안녕하세요 꿈의사냥5짜 이천희입니다.
채비선택 공략방법에따라
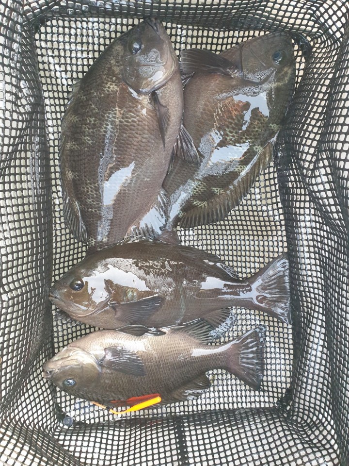
조과차이가 많이납니다.
밑밥과 미끼가 하층에서 잘 맞아 떨어져야되고
아주 예민한 채비와 가는원줄 가는목줄 작은바늘
미끼도 작고 부드럽게 달아주는게 좋습니다.
홍개비에도 바닥층을 공략하면 종종 낚입니다!
밴드검색 루이피싱 하시면
동행출조도 가능하니 참고하세요!
이번주는 날씨가 좋치않아 일좀하고
다음주 날씨가 좋아지는데로 나가보고
조황소식 올려드리겠습니다.
루이피싱 밴드로 초대합니다! 밴드검색 루이피싱
로그인한 회원만 등록가능합니다.