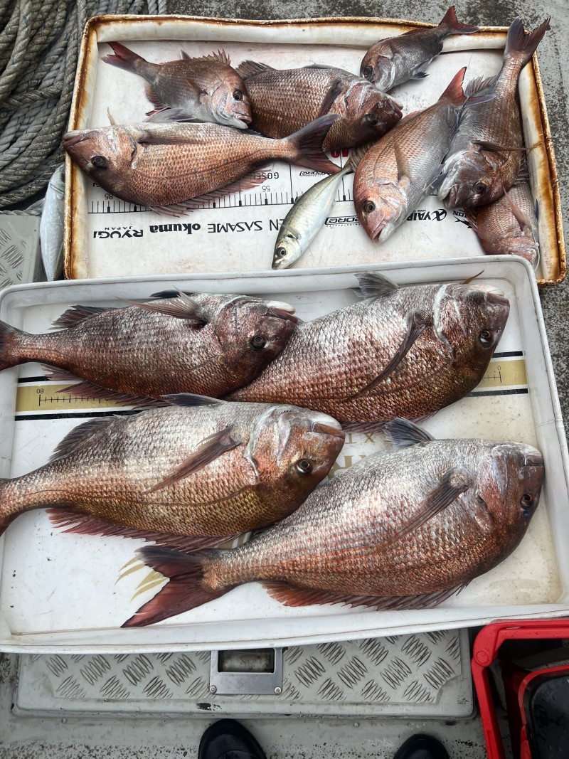
41 북회귀선 24-05-08 07:00 0 참돔 씨알이 좋습니다. 멋진 손맛 축하드리고요. 수고하셨습니다. ^^ 참돔 씨알이 좋습니다. 멋진 손맛 축하드리고요. 수고하셨습니다. ^^{이모티콘:innak-304.gif:50} 댓글 설정 댓글 신고 1 DODOJJ 24-05-12 11:05 0 @북회귀선 감사합니다 개인적으로 참돔낚시를 좋아해서 참돔시즌이라 너무 좋네요 @북회귀선 감사합니다 개인적으로 참돔낚시를 좋아해서 참돔시즌이라 너무 좋네요 댓글 설정 댓글 신고 1 무혼 24-05-08 12:34 0 좋은 조황정보 잘봤습니다. 수고하셨네요 좋은 조황정보 잘봤습니다. 수고하셨네요 댓글 설정 댓글 신고 1 DODOJJ 24-05-12 11:06 0 @무혼 네 감사합니다 안낚하셔요 축하합니다! 행운의 바늘에 당첨! 477점 적립되었습니다! @무혼 네 감사합니다 안낚하셔요 댓글 설정 댓글 신고 59 폭주기관차 24-05-08 17:25 0 사이즈가 좋아서 손맛,몸맛이 최고 였겟습니다. 축하 드립니다. 조만간 터트려서 수염 달아준 바다의 미녀 체포 하러 가셔야 겟네요.^&^ 사이즈가 좋아서 손맛,몸맛이 최고 였겟습니다. 축하 드립니다. 조만간 터트려서 수염 달아준 바다의 미녀 체포 하러 가셔야 겟네요.^&^ {이모티콘:innak-301.gif:50} 댓글 설정 댓글 신고 1 DODOJJ 24-05-12 11:07 0 @폭주기관차 감사합니다 남해 한달살기 집 구해서 주구장창 다니고 있습니다 ㅎㅎ 안낚하셔요 @폭주기관차 감사합니다 남해 한달살기 집 구해서 주구장창 다니고 있습니다 ㅎㅎ 안낚하셔요 댓글 설정 댓글 신고
41 북회귀선 24-05-08 07:00 0 참돔 씨알이 좋습니다. 멋진 손맛 축하드리고요. 수고하셨습니다. ^^ 참돔 씨알이 좋습니다. 멋진 손맛 축하드리고요. 수고하셨습니다. ^^{이모티콘:innak-304.gif:50} 댓글 설정 댓글 신고
1 DODOJJ 24-05-12 11:05 0 @북회귀선 감사합니다 개인적으로 참돔낚시를 좋아해서 참돔시즌이라 너무 좋네요 @북회귀선 감사합니다 개인적으로 참돔낚시를 좋아해서 참돔시즌이라 너무 좋네요 댓글 설정 댓글 신고
1 DODOJJ 24-05-12 11:06 0 @무혼 네 감사합니다 안낚하셔요 축하합니다! 행운의 바늘에 당첨! 477점 적립되었습니다! @무혼 네 감사합니다 안낚하셔요 댓글 설정 댓글 신고
59 폭주기관차 24-05-08 17:25 0 사이즈가 좋아서 손맛,몸맛이 최고 였겟습니다. 축하 드립니다. 조만간 터트려서 수염 달아준 바다의 미녀 체포 하러 가셔야 겟네요.^&^ 사이즈가 좋아서 손맛,몸맛이 최고 였겟습니다. 축하 드립니다. 조만간 터트려서 수염 달아준 바다의 미녀 체포 하러 가셔야 겟네요.^&^ {이모티콘:innak-301.gif:50} 댓글 설정 댓글 신고
1 DODOJJ 24-05-12 11:07 0 @폭주기관차 감사합니다 남해 한달살기 집 구해서 주구장창 다니고 있습니다 ㅎㅎ 안낚하셔요 @폭주기관차 감사합니다 남해 한달살기 집 구해서 주구장창 다니고 있습니다 ㅎㅎ 안낚하셔요 댓글 설정 댓글 신고