그지난주 12월초 삼총사 청산도 달랑 한미리 숭어랑 복수장소로 1주간에 화요일만 날씨 좋아 덩치들이 꿈틀거릴 것 같은 역만도를 결정해 봅니다.
김치 떨어져 숭어에게 김치 준비 난 보온밥통 2개 싸고 00:30 수완동 미팅, 숭어차로 나로도로 고고, 집에 남아있는 감성천하 2봉 들고 가는길 우주낚시점 크릴5장과 비벼달라고 합니다, 크릴값도 올랐네요, 그놈의 푸틴 악마때문에, 미끼는 청거시와 생크릴
03:00 도착, 아직 문 안연 등대지기, 저멀리 청호레저배 시동걸고 잠시후 출항하니 역만도 포인트가 걱정됩니다.
낚시복 입고 차에 있으니 불어 켜진 가게 들어가 명부적고 유자차 한잔 마시고 탑승 04시 출항 손죽도 패스, 1시간후 역만도 도착, 휜여 한 분 내리고 서쪽으로 가면서 몇팀 내리고 우릴 부릅니다. 보찰여 못가서 호텔자리라고 합니다.
바칸 물 채우고 1호 전자찌 날리니 발앞 10M 걸리고, 10M권 지나면 안걸려 볼락은 안나옵니다.
좌측 남쪽 보찰여방향에서 여명의 기운이 솟아 오릅니다. 앞에는 거문도 소삼부도 대삼부도 실루엣이 우측으로는 초도와 원도 장도가 보여줍니다.

좌 남쪽 보찰여방향 간조때 10~13m 수심층 뻘물색 홈통 집어가 되어 살감시는 많으나 덩치는 아직입니다.
수심 13m 지점은 홍통 중앙으로 가장 깊습니다. 이 붉은색(적) 바위섬 적만도가 역만도로 명칭이 변경됐다고 합니다. 바위에 철 성분이 많아 오랫동안 비로 산회되어 이렇게 붉게 변화되어서. 
장도,다라지도, 원도,초도 방향 모습 포인트 호텔자리라 그런지 호텔같이 평편하고 좋네요, 우측 곶부리에서 좌로 썰물 흐르고 간조후 들물에도 같은 방향으로 흘러 이상한 포인트나 조류가 동일방향 좋은 포인트로 기억될 것 같습니다. 사리때는 피하고 조금때 10m 수심 초도방향이 좋고 물에 세지면 12~13m권 홈통을 공략하면 좋습니다.
새벽 홈통에서 낚시하다 날이 새자 초도방향에서 하니 첫 쏨뱅이가 인사를 하고 노래미, 복어 등등
08시 드뎌 감생이가 얼굴 보이고 30분에 하나씩 보이고 뜰채질과 들어뽕을 반복합니다. 3호바늘 10여 복어가 먹어치우고 4호바늘로 해도 감시는 잘 옵니다.
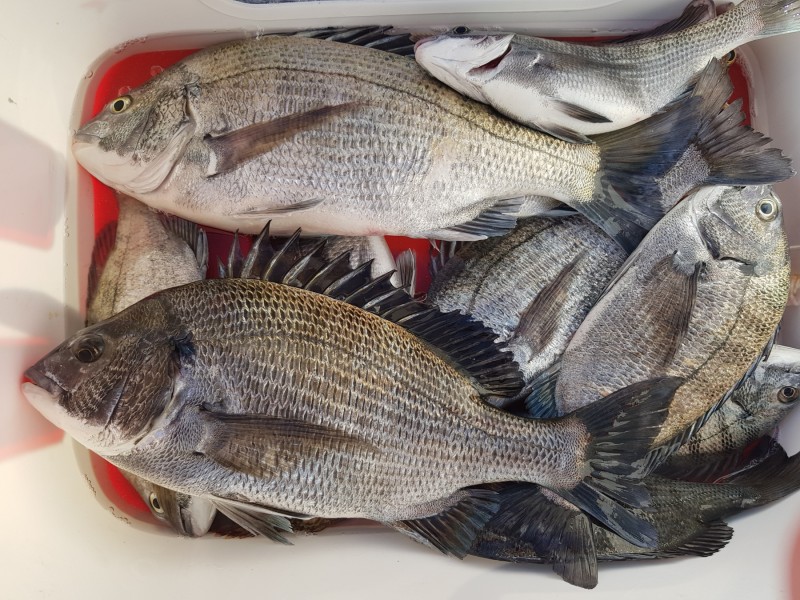
아침도 안먹고 숭어가 싸온 모시송편 들고 먹으면서 집중낚시 ㅎㅎㅎ, 숭어도 같이 합류하고 드뎌 한 수 합니다. 15cm 나비 방생부터 4짜 덩치까지 골고루 9수나 됩니다. 10시 늦은 아침에 막걸리는 기본입니다.
숭어는 새로 감은 원줄 는슨하게 감았는지 스풀이 씹어먹어 푸는데 또 찌 채비하는데 시간 다 소비해 버립니다.

4짜초 2수, 살감시7, 잡어(쏨뱅이,노래미,망상어,복어), 학선생
새벽 시작한 청거시로 떨어질 때까지 사용하고 그후 크릴 사용 딱 한미리 후 철수시간이 됩니다.
청거시는 입주위에 걸려 바늘 빼고 다시 낚시하였고 크릴은 삼켜 목줄 자르고
14시 거문도 선상팀 철수, 14:20 우리 철수, 마지막 휜여에서 5짜와 4짜후 덩치들이 나와 다행입니다.
귀항길 곡두여 지나 엔진소리 줄어들어 나중에 알아보니 나로다~손죽도길 여객선 항로에 김양식장 불법으로 설치 장애물이 되고 있다고 합니다.

광주도착 용산동 퇴근시간 밀리고 풍암동도 지체, 포로시 18:10 동천동 회집 도착(고흥서 밟으니 딱 2시간 소요).
뒤풀이 복어 불러 한사라, 한사라는 퇴근하는 딸과 귀가 와이프에 바치고

지리에 살감시 구이 한마리씩 뜯고 나머진 회집 사징님께 드립니다. 빌리어드 스포츠할 시간없고 호프 한잔 하고 있으니 퇴근하는 딸 도착 귀가
12월말 가족송년 아들과 회감장만 첫 출조약속 1물인데 여수, 고흥, 완도 어디가 좋을까요?
|
|
|
|
|
|
|
|