라고요.
그래서 우리는 절대 밑밥을 치지 않습니다.
민장대 낚시도 바다의 상황에 따라 조과의 차이가 많이 납니다.
젤일로 영향을 많이 받는게 수온이고요(샛바람 불면 수온이 0.5도만
차이나도 깊은 수심층에서 나오지 않더군요. 두번째는 조류입니다.
사리시와 조금시 차이는 확연합니다. 일례로 옛날부터 어부들 사이에
전해 오는말이 있습니다. 조금시에는 선장 반찬거리도 없다고요...
조금시 보다 조류가 잘가는 사리시 조과가 훨씬 좋습니다. 그리고
달의 영향도 받습니다. 달이 뜨면서 시그리(야광 플랑크톤)가
사라져야 입질하기 시작합니다. 그 이외 바람의 영향,, 사람들의
인위적인 소리, 불빛등 여러가지 요인들에 따라서 조과가 틀려집니다.
그래서 우리는 절대 밑밥을 치지 않습니다.
민장대 낚시도 바다의 상황에 따라 조과의 차이가 많이 납니다.
젤일로 영향을 많이 받는게 수온이고요(샛바람 불면 수온이 0.5도만
차이나도 깊은 수심층에서 나오지 않더군요. 두번째는 조류입니다.
사리시와 조금시 차이는 확연합니다. 일례로 옛날부터 어부들 사이에
전해 오는말이 있습니다. 조금시에는 선장 반찬거리도 없다고요...
조금시 보다 조류가 잘가는 사리시 조과가 훨씬 좋습니다. 그리고
달의 영향도 받습니다. 달이 뜨면서 시그리(야광 플랑크톤)가
사라져야 입질하기 시작합니다. 그 이외 바람의 영향,, 사람들의
인위적인 소리, 불빛등 여러가지 요인들에 따라서 조과가 틀려집니다.
어려서 부터 어른들한테 들어 오던 이야기,, 낚하면서 나름대로 겪은 경험등등
제가 아는 상식을 답해드렸습니다. 절대 과학적으로 증명된것은 아니니 참고만
하시고.. 내가 아는 상식과 틀리다고 너무 나무라시지믄 마십시요. 그냥 참고만
하시고 귀담아 드시지 마시기 바라며... 제 블로그 어디에 이런 이야기가 담겨져
있을겁니다..
감성돔은 아침에 해뜨면서 깊은 수심층으로 빠지니 참고하시고.....
낮에도 직벽 깊은 수심층이나,,, 흐린날이 아니면 감성돔 만나기가 어려우실겁니다.
제가 아는 상식을 답해드렸습니다. 절대 과학적으로 증명된것은 아니니 참고만
하시고.. 내가 아는 상식과 틀리다고 너무 나무라시지믄 마십시요. 그냥 참고만
하시고 귀담아 드시지 마시기 바라며... 제 블로그 어디에 이런 이야기가 담겨져
있을겁니다..
감성돔은 아침에 해뜨면서 깊은 수심층으로 빠지니 참고하시고.....
낮에도 직벽 깊은 수심층이나,,, 흐린날이 아니면 감성돔 만나기가 어려우실겁니다.
한마디로 깔끔하면서 파워풀한 민낚시....최고입니다....오래전 민장대 로 바다입문했습니다
대상어는 많이 잡지못했지만.....걸었다하면 손맛 하나는 끝내줍니다....
감씨조아님 의 본격적인 시즌.....감성돔들이 항복하겠습니다 ㅋㅋㅋ
잘보고 갑니다
대상어는 많이 잡지못했지만.....걸었다하면 손맛 하나는 끝내줍니다....
감씨조아님 의 본격적인 시즌.....감성돔들이 항복하겠습니다 ㅋㅋㅋ
잘보고 갑니다
늘 좋은 정보에 감사드립니다.
민장대낚시 크릴 만드는 법도 배워서 만들어 놓았는데도 시도를 못했는데
이번엔 꼭 도전해 보아야 겠습니다.늘 건강하시고 길잡이역할 부탁합니다.
민장대낚시 크릴 만드는 법도 배워서 만들어 놓았는데도 시도를 못했는데
이번엔 꼭 도전해 보아야 겠습니다.늘 건강하시고 길잡이역할 부탁합니다.
혹시 거기가 통영xx방파제에서 배 타고 아주 가까운 갯바위 맞나요??어선 타고 나가시는 조사님들 몇분 본것 같아서요^^;;아닐수도 있지만ㅋㅋ당찬 손맛 축하드립니다
저정도 조황이면 훌용하군요 어제 선상때린 저희 일행보다도 조과가 좋으니 부럽습니다
크릴경단 꼭 만드는법 저도 배워 보고 싶습니다 고수님들 알려주세요.
크릴경단 꼭 만드는법 저도 배워 보고 싶습니다 고수님들 알려주세요.














